Benvenuto Ospite

Forum Entomologi Italiani

www.entomologiitaliani.net/forum
 
Oggi è 25/10/2025, 20:03

Tutti gli orari sono UTC + 1 ora [ ora legale ]

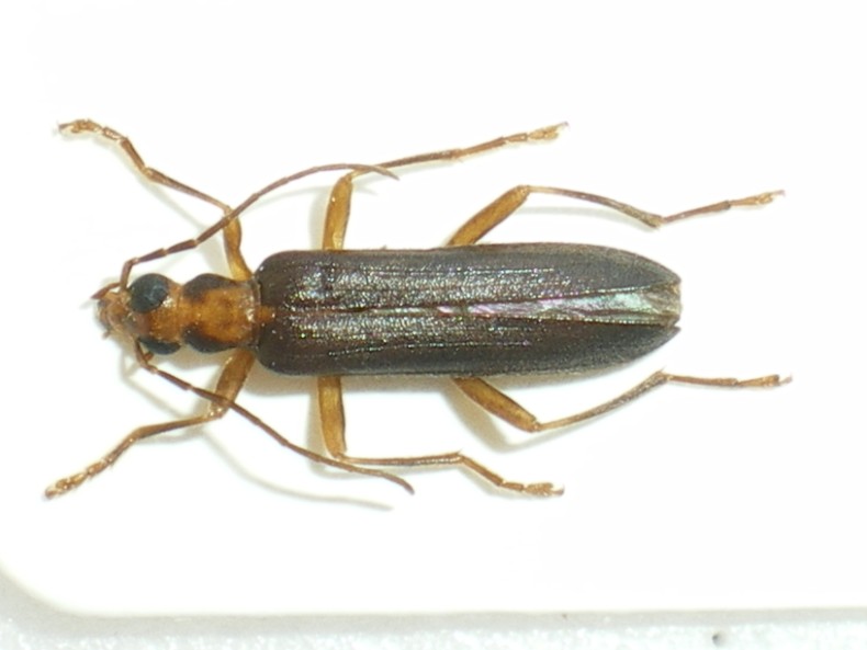
Xanthochroa carniolica (Gisti, 1834) Oedemeridae

11.VII.2009 - ITALIA - Marche - AN, Monte Conero


nuovo argomento
rispondi
Pagina 1 di 1 [ 1 messaggio ]
Autore Messaggio
MessaggioInviato: 15/07/2009, 20:57 
Avatar utente

Iscritto il: 10/05/2009, 15:30
Messaggi: 7182
Località: Ancona
Nome: Giacomo Giovagnoli
Trovata l'11-VII-09 in un'uscita notturna sul Monte Conero (Ancona).

Cercavo cinghiali (per fortuna non li ho trovati e loro non hanno trovato me... :gh: ), ma in compenso c'erano tantissime Xanthochroa carniolica su delle infiorescenze.

Xanthochroa carniolica 11-VII-09 Monte Conero (1).jpg



Ciao :)

_________________
Immagine Giacomo


Top
profilo
Visualizza ultimi messaggi:  Ordina per  
nuovo argomento
rispondi
Pagina 1 di 1 [ 1 messaggio ]

Tutti gli orari sono UTC + 1 ora [ ora legale ]


Chi c’è in linea

Visitano il forum: Nessuno e 0 ospiti


Non puoi aprire nuovi argomenti
Non puoi rispondere negli argomenti
Non puoi modificare i tuoi messaggi
Non puoi cancellare i tuoi messaggi
Non puoi inviare allegati

Cerca per:
Vai a: