Forum Entomologi Italiani
http://www.entomologiitaliani.net/public/forum/phpBB3/

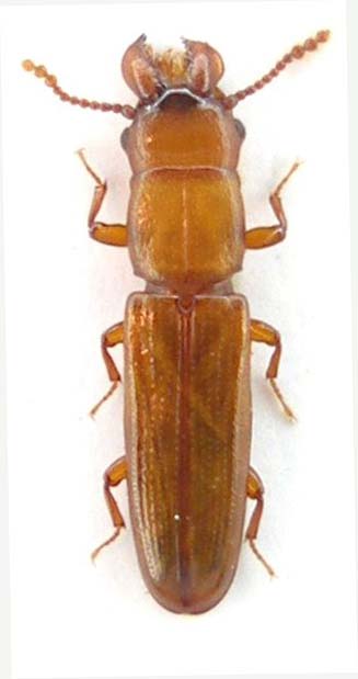
Prostomis mandibularis (Fabricius, 1801) - Prostomidae
http://www.entomologiitaliani.net/public/forum/phpBB3/viewtopic.php?f=67&t=26015
Pagina 1 di 1

Autore:  Isotomus [ 25/08/2011, 22:07 ]
Oggetto del messaggio:  Prostomis mandibularis (Fabricius, 1801) - Prostomidae

Prostomis mandibularis (Fabricius, 1801) - Prostomidae

La determinazione è certa, la larva è una novità per il Forum, chiederei di inserire subito la discussione :ok:
Cosmin, prima, e Alexandru, poi, ne hanno proposto l'adulto su materiale della Romania viewtopic.php?f=277&t=18131&hilit=prostomis
Non posso competere con la tecnica di Cosmin, di cui riproduco la splendida foto :ok: , e, di seguito, la mia povera copia, ma propongo alcune immagini della larva di questo particolarissimo e non comune coleottero. Ne ho trovato un adulto ed alcune larve nella "carie rossa" di tronchi marcescenti di Abies alba.
Prpstomis mandibularis_Romania_Cosmin_FEI.jpg

Prpstomis mandibularis_Lama_ 24_8_2011 010.jpg

Prostomis mandibularis_larva_La Lama 24_8_2011 006_bis.jpg

Prostomis mandibularis_larva_La Lama_crop_1 007.jpg



Allegati:
Prostomis mandibularis_larva_La Lama 24_8_2011 006.jpg


Autore:  cosmln [ 25/08/2011, 22:20 ]
Oggetto del messaggio:  Re: Prostomis mandibularis (Fabricius, 1801) - Prostomidae

grazie :lov2: :lov2:
in attesa di pupe :)

Pagina 1 di 1 Tutti gli orari sono UTC + 1 ora [ ora legale ]
Powered by phpBB® Forum Software © phpBB Group
http://www.phpbb.com/