Benvenuto Ospite

Forum Entomologi Italiani

www.entomologiitaliani.net/forum
 
Oggi è 28/10/2025, 13:52

Tutti gli orari sono UTC + 1 ora [ ora legale ]

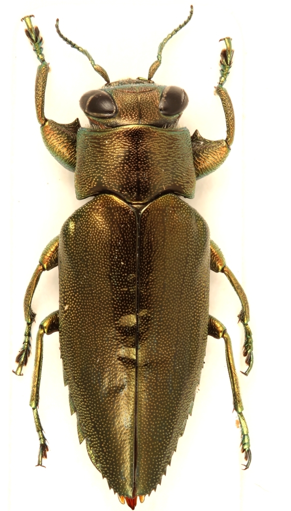
Chrysobothris dorsata (Fabricius, 1787) - Buprestidae - Gabon

II.2012 - GABON - EE, Makokou, Parc National Ivindo, Ipassa, S. Biondi leg.


nuovo argomento
rispondi
Pagina 1 di 1 [ 7 messaggi ]
Autore Messaggio
MessaggioInviato: 08/03/2012, 23:56 
Avatar utente

Iscritto il: 08/02/2010, 23:01
Messaggi: 6169
Località: Vicenza
Nome: Silvano Biondi
Facciamo contento Maurizio (e diversi altri buprestidari). Non ne ho raccolti molti, ma questo mi sembra abbastanza strano: occhi obliqui, femori anteriori con grossa spina, margine apicale delle elitre dentellato.
rectangle_New-Out99999 - Copia - Copia.jpg

rectangle_New-Out99999 - Copia.jpg


13 mm

:hi:

_________________



Silvano


Top
profilo
 Oggetto del messaggio: Re: Buprestidae - Gabon
MessaggioInviato: 08/03/2012, 23:58 
Avatar utente

Iscritto il: 17/02/2009, 0:05
Messaggi: 8521
Località: Isola d'Elba - Arcipelago Toscano
Nome: Leonardo Forbicioni
Ormai mi sa che si era capita dall'altra discussione.
Salvo smentite di Maurizio, questo dovrebbe essere: Chrysobothris dorsata (Fabricius, 1787) ;)
QUI l'esemplare in terra spagnola. :lol:

_________________
"Stay hungry, stay foolish".
Steve Jobs, 2005
___________________
jjuniper8(at)gmail.com
Twitter: @weevil_forbix
cell. 339/5275910
___________________


Top
profilo
 Oggetto del messaggio: Re: Buprestidae - Gabon
MessaggioInviato: 09/03/2012, 0:18 
Avatar utente

Iscritto il: 08/02/2010, 23:01
Messaggi: 6169
Località: Vicenza
Nome: Silvano Biondi
Di buprestidi so davvero poco, ma non mi pare la stessa specie. Ma come sempre, lasciamo parlare chi ne sa di più :)

:hi:

_________________



Silvano


Top
profilo
 Oggetto del messaggio: Re: Buprestidae - Gabon
MessaggioInviato: 09/03/2012, 0:43 
Avatar utente

Iscritto il: 30/12/2009, 22:20
Messaggi: 31564
Località: Roma
Nome: Maurizio Gigli
Purtroppo è lui! Sembra diverso perchè tu l'hai preparato più steso. Anche la colorazione diversa potrebbe dipendere, almeno in parte, da un diverso bilanciamento d/o da una luce più o meno diffusa.

_________________
Maurizio Gigli
http://utenti.romascuola.net/bups
http://bup.xoom.it/


Top
profilo
 Oggetto del messaggio: Re: Buprestidae - Gabon
MessaggioInviato: 09/03/2012, 0:48 
Avatar utente

Iscritto il: 18/09/2010, 17:17
Messaggi: 297
Località: Còrdoba (ARG)
Nome: Giorgio Garzaniti
Credo si tratti dello stesso che ho trovato in Kenya (Diani Beach). Questa coppia nuotava allegramente nella piscina...


Buprestidae cp Diani.JPG


_________________
Giorgio Garzaniti
Top
profilo
 Oggetto del messaggio: Re: Buprestidae - Gabon
MessaggioInviato: 09/03/2012, 1:26 
Avatar utente

Iscritto il: 30/12/2009, 22:20
Messaggi: 31564
Località: Roma
Nome: Maurizio Gigli
Giorgarz ha scritto:
Credo si tratti dello stesso che ho trovato in Kenya (Diani Beach). Questa coppia nuotava allegramente nella piscina...

Infatti.

E' una delle 6 sole specie di Buprestidi che ho preso personalmente in Kenya, tanti anni fa. (allora non avevo raccolto legna perchè mi avevano detto che non sarebbe passata in aeroporto!)

_________________
Maurizio Gigli
http://utenti.romascuola.net/bups
http://bup.xoom.it/


Top
profilo
MessaggioInviato: 09/03/2012, 15:32 
Avatar utente

Iscritto il: 21/02/2011, 15:25
Messaggi: 3877
Località: Montecchio Emilia (RE)
Nome: Violi Michele
Bellissima! Ha una faccia da alieno!

_________________
Michele :D


Top
profilo
Visualizza ultimi messaggi:  Ordina per  
nuovo argomento
rispondi
Pagina 1 di 1 [ 7 messaggi ]

Tutti gli orari sono UTC + 1 ora [ ora legale ]


Chi c’è in linea

Visitano il forum: Nessuno e 2 ospiti


Non puoi aprire nuovi argomenti
Non puoi rispondere negli argomenti
Non puoi modificare i tuoi messaggi
Non puoi cancellare i tuoi messaggi
Non puoi inviare allegati

Cerca per:
Vai a:  
cron