Benvenuto Ospite

Forum Entomologi Italiani

www.entomologiitaliani.net/forum
 
Oggi è 09/10/2025, 2:08

Tutti gli orari sono UTC + 1 ora [ ora legale ]

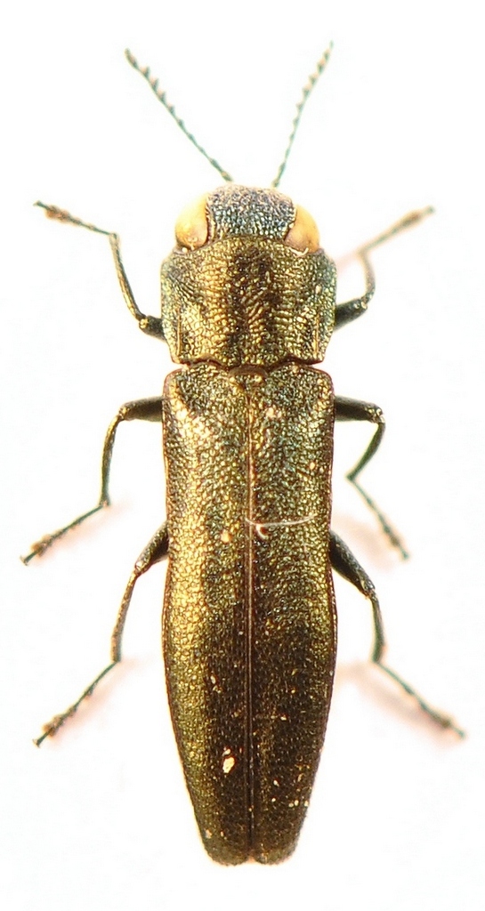
Agrilus (Anambus) obscuricollis Kiesenwetter, 1857 Dettagli della specie

VI.2015 - REPUBBLICA CECA - EE, Kutná Hora


nuovo argomento
rispondi
Pagina 1 di 1 [ 2 messaggi ]
Autore Messaggio
MessaggioInviato: 22/01/2016, 14:51 
 

Iscritto il: 28/11/2010, 22:47
Messaggi: 75
Nome: Michal B.
Agrilus ?obscuricollis


Agrilus.jpg

Ag_KH.jpg

Top
profilo
 Oggetto del messaggio: Re: Agrilus
MessaggioInviato: 22/01/2016, 15:18 
Avatar utente

Iscritto il: 30/12/2009, 22:20
Messaggi: 31564
Località: Roma
Nome: Maurizio Gigli
Yes, I think so, but I can't be sure with these photos.

_________________
Maurizio Gigli
http://utenti.romascuola.net/bups
http://bup.xoom.it/


Top
profilo
Visualizza ultimi messaggi:  Ordina per  
nuovo argomento
rispondi
Pagina 1 di 1 [ 2 messaggi ]

Tutti gli orari sono UTC + 1 ora [ ora legale ]


Chi c’è in linea

Visitano il forum: Nessuno e 2 ospiti


Non puoi aprire nuovi argomenti
Non puoi rispondere negli argomenti
Non puoi modificare i tuoi messaggi
Non puoi cancellare i tuoi messaggi
Non puoi inviare allegati

Cerca per:
Vai a: