Benvenuto Ospite

Forum Entomologi Italiani

www.entomologiitaliani.net/forum
 
Oggi è 13/10/2025, 15:08

Tutti gli orari sono UTC + 1 ora [ ora legale ]

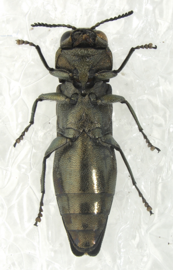
Agrilus (Agrilus) cuprescens (Ménétriés, 1832) - Buprestidae

10.VI.2018 - ROMANIA - EE, Romania, Bihor county, near Suncuius


nuovo argomento
rispondi
Pagina 1 di 1 [ 12 messaggi ]
Autore Messaggio
MessaggioInviato: 31/01/2025, 18:40 
Avatar utente

Iscritto il: 31/08/2010, 7:16
Messaggi: 3040
Località: Romania
Nome: Pintilioaie Alexandru Mihai
Hello, any idea about this Agrilus? It is maybe Agrilus angustulus?

lengh 6.3 mm :hi: :hi:

original.jpg



original (1).jpg



original (2).jpg



original (3).jpg


_________________
alexandrupintilioaie(AT)gmail.com


Top
profilo
 Oggetto del messaggio: Re: Agrilus
MessaggioInviato: 01/02/2025, 11:44 
Avatar utente

Iscritto il: 19/04/2012, 7:52
Messaggi: 1085
Nome: Gianfranco Curletti
Hi Alex
I think it is Agrilus cuprescens, but to be sure I need photo of ventral side
Gian


Top
profilo
 Oggetto del messaggio: Re: Agrilus
MessaggioInviato: 03/02/2025, 14:00 
Avatar utente

Iscritto il: 22/03/2010, 10:17
Messaggi: 1163
Località: Cluj-Napoca, Romania
Nome: Adrian Ruicanescu
I think the same.

_________________
Ciao :hi:
Adrian


Top
profilo
 Oggetto del messaggio: Re: Agrilus
MessaggioInviato: 06/02/2025, 19:32 
Avatar utente

Iscritto il: 31/08/2010, 7:16
Messaggi: 3040
Località: Romania
Nome: Pintilioaie Alexandru Mihai
Thank you guys, here are the pictures with the ventral side. If possible, can you tell me the characteristics for A. cuprescens that can be seen on the ventral area? :hi: :birra: :lov2:

Experiment-3614-Extended Depth of Focus-11.jpg



Experiment-3615-Extended Depth of Focus-12.jpg


_________________
alexandrupintilioaie(AT)gmail.com


Top
profilo
 Oggetto del messaggio: Re: Agrilus
MessaggioInviato: 22/02/2025, 13:58 
Avatar utente

Iscritto il: 08/07/2022, 10:09
Messaggi: 374
Località: Lucca (LU)
Nome: Massimiliano Marchi
Hi Alexandru! :hi:

I think is not A.angustulus for the marginal line of S5 (emarginated in A.angustulus, linear in this specimen).
The doubt is between A.cuprescens and A.viridis.
I could say A.viridis for the lateral margin of apical elytrae slightly sinuose and the posterior angles of pronotum not rounded… but i'm not an expert, this is just my opinion ;)


Top
profilo
 Oggetto del messaggio: Re: Agrilus
MessaggioInviato: 25/02/2025, 17:58 
Avatar utente

Iscritto il: 31/08/2010, 7:16
Messaggi: 3040
Località: Romania
Nome: Pintilioaie Alexandru Mihai
Thank you Massimiliano :hi: , let's wait for the experts opinions ;)

_________________
alexandrupintilioaie(AT)gmail.com


Top
profilo
 Oggetto del messaggio: Re: Agrilus
MessaggioInviato: 27/02/2025, 12:20 
Avatar utente

Iscritto il: 22/03/2010, 10:17
Messaggi: 1163
Località: Cluj-Napoca, Romania
Nome: Adrian Ruicanescu
Max10 ha scritto:
Hi Alexandru! :hi:

I think is not A.angustulus for the marginal line of S5 (emarginated in A.angustulus, linear in this specimen).
The doubt is between A.cuprescens and A.viridis.
I could say A.viridis for the lateral margin of apical elytrae slightly sinuose and the posterior angles of pronotum not rounded… but i'm not an expert, this is just my opinion ;)


Dear Massimiliano,
Agrilus angustulus has its aedeagus slightly assymetric, the suture between the paramerae is not straight, but in an elongated "S" shape. The shape of the preapical margins can be variable from an individual to other. Try to investigate a series of 10-20 specimens. The ratio between length of the pronotum and length of the elytra is more in favor of elytra in A. viridis. This one is Agrilus cuprescens. The host plant could be a very good criterion if it would be known.

_________________
Ciao :hi:
Adrian


Top
profilo
 Oggetto del messaggio: Re: Agrilus
MessaggioInviato: 27/02/2025, 14:36 
Avatar utente

Iscritto il: 08/07/2022, 10:09
Messaggi: 374
Località: Lucca (LU)
Nome: Massimiliano Marchi
AdYRuicanescu ha scritto:
Dear Massimiliano,
Agrilus angustulus has its aedeagus slightly assymetric, the suture between the paramerae is not straight, but in an elongated "S" shape. The shape of the preapical margins can be variable from an individual to other. Try to investigate a series of 10-20 specimens. The ratio between length of the pronotum and length of the elytra is more in favor of elytra in A. viridis. This one is Agrilus cuprescens. The host plant could be a very good criterion if it would be known.

Thanks for your kind explanation, Adrian :ok:

Can you indicate me the difference in ratio of lenght pronotum/elytra between A.viridis and A.cuprescens, please?
I'm very interested in it :)


Top
profilo
 Oggetto del messaggio: Re: Agrilus
MessaggioInviato: 28/02/2025, 8:22 
Avatar utente

Iscritto il: 22/03/2010, 10:17
Messaggi: 1163
Località: Cluj-Napoca, Romania
Nome: Adrian Ruicanescu
Well, even my images taken by screenshot are too big to be allowed here, if I shrink them, the text will not be readable. I will only give you my measurements (in pixels on the photos). Corrigenda: When I said pronotum it means head+pronotum.
Agrilus cuprescens: 128/383=0.334
Agrilus viridis: 136/442=0.307

_________________
Ciao :hi:
Adrian


Top
profilo
 Oggetto del messaggio: Re: Agrilus
MessaggioInviato: 28/02/2025, 18:49 
Avatar utente

Iscritto il: 08/07/2022, 10:09
Messaggi: 374
Località: Lucca (LU)
Nome: Massimiliano Marchi
AdYRuicanescu ha scritto:
Well, even my images taken by screenshot are too big to be allowed here, if I shrink them, the text will not be readable. I will only give you my measurements (in pixels on the photos). Corrigenda: When I said pronotum it means head+pronotum.
Agrilus cuprescens: 128/383=0.334
Agrilus viridis: 136/442=0.307

Thanks a lot, Adrian! :ok:


Top
profilo
 Oggetto del messaggio: Re: Agrilus
MessaggioInviato: 28/02/2025, 20:43 
Avatar utente

Iscritto il: 22/03/2010, 10:17
Messaggi: 1163
Località: Cluj-Napoca, Romania
Nome: Adrian Ruicanescu
I hope it helps. Also, Agrilus viridis is visibly bigger than Agrilus cuprescens.

_________________
Ciao :hi:
Adrian


Top
profilo
 Oggetto del messaggio: Re: Agrilus
MessaggioInviato: 01/03/2025, 9:37 
Avatar utente

Iscritto il: 31/08/2010, 7:16
Messaggi: 3040
Località: Romania
Nome: Pintilioaie Alexandru Mihai
So this one is Agrilus cuprescens, thanks a lot guys! :birra: :hi: :hi:

_________________
alexandrupintilioaie(AT)gmail.com


Top
profilo
Visualizza ultimi messaggi:  Ordina per  
nuovo argomento
rispondi
Pagina 1 di 1 [ 12 messaggi ]

Tutti gli orari sono UTC + 1 ora [ ora legale ]


Chi c’è in linea

Visitano il forum: Nessuno e 3 ospiti


Non puoi aprire nuovi argomenti
Non puoi rispondere negli argomenti
Non puoi modificare i tuoi messaggi
Non puoi cancellare i tuoi messaggi
Non puoi inviare allegati

Cerca per:
Vai a: