Forum Entomologi Italiani
http://www.entomologiitaliani.net/public/forum/phpBB3/

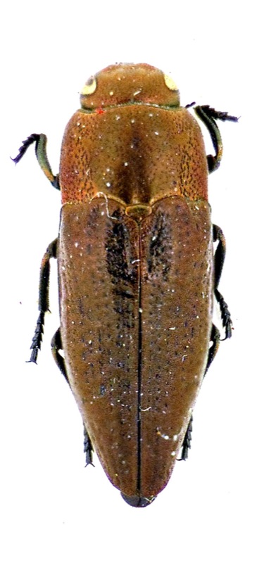
Sphenoptera (Sphenoptera) antiqua antiqua (Illiger, 1803) - Buprestidae
http://www.entomologiitaliani.net/public/forum/phpBB3/viewtopic.php?f=73&t=16803
Pagina 1 di 1

Autore:  AdYRuicanescu [ 28/01/2011, 12:00 ]
Oggetto del messaggio:  Sphenoptera (Sphenoptera) antiqua antiqua (Illiger, 1803) - Buprestidae

Female.

Allegati:
Sphenoptera antiquawtmk.jpg


Autore:  Julodis [ 14/06/2011, 22:03 ]
Oggetto del messaggio:  Re: Sphenoptera (Sphenoptera) antiqua antiqua (Illiger, 1803) - Buprestidae

A very strange colour for this species!
Are you sure it is Sphenoptera antiqua?

Autore:  AdYRuicanescu [ 16/06/2011, 10:16 ]
Oggetto del messaggio:  Re: Sphenoptera (Sphenoptera) antiqua antiqua (Illiger, 1803) - Buprestidae

Julodis ha scritto:
A very strange colour for this species!
Are you sure it is Sphenoptera antiqua?


I got about 5-6 specimens in that year. All are bronze copper. I will attach other picture. The problem when I made these pictures I had not very good lights and I should correct the colors in Photoshop. I have to repeat the pictures with Acmaeodera, Acmaeoderella, Sphenoptera and most Anthaxia. But these Sphenoptera antiqua are really bronze, not black. They are only 2 species of Sphenoptera (Sphenoptera) in Romania. S. antiqua and S. barbarica. The last one is extremly rare and it was found only one time in the Black Sea coast. I hope I'm not wrong but this one appears to be S. antiqua.

Allegati:
011_Sphenoptera antiqua2.jpg


Autore:  AdYRuicanescu [ 19/06/2011, 14:09 ]
Oggetto del messaggio:  Re: Sphenoptera (Sphenoptera) antiqua antiqua (Illiger, 1803) - Buprestidae

Hi Julodis,
I took a better picture of that female of Sphenoptera antiqua together to a male, collected in the same place and date. Please replace the picture of the first post. Thank you again.
Sphenoptera antiquawtmk.jpg



and I want to show you another picture of the same female, taken without the diffuser. The color and shimmer is natural for this specimen.
Sphenoptera antiqua_f_no diffwtmk.jpg


Pagina 1 di 1 Tutti gli orari sono UTC + 1 ora [ ora legale ]
Powered by phpBB® Forum Software © phpBB Group
http://www.phpbb.com/