Benvenuto Ospite

Forum Entomologi Italiani

www.entomologiitaliani.net/forum
 
Oggi è 12/11/2025, 4:29

Tutti gli orari sono UTC + 1 ora [ ora legale ]

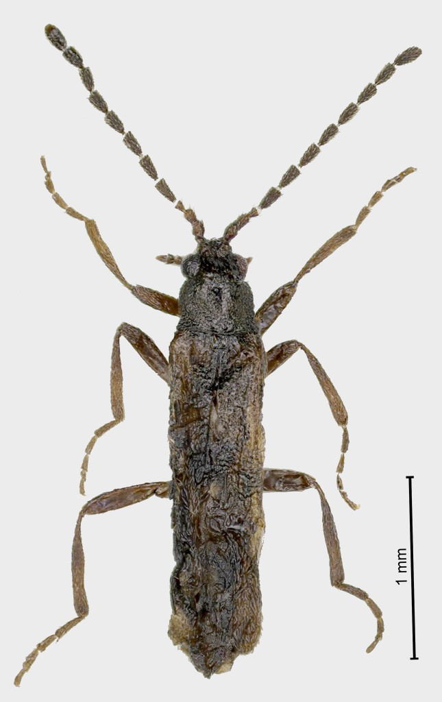
Thilmanus obscurus Baudi di Selve, 1872 - Elateroidea

13.II.2014 - ITALIA - Sardegna - NU, Galtellì, riva sn del fiume Cedrino, strada provinciale n. 25 (Km. 7), L. Fancello leg.


nuovo argomento
rispondi
Vai alla pagina 1, 2  Prossimo
Pagina 1 di 2 [ 16 messaggi ]
Autore Messaggio
MessaggioInviato: 27/07/2015, 19:17 
Avatar utente

Iscritto il: 02/09/2009, 20:57
Messaggi: 8703
Località: Cagliari
Nome: Roberto Rattu
Questa è una bestiola che hanno visto davvero in pochi. Thilmanus obscurus è una specie misteriosa sotto diversi aspetti, in primo luogo dal punto di vista sistematico: ancora non è chiaro a quale famiglia vada ascritto il genere Thilmanus; come la congenere T. laticeps dei Pirenei Orientali, è specie nota su soli esemplari di sesso maschile, nulla si sa della biologia e ben poco circa l’ecologia.
T. obscurus oltretutto faceva parte di quel contingente di taxa che, per ragioni più o meno comprensibili, non venivano più raccolti per lunghissimi intervalli di tempo e che per questo risultavano ammantati da un certo alone di fascino.
Dico “faceva” perché, dopo circa un secolo, T. obscurus è stato nuovamente trovato; due recenti reperti, assieme a dati inediti provenienti da alcune collezioni storiche, sono stati il punto di partenza per la stesura della seguente nota.
La foto è del nostro Augusto “Notoxus” :lov1: :



Thilmanus obscurus.jpg



Top
profilo
MessaggioInviato: 27/07/2015, 20:33 
 
Bravissimi davvero bravi


Top
MessaggioInviato: 27/07/2015, 20:39 
Avatar utente

Iscritto il: 02/02/2009, 23:32
Messaggi: 5645
Località: da Ferrara ad Alghero
Nome: Roberto A. Pantaleoni
Che storia interessante. Ma perché non li mettete in alcool sti poveri coleotteri "teneri"? Secondo me ne capireste di più.
R


Top
profilo
MessaggioInviato: 27/07/2015, 20:46 
Avatar utente

Iscritto il: 18/02/2009, 0:24
Messaggi: 3909
Località: Asciano (Siena)
Nome: Andrea Petrioli
:sh: :sh: :sh: che strana bestiola :shock:

Bravi!!!! :birra:

_________________
:hi:
______
Andrea


Top
profilo
MessaggioInviato: 28/07/2015, 8:13 
Avatar utente

Iscritto il: 02/09/2009, 20:57
Messaggi: 8703
Località: Cagliari
Nome: Roberto Rattu
Hemerobius ha scritto:
Che storia interessante. Ma perché non li mettete in alcool sti poveri coleotteri "teneri"? Secondo me ne capireste di più.
R


Ciao Roberto, la specie non è così "molle" come può sembrare; tutti gli esemplari "storici" esaminati sono abbastanza sclerificati. Il reperto illustrato invece, scelto per la foto in quanto cattura recente, è probabilmente neosfarfallato. Ovviamente d'accordissimo sulla conservazione in liquido, specialmente nella prospettiva di studi genetici.

:hi:


Top
profilo
MessaggioInviato: 28/07/2015, 8:59 
Avatar utente

Iscritto il: 08/02/2010, 23:01
Messaggi: 6171
Località: Vicenza
Nome: Silvano Biondi
Complimenti per i ritrovamenti: specie molto interessante e misteriosa, con ampi margini per ulteriori ed appassionanti indagini: trovare le femmine, scoprire la biologia, chiarire la distribuzione, precisare la posizione sistematica. Quante prospettive di lavoro!

:hi:

_________________



Silvano


Top
profilo
MessaggioInviato: 28/07/2015, 15:22 
Avatar utente

Iscritto il: 06/02/2009, 9:03
Messaggi: 6373
Località: Bubano di Mordano (Bologna)
Nome: Augusto Degiovanni
Vi riporto anche qui i miei complimenti :birra: :birra: :birra:

_________________
CIAO :hi: Augusto Degiovanni

http://anthicidaeecarabidae.altervista.org


Top
profilo
MessaggioInviato: 28/07/2015, 16:35 
Avatar utente

Iscritto il: 23/06/2010, 11:11
Messaggi: 2784
Località: Cagliari
Nome: Gianpaolo Ruzzante
Complimenti a Luca e Roberto :birra:
Riscoperta e lavoro interessante, bestiola però un po' bruttarella di suo :lol:


Top
profilo
MessaggioInviato: 28/07/2015, 18:51 
Avatar utente

Iscritto il: 02/09/2009, 20:57
Messaggi: 8703
Località: Cagliari
Nome: Roberto Rattu
ruzzpa ha scritto:
bestiola però un po' bruttarella di suo :lol:

Il tuo giudizio estetico è condiviso da Augusto che non a caso l'ha ribattezzata "lo sgorbio" :lol:

:hi:


Top
profilo
MessaggioInviato: 28/07/2015, 19:05 
 

Iscritto il: 10/07/2010, 14:42
Messaggi: 4788
Nome: Giuseppe Pace
Fumea crassiorella ha scritto:
Questa è una bestiola che hanno visto davvero in pochi.

Effettivamente è una di quelle specie praticamente " sconosciute"
Avevo visto qualche foto e qualche lavoro.

Avrei voluto chiederti se l'avevi mai raccolta e se potevi proporre una foto.
Avete fatto addirittura un bel lavoro. :ok:

Bravi.

Ciao
Giuseppe


Top
profilo
MessaggioInviato: 28/07/2015, 20:33 
Avatar utente

Iscritto il: 05/02/2009, 17:44
Messaggi: 2683
Località: Garbagnate Milanese
Nome: Augusto Franzini
:sh: Complimenti! Neanche sapevo che esistesse...La Sardegna :lov3: non tradisce mai!

_________________
Augusto (aug)
Prediction is very difficult, especially about the future (Niels Bohr, fisico)


Top
profilo
MessaggioInviato: 28/07/2015, 21:40 
Avatar utente

Iscritto il: 22/12/2009, 13:31
Messaggi: 9646
Località: Napoli
Nome: Francesco Izzillo
aug ha scritto:
:sh: Complimenti! Neanche sapevo che esistesse...La Sardegna :lov3: non tradisce mai!

No io che la Sardegna esistesse lo sapevo già :mrgreen: se non altro perché sopporto pazientemente il Muflone sardo! :to:

_________________
Francesco Izzillo


Top
profilo
MessaggioInviato: 01/08/2015, 20:03 
Avatar utente

Iscritto il: 23/06/2010, 19:05
Messaggi: 2588
Località: Pescara
Nome: Alessio Morelli
:birra: In ritardo, faccio anch'io i miei più sinceri complimenti agli autori :birra: .
Leggendo ho capito perché avete lasciato Elateroidea.

Quindi: piccole, mollicce, elusive e dalla biologia sconosciuta, un cocktail micidiale :mrgreen: .


Top
profilo
MessaggioInviato: 01/08/2015, 21:57 
 

Iscritto il: 03/02/2015, 11:23
Messaggi: 984
Località: Policoro (MT)
Nome: Giuseppe Cancelliere
Molto interessante, complimenti.


Top
profilo
MessaggioInviato: 04/08/2015, 14:51 
Avatar utente

Iscritto il: 30/12/2010, 11:51
Messaggi: 4548
Località: San Giovanni Valdarno (AR)
Nome: Giovanni Altadonna
Complimenti agli autori. :birra: :hp:

_________________
"L' uomo che è cieco alle bellezze della natura ha perduto metà del piacere di vivere"
Sir Robert Baden Powell

Giovanni Altadonna


Top
profilo
Visualizza ultimi messaggi:  Ordina per  
nuovo argomento
rispondi
Vai alla pagina 1, 2  Prossimo
Pagina 1 di 2 [ 16 messaggi ]

Tutti gli orari sono UTC + 1 ora [ ora legale ]


Chi c’è in linea

Visitano il forum: Nessuno e 2 ospiti


Non puoi aprire nuovi argomenti
Non puoi rispondere negli argomenti
Non puoi modificare i tuoi messaggi
Non puoi cancellare i tuoi messaggi
Non puoi inviare allegati

Cerca per:
Vai a: