Benvenuto Ospite

Forum Entomologi Italiani

www.entomologiitaliani.net/forum
 
Oggi è 24/10/2025, 2:20

Tutti gli orari sono UTC + 1 ora [ ora legale ]

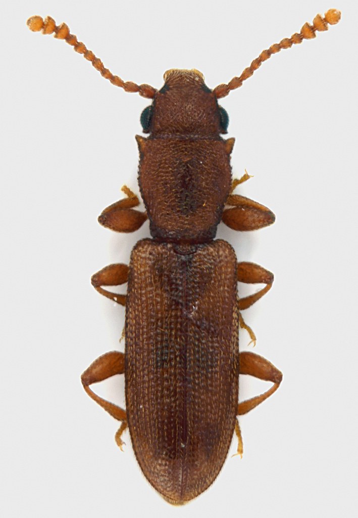
Silvanus unidentatus (Olivier, 1790) - Silvanidae

8.III.2011 - ITALIA - Lazio - RM, Roma, San Vittorino


nuovo argomento
rispondi
Pagina 1 di 1 [ 3 messaggi ]
Autore Messaggio
MessaggioInviato: 19/03/2011, 0:50 
Avatar utente

Iscritto il: 30/12/2009, 22:20
Messaggi: 31564
Località: Roma
Nome: Maurizio Gigli
Questo era insieme a quest'altro, sotto lo stesso pezzetto di corteccia, e pensavo fossero della stessa specie, finchè non li ho guardati al microscopio.

Dovrebbe essere un Silvanus. Forse unidentatus?

Lazio, Roma, San Vittorino, 8.III.2011, sotto corteccia di pioppo morto e caduto, M. Gigli legit

2,35 mm
Sylvanus_San_Vittorino_8-III-2011_2,35mm.jpg


_________________
Maurizio Gigli
http://utenti.romascuola.net/bups
http://bup.xoom.it/


Top
profilo
 Oggetto del messaggio: Re: Silvanus sp. - Lazio
MessaggioInviato: 19/03/2011, 5:23 
Avatar utente

Iscritto il: 17/02/2009, 0:05
Messaggi: 8521
Località: Isola d'Elba - Arcipelago Toscano
Nome: Leonardo Forbicioni
Utilizzando le chiavi di E.Ratti,
* - misure dell'esemplare;
* - forma e punteggiatura della testa;
* - pronoto (angoli anteriori e forma);
mi portano direttamente a Silvanus unidentatus (Olivier, 1790)....ma io, pur essendo una specie comune, non l'ho ancora trovata! :( :(

_________________
"Stay hungry, stay foolish".
Steve Jobs, 2005
___________________
jjuniper8(at)gmail.com
Twitter: @weevil_forbix
cell. 339/5275910
___________________


Top
profilo
 Oggetto del messaggio: Re: Silvanus sp. - Lazio
MessaggioInviato: 19/03/2011, 8:27 
Avatar utente

Iscritto il: 30/12/2009, 22:20
Messaggi: 31564
Località: Roma
Nome: Maurizio Gigli
FORBIX ha scritto:
Utilizzando le chiavi di E.Ratti, ....

Mi dimentico sempre della presenza sul Forum di questo bellissimo lavoro! :no1:

_________________
Maurizio Gigli
http://utenti.romascuola.net/bups
http://bup.xoom.it/


Top
profilo
Visualizza ultimi messaggi:  Ordina per  
nuovo argomento
rispondi
Pagina 1 di 1 [ 3 messaggi ]

Tutti gli orari sono UTC + 1 ora [ ora legale ]


Chi c’è in linea

Visitano il forum: Nessuno e 0 ospiti


Non puoi aprire nuovi argomenti
Non puoi rispondere negli argomenti
Non puoi modificare i tuoi messaggi
Non puoi cancellare i tuoi messaggi
Non puoi inviare allegati

Cerca per:
Vai a:  
cron