Benvenuto Ospite

Forum Entomologi Italiani

www.entomologiitaliani.net/forum
 
Oggi è 01/11/2025, 22:57

Tutti gli orari sono UTC + 1 ora [ ora legale ]

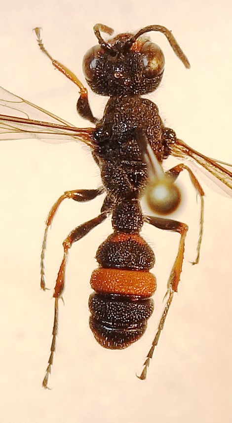
Cerceris concinna Brullé, 1839 (cf.) - Crabronidae

27.IX.2016 - SPAGNA - EE, Canarie - La Gomera - La Laguna - m 1250


nuovo argomento
rispondi
Pagina 1 di 1 [ 1 messaggio ]
Autore Messaggio
MessaggioInviato: 19/12/2016, 19:31 
Avatar utente

Iscritto il: 23/06/2010, 11:11
Messaggi: 2784
Località: Cagliari
Nome: Gianpaolo Ruzzante
Bella bestiolina, penso si tratti di Cerceris concinna Brullé, 1839


IMG_1249 (2).JPG

IMG_1248 (2).JPG

DSC00862.JPG

Top
profilo
Visualizza ultimi messaggi:  Ordina per  
nuovo argomento
rispondi
Pagina 1 di 1 [ 1 messaggio ]

Tutti gli orari sono UTC + 1 ora [ ora legale ]


Chi c’è in linea

Visitano il forum: Nessuno e 2 ospiti


Non puoi aprire nuovi argomenti
Non puoi rispondere negli argomenti
Non puoi modificare i tuoi messaggi
Non puoi cancellare i tuoi messaggi
Non puoi inviare allegati

Cerca per:
Vai a: