Benvenuto Ospite

Forum Entomologi Italiani

www.entomologiitaliani.net/forum
 
Oggi è 03/11/2025, 12:33

Tutti gli orari sono UTC + 1 ora [ ora legale ]

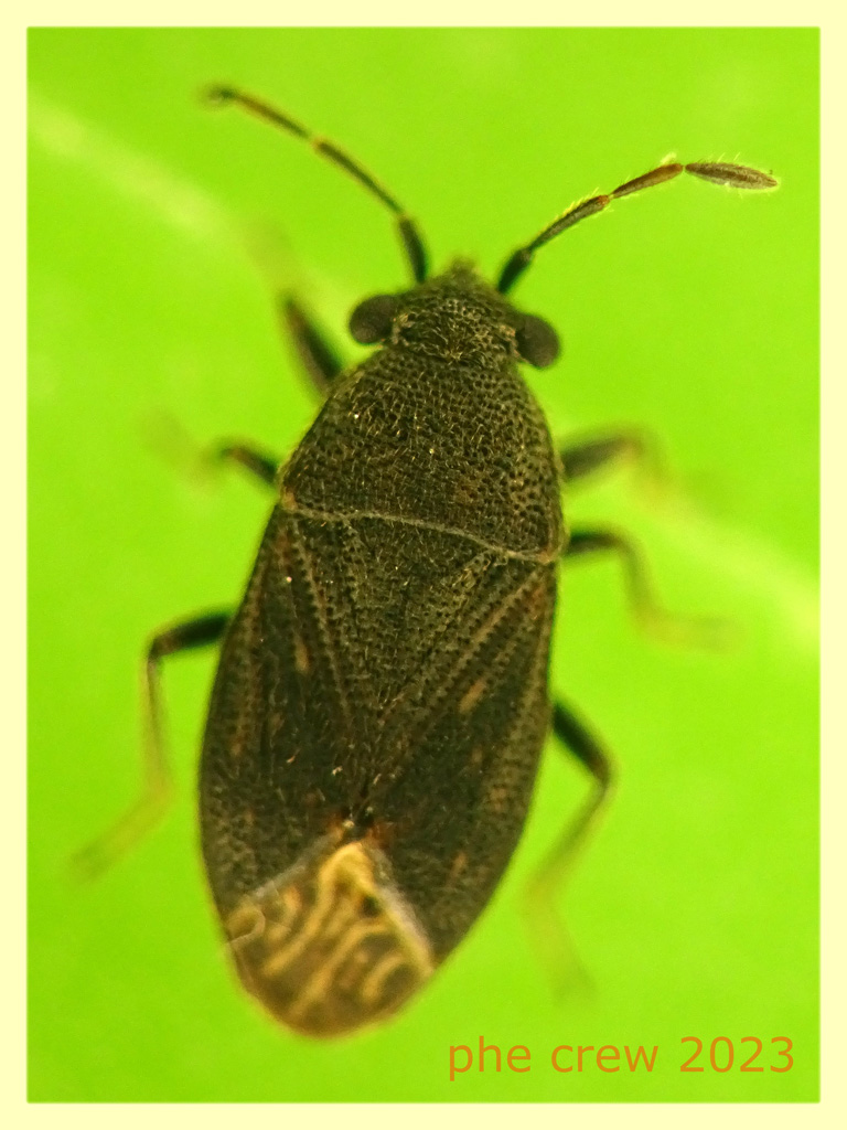
Stygnocoris fuligineus (Geoffroy, 1785) (cf.) - Lygaeidae

14.I.2023 - ITALIA - Lazio - RM, Ariccia


nuovo argomento
rispondi
Pagina 1 di 1 [ 3 messaggi ]
Autore Messaggio
MessaggioInviato: 19/01/2023, 20:11 
Avatar utente

Iscritto il: 05/07/2009, 12:23
Messaggi: 6829
Località: Anzio (RM)
Nome: Vittorio Risoldi
...l' ho guardato e riguardato….e mi pare dal pattern e dal colore delle zampe proprio Stygnocoris fuligineus….secondo voi ?...era in movimento e credo che la misura si aggiri sui 3 mm. Unico esemplare.

Stygnocoris fuligineus 3 mm. -  Ariccia RM - 14.1.2023 - (1).JPG

Stygnocoris fuligineus 3 mm. -  Ariccia RM - 14.1.2023 - (2).JPG

Stygnocoris fuligineus 3 mm. -  Ariccia RM - 14.1.2023 - (5).JPG

Stygnocoris fuligineus 3 mm. -  Ariccia RM - 14.1.2023 - (4).JPG

Stygnocoris fuligineus 3 mm. -  Ariccia RM - 14.1.2023 - (3).JPG

Stygnocoris fuligineus 3 mm. -  Ariccia RM - 14.1.2023 - (7).JPG

Stygnocoris fuligineus 3 mm. -  Ariccia RM - 14.1.2023 - (8).JPG

Stygnocoris fuligineus 3 mm. -  Ariccia RM - 14.1.2023 - (6).JPG

Stygnocoris fuligineus 3 mm. -  Ariccia RM - 14.1.2023 - (9).JPG


_________________
°°°°°°°°°°°°°°°°°°°°°°°°°°°°°°°°°°°°°°°°
Ciao
Vittorio


Flickr

Phe Immagini

Facebook


Top
profilo
 Oggetto del messaggio: Re: Stygnocoris fuligineus
MessaggioInviato: 20/01/2023, 13:28 
Avatar utente

Iscritto il: 05/07/2009, 12:23
Messaggi: 6829
Località: Anzio (RM)
Nome: Vittorio Risoldi
...altre foto...la misura esatta e' 3,1 mm.

Stygnocoris fuligineus 3,1 mm. -  Ariccia RM - 14.1.2023 - (2).JPG



...le zampe con cosce nere…

Stygnocoris fuligineus 3,1 mm. -  Ariccia RM - 14.1.2023 - (3).JPG



...testa di profilo e antenna…

Stygnocoris fuligineus 3,1 mm. -  Ariccia RM - 14.1.2023 - (4).JPG


_________________
°°°°°°°°°°°°°°°°°°°°°°°°°°°°°°°°°°°°°°°°
Ciao
Vittorio


Flickr

Phe Immagini

Facebook


Top
profilo
 Oggetto del messaggio: Re: Stygnocoris fuligineus
MessaggioInviato: 03/02/2023, 19:04 
Avatar utente

Iscritto il: 05/07/2009, 12:23
Messaggi: 6829
Località: Anzio (RM)
Nome: Vittorio Risoldi
up !

_________________
°°°°°°°°°°°°°°°°°°°°°°°°°°°°°°°°°°°°°°°°
Ciao
Vittorio


Flickr

Phe Immagini

Facebook


Top
profilo
Visualizza ultimi messaggi:  Ordina per  
nuovo argomento
rispondi
Pagina 1 di 1 [ 3 messaggi ]

Tutti gli orari sono UTC + 1 ora [ ora legale ]


Chi c’è in linea

Visitano il forum: Nessuno e 1 ospite


Non puoi aprire nuovi argomenti
Non puoi rispondere negli argomenti
Non puoi modificare i tuoi messaggi
Non puoi cancellare i tuoi messaggi
Non puoi inviare allegati

Cerca per:
Vai a: