Forum Entomologi Italiani
http://www.entomologiitaliani.net/public/forum/phpBB3/

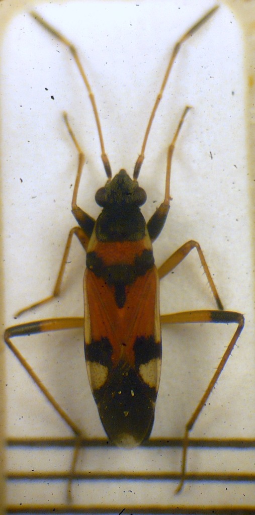
Beosus quadripunctatus (O.F. Müller, 1766) - Lygaeidae
http://www.entomologiitaliani.net/public/forum/phpBB3/viewtopic.php?f=93&t=20898
Pagina 1 di 1

Autore:  marco paglialunga [ 27/04/2011, 9:34 ]
Oggetto del messaggio:  Beosus quadripunctatus (O.F. Müller, 1766) - Lygaeidae

Bella coppietta ;)

Allegati:
6.5 mm
P1090145.JPG

6.8 mm
P1090141.JPG


Pagina 1 di 1 Tutti gli orari sono UTC + 1 ora [ ora legale ]
Powered by phpBB® Forum Software © phpBB Group
http://www.phpbb.com/