Forum Entomologi Italiani
http://www.entomologiitaliani.net/public/forum/phpBB3/

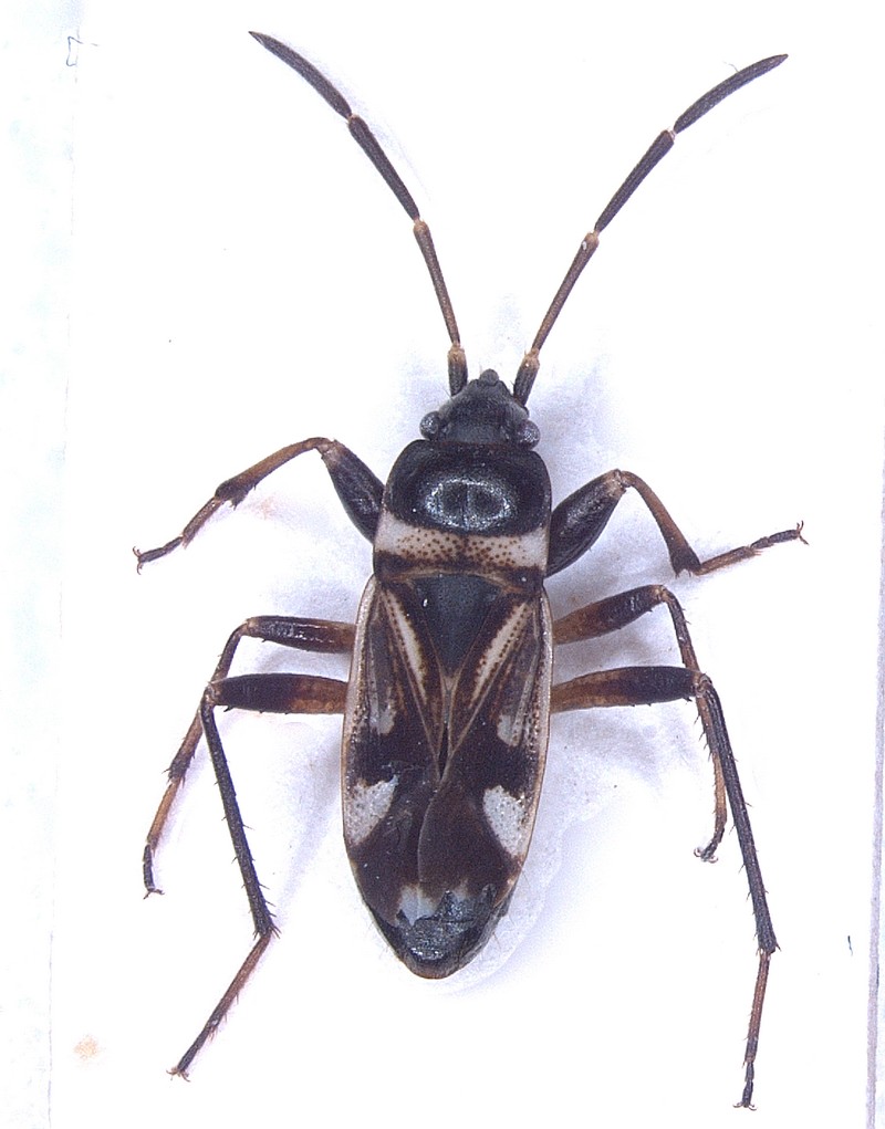
Rhyparochromus (Raglius) alboacuminatus (Goeze, 1778), Lygaeidae. Sardegna.
http://www.entomologiitaliani.net/public/forum/phpBB3/viewtopic.php?f=93&t=2880
Pagina 1 di 1

Autore:  Ranatra [ 08/10/2009, 13:31 ]
Oggetto del messaggio:  Rhyparochromus (Raglius) alboacuminatus (Goeze, 1778), Lygaeidae. Sardegna.

Belvì (Nu) 05/09/2006
Trappola a caduta in noccioleto
Circa 5 mm. N.B. Manca l'addome quindi la misura può essere imprecisa.
Mi sento di dire che è un Rhyparocromus, ma non il Rhyparocromus (s str) vulgaris che è l'unico che ho!
Mi butto dicendo che assomiglia al Rhyparocromus walkeri ma è giusto per fare un nome :lol1: Sto toppando?
Siate clementi.....

Grazie Laura

Allegati:
Lyg_2.jpg


Autore:  eremicus [ 08/10/2009, 20:41 ]
Oggetto del messaggio:  Re: Lygaeidae 2, Sardegna. Rhyparochromus, MA QUALE?

Rhyparochromus (Raglius) alboacuminatus (Goeze, 1778), specie piuttosto variabile nella colorazione. L'esemplare presenta un interessante caso - non infrequente nei Lygaeidae - di oligomeria antennale sul lato sinistro.

Autore:  Ranatra [ 27/10/2009, 22:23 ]
Oggetto del messaggio:  Lygaeidae Rhyparochrominae 1, Sardegna

Tonara (Nu), 30/08/2007
Trappola a caduta in noceto
Maschio di circa 6 mm.
Grazie Laura

Allegati:
Lyg_1.jpg


Autore:  eremicus [ 28/10/2009, 14:36 ]
Oggetto del messaggio:  Re: Lygaeidae Rhyparochrominae 1, Sardegna

Cara Laura, avevo già identificato per te questa specie piuttosto di recente. Penso che puoi perfettamente individuare qual'è.

Autore:  Ranatra [ 28/10/2009, 15:51 ]
Oggetto del messaggio:  Re: Lygaeidae Rhyparochrominae 1, Sardegna

Ora, con la stessa velocità con cui ho postato l'esemplare senza fare una diagnosi scontata, mi scaverò un fosso!
:ses :ses :ses :ses :ses :ses :ses :ses :ses :ses :ses :ses :ses :ses :ses :ses :ses :ses :ses :ses
E vorrà dire che sarà la volta buona che sostituisco la foto di mio marito nel portafoto d'argento sul comò di camera da letto con quella del Rhyparochromus (Raglius) alboacuminatus

Chiedo venia

Laura

Pagina 1 di 1 Tutti gli orari sono UTC + 1 ora [ ora legale ]
Powered by phpBB® Forum Software © phpBB Group
http://www.phpbb.com/