Benvenuto Ospite

Forum Entomologi Italiani

www.entomologiitaliani.net/forum
 
Oggi è 04/11/2025, 22:09

Tutti gli orari sono UTC + 1 ora [ ora legale ]

Beosus maritimus (Scopoli, 1763) - Lygaeidae. Sardegna



nuovo argomento
rispondi
Pagina 1 di 1 [ 3 messaggi ]
Autore Messaggio
MessaggioInviato: 03/11/2009, 16:11 
Avatar utente

Iscritto il: 06/02/2009, 8:59
Messaggi: 305
Località: Sassari
Nome: Laura Loru
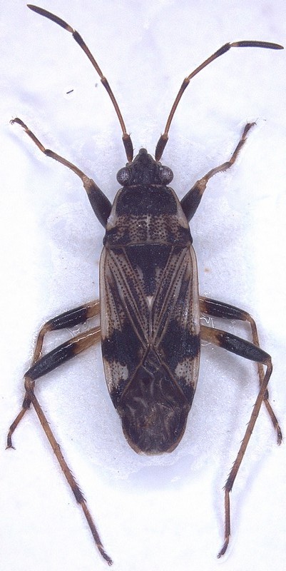
Belvì (Nu), 24/07/2007
Trappola a caduta in ciliegieto
Femmina, circa 7 mm

Ma la faccina che alza bandiera bianca non esiste :x ?
Sò che con questo post perderò la faccia :cry: , ma è l'ultimo eterottero delle raccolte di noce e ciliegio, e son proprio allo stremo delle forze!
Allora è un ligeide, dovrebbe essere un Rhyparochromus ma non uno fra questi che già posseggo: R. (Raglius) alboacuminatus, R. (Xantochilus) saturnius e R (s str) vulgaris (anche se a quest'ultimo un pò ci assomiglia (vedi sotto), ma il vulgaris ha i femori scuri, questo li ha bicolore!!!)
Insomma avrei voluto postare questo messaggio da anonima, ma mi avreste riconosciuta per il luogo ed il metodo di cattura :x
Per favore chi è? Non abbiate pietà, sono pronta all' "umiliazione" :x pur di sapere chi è!!!
Ho ancora un bel pò di materiale di altre ricerche per prendermi la rivincita :lol1:
GRAZIE LAURA


C.jpg

Rhyparochromus vulgaris
Rhyparochromus_(s.str.)vulgaris.jpg

Top
profilo
 Oggetto del messaggio: Re: Lygaeidae Sardegna
MessaggioInviato: 03/11/2009, 18:34 
Avatar utente

Iscritto il: 05/02/2009, 17:36
Messaggi: 780
Nome: Attilio Carapezza
Il motivo semplicissimo per cui non riuscivi a determinare questa specie è che la cercavi nel genere sbagliato; è un Beosus maritimus (Scopoli, 1763).


Top
profilo
 Oggetto del messaggio: Re: Lygaeidae Sardegna
MessaggioInviato: 03/11/2009, 22:44 
Avatar utente

Iscritto il: 06/02/2009, 8:59
Messaggi: 305
Località: Sassari
Nome: Laura Loru
Credimi, mai stata così contenta di aver sbagliato un genere!
Almeno è finito (per ora) l'incubo del Rhyparochromus
Effettivamente una sbirciata al Beosus l'avevo data, ma evidentemente non con la dovuta attenzione!
Domani mi documenterò sulle differenzre più importanti fra questi due generi!

Grazie Laura


Top
profilo
Visualizza ultimi messaggi:  Ordina per  
nuovo argomento
rispondi
Pagina 1 di 1 [ 3 messaggi ]

Tutti gli orari sono UTC + 1 ora [ ora legale ]


Chi c’è in linea

Visitano il forum: Nessuno e 1 ospite


Non puoi aprire nuovi argomenti
Non puoi rispondere negli argomenti
Non puoi modificare i tuoi messaggi
Non puoi cancellare i tuoi messaggi
Non puoi inviare allegati

Cerca per:
Vai a: