Benvenuto Ospite

Forum Entomologi Italiani

www.entomologiitaliani.net/forum
 
Oggi è 05/11/2025, 3:59

Tutti gli orari sono UTC + 1 ora [ ora legale ]

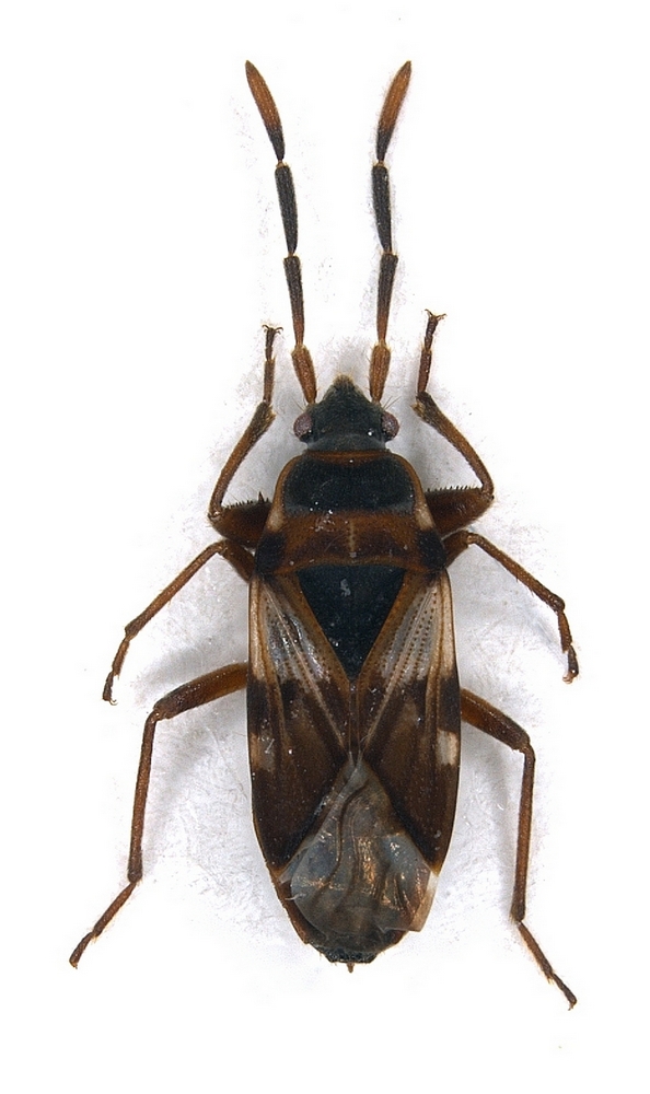
Scolopostethus cognatus Fieber, 1861. Lygaeidae, Sardegna



nuovo argomento
rispondi
Pagina 1 di 1 [ 1 messaggio ]
Autore Messaggio
MessaggioInviato: 06/11/2009, 14:32 
Avatar utente

Iscritto il: 06/02/2009, 8:59
Messaggi: 305
Località: Sassari
Nome: Laura Loru
Desulo (Nu), 24/05/2007
Trappola a caduta in ontaneto

Questo esemplare di Scolopostethus cognatus è stato determinato da Eremicus quando il nostro forum aveva un' altra sede. Per comodità e per metterlo a "disposizione" di tutti lo riposto quà!!

Ciao Laura


Scolopostethus_cognatus.jpg

Top
profilo
Visualizza ultimi messaggi:  Ordina per  
nuovo argomento
rispondi
Pagina 1 di 1 [ 1 messaggio ]

Tutti gli orari sono UTC + 1 ora [ ora legale ]


Chi c’è in linea

Visitano il forum: Nessuno e 1 ospite


Non puoi aprire nuovi argomenti
Non puoi rispondere negli argomenti
Non puoi modificare i tuoi messaggi
Non puoi cancellare i tuoi messaggi
Non puoi inviare allegati

Cerca per:
Vai a:  
cron