| Forum Entomologi Italiani http://www.entomologiitaliani.net/public/forum/phpBB3/ |
|
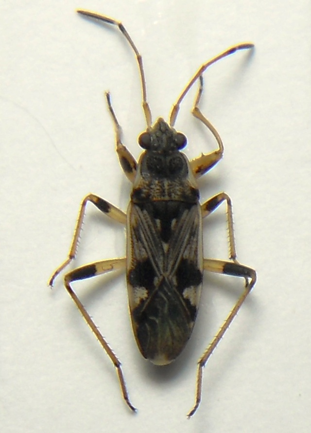
| Beosus maritimus (Scopoli, 1763) - Lygaeidae Rhyparochrominae Rhyparochromini http://www.entomologiitaliani.net/public/forum/phpBB3/viewtopic.php?f=93&t=38495 |
Pagina 1 di 1 |
| Autore: | Umbro [ 16/09/2012, 15:05 ] | ||
| Oggetto del messaggio: | Beosus maritimus (Scopoli, 1763) - Lygaeidae Rhyparochrominae Rhyparochromini | ||
Ciao a tutti! Lunghezza 6mm..
|
|||
| Autore: | Dioli [ 24/09/2012, 0:28 ] |
| Oggetto del messaggio: | Re: Beosus maritimus (Scopoli, 1763) - Lygaeidae - da confermare |
Confermo
|
|
| Pagina 1 di 1 | Tutti gli orari sono UTC + 1 ora [ ora legale ] |
| Powered by phpBB® Forum Software © phpBB Group http://www.phpbb.com/ |
|