Forum Entomologi Italiani
https://www.entomologiitaliani.net/public/forum/phpBB3/

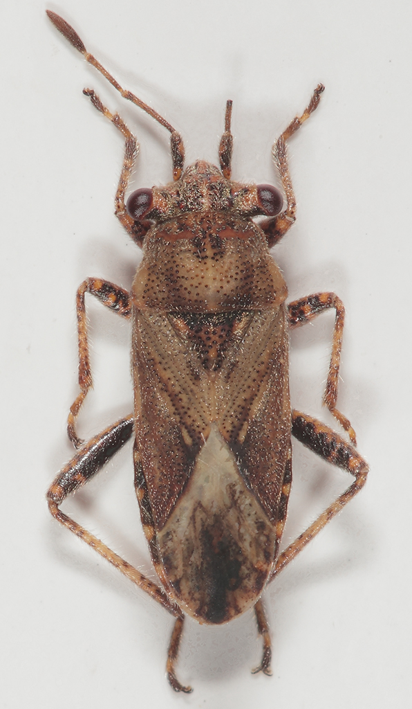
Henestaris laticeps (Curtis 1836) - Lygaeidae Henestarinae
https://www.entomologiitaliani.net/public/forum/phpBB3/viewtopic.php?f=93&t=51519
Pagina 1 di 1

Autore:  FORBIX [ 23/02/2014, 11:41 ]
Oggetto del messaggio:  Henestaris laticeps (Curtis 1836) - Lygaeidae Henestarinae

Anche questo dovrebbe mancare all'appello FEI!!! ;) :hp: :hp:
Strana bestia.....di cui non sono per nulla sicuro dell'ID visto che dovrebbero essercene almeno un paio di specie....l'altro dovrebbe essere H. halophilus (Burmeister, 1835), che non so discriminare.

Henestaris-laticeps-up.jpg

Henestaris-laticeps-lateral.jpg


Autore:  giuseppe55 [ 23/02/2014, 20:44 ]
Oggetto del messaggio:  Re: Henestaris laticeps (Curtis 1836) (cf.) - Lygaeidae Henestarinae

FORBIX ha scritto:
Henestaris laticeps (Curtis 1836) (cf.) - Lygaeidae Henestarinae

Ciao Leonardo,
penso che la tua determinazione sia corretta.
L'altra specie ha gli occhi meno "peduncolati".

Giuseppe

Autore:  FORBIX [ 23/02/2014, 21:39 ]
Oggetto del messaggio:  Re: Henestaris laticeps (Curtis 1836) (cf.) - Lygaeidae Henestarinae

Grazie Giuseppe!! :lov2: :lov2:

Pagina 1 di 1 Tutti gli orari sono UTC + 1 ora [ ora legale ]
Powered by phpBB® Forum Software © phpBB Group
http://www.phpbb.com/