Benvenuto Ospite

Forum Entomologi Italiani

www.entomologiitaliani.net/forum
 
Oggi è 06/11/2025, 21:13

Tutti gli orari sono UTC + 1 ora [ ora legale ]

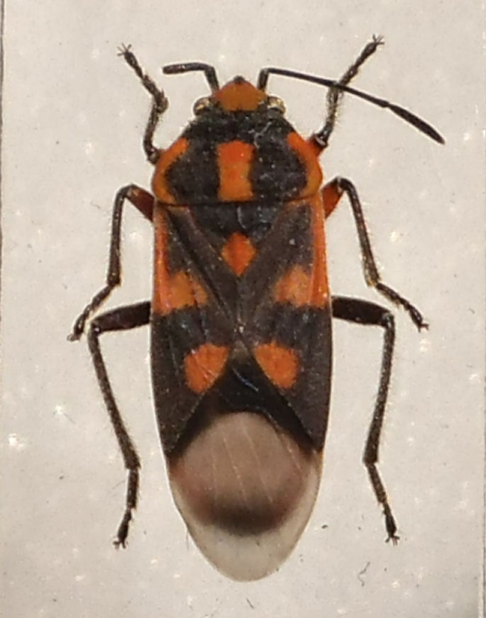
Lygaeidae sp.

8.I.1991 - TANZANIA, REPUBBLICA UNITA DI - EE, Mto-wa-Mbu (Lake Manyara)


nuovo argomento
rispondi
Pagina 1 di 1 [ 1 messaggio ]
Autore Messaggio
 Oggetto del messaggio: Lygaeidae sp.
MessaggioInviato: 22/04/2014, 21:20 
 

Iscritto il: 08/12/2013, 1:52
Messaggi: 7535
Località: Bagnacavallo (RA)
Nome: Giorgio Pezzi
Vecchio reperto: mm 9.5. :hi:
ligeide Mto.jpg



Top
profilo
Visualizza ultimi messaggi:  Ordina per  
nuovo argomento
rispondi
Pagina 1 di 1 [ 1 messaggio ]

Tutti gli orari sono UTC + 1 ora [ ora legale ]


Chi c’è in linea

Visitano il forum: Nessuno e 2 ospiti


Non puoi aprire nuovi argomenti
Non puoi rispondere negli argomenti
Non puoi modificare i tuoi messaggi
Non puoi cancellare i tuoi messaggi
Non puoi inviare allegati

Cerca per:
Vai a: