Forum Entomologi Italiani
http://www.entomologiitaliani.net/public/forum/phpBB3/

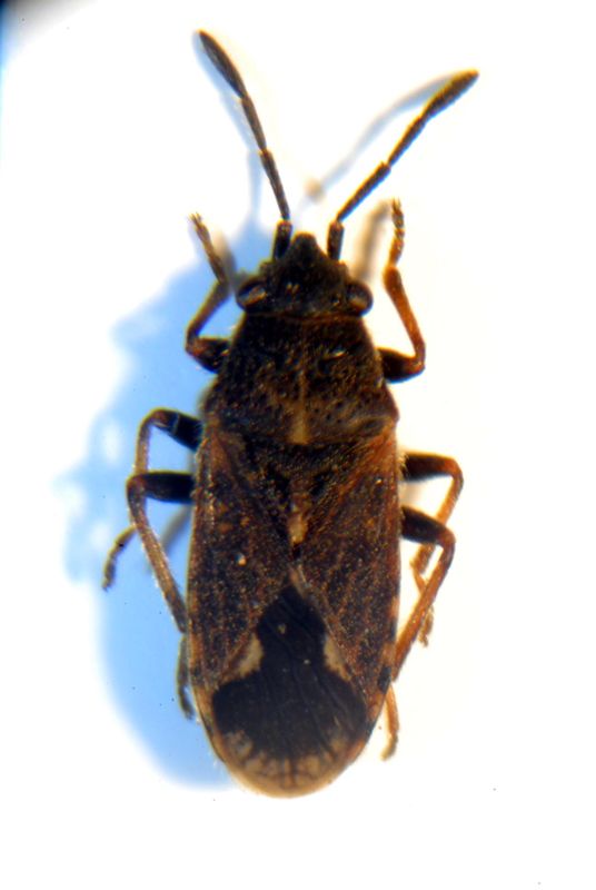
Lygaeosoma sardeum Spinola, 1837 - Lygaeidae
http://www.entomologiitaliani.net/public/forum/phpBB3/viewtopic.php?f=93&t=53404
Pagina 1 di 1

Autore:  Palaemonetes [ 10/05/2014, 11:56 ]
Oggetto del messaggio:  Lygaeosoma sardeum Spinola, 1837 - Lygaeidae

Raccolto sfalciando la vegetazione erbosa (prevalentemente Graminaceae e Juncaceae) di un campo umido. mm 3,8. Di chi si tratta? Grazie a tutti.

Allegati:
1.JPG


Autore:  Palaemonetes [ 10/05/2014, 16:49 ]
Oggetto del messaggio:  Re: Lygaeidae 1 da ID

Provo a rispondermi: Lygaeosoma sardeum?

Autore:  marsal [ 11/05/2014, 23:23 ]
Oggetto del messaggio:  Re: Lygaeidae 1 da ID

esatto! anche se non è esclusivo della Sardegna, nonostante il nome, ma presente anche nella penisola. Al nord è abbastanza comune in alcuni biotopi, per esempio nei terreni terrazzati delle vigne della provincia di Sondrio, mentre sul versante lecchese del lago di Como non l'ho mai trovato....

Autore:  Palaemonetes [ 12/05/2014, 12:14 ]
Oggetto del messaggio:  Re: Lygaeidae 1 da ID

Ottimo! :hp: Grazie per la conferma Martino :) .

Pagina 1 di 1 Tutti gli orari sono UTC + 1 ora [ ora legale ]
Powered by phpBB® Forum Software © phpBB Group
http://www.phpbb.com/