| Forum Entomologi Italiani http://www.entomologiitaliani.net/public/forum/phpBB3/ |
|
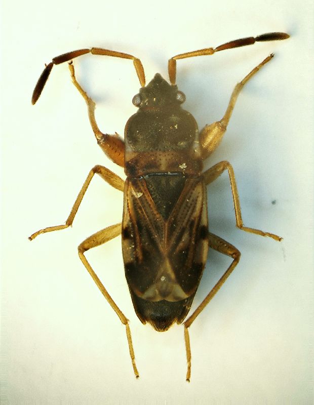
| Scolopostethus cf. affinis (Schilling, 1829) Lygaeidae http://www.entomologiitaliani.net/public/forum/phpBB3/viewtopic.php?f=93&t=557 |
Pagina 1 di 1 |
| Autore: | Loriscola [ 19/03/2009, 9:40 ] |
| Oggetto del messaggio: | Scolopostethus cf. affinis (Schilling, 1829) Lygaeidae |
Anche questo, l'ultimo heterottero rinvenuto ieri l'altro, l'ho raccolto vagante lungo le rive del fiume Reno. Credevo ingenuamente di aer preso un altro Scolopostethus (postato qualche tempo fa), ma guardandoci un attimo si vede chiaramente che è tutt'altra bestiola.... parola di "esperto" Sasso Marconi (BO) 17.03.2009 Lunghezza approx. 0,4 cm. Loris |
|
| Autore: | eremicus [ 19/03/2009, 21:36 ] |
| Oggetto del messaggio: | Re: Altro Heterottero ripario |
Quello che avevi creduto "ingenuamente" era assolutamente corretto; anche questo è uno Scolopostethus, direi Scolopostethus affinis (Schilling, 1829). La correttezza della determinazione sarebbe confermata dalla presenza di due piccoli tubercoli sul mesosterno (so che sei già un esperto di questa verifica). |
|
| Autore: | Loriscola [ 19/03/2009, 21:43 ] |
| Oggetto del messaggio: | Re: Altro Heterottero ripario |
Perfetto...così scoprirò se avevo visto bene ! Il problema si verificherà se non riesco a vederli neppure con questa bestiola...... Grazie, come sempre....Loris |
|
| Pagina 1 di 1 | Tutti gli orari sono UTC + 1 ora [ ora legale ] |
| Powered by phpBB® Forum Software © phpBB Group http://www.phpbb.com/ |
|