Benvenuto Ospite

Forum Entomologi Italiani

www.entomologiitaliani.net/forum
 
Oggi è 04/11/2025, 21:48

Tutti gli orari sono UTC + 1 ora [ ora legale ]

Scolopostethus pictus (Schilling, 1829) Lygaeidae



nuovo argomento
rispondi
Pagina 1 di 1 [ 13 messaggi ]
Autore Messaggio
MessaggioInviato: 11/03/2009, 21:48 
Avatar utente

Iscritto il: 05/02/2009, 17:25
Messaggi: 4894
Località: Zola Predosa (BO)
Nome: Loris Colacurcio
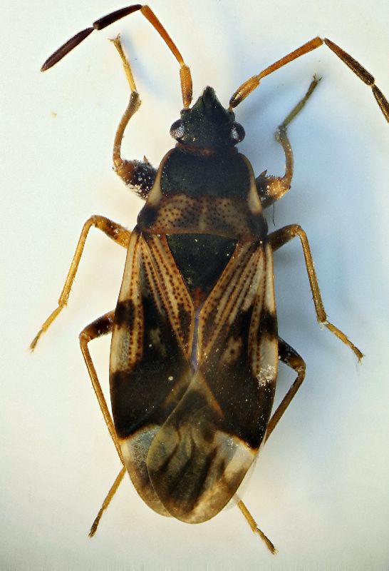
Nelle pozze lungo il fiume Reno, è poi saltato fuori pure questo piccolo Heterottero...ormai stremato.

Sasso Marconi (BO) località Palazzo Rossi: 8 marzo 2009.
Lunghezza: circa 4-5 mm.

Loris


Heterottero 01.jpg


_________________
Loris
Top
profilo
 Oggetto del messaggio: Re: Heterottero annnegato
MessaggioInviato: 12/03/2009, 10:33 
Avatar utente

Iscritto il: 06/02/2009, 8:59
Messaggi: 305
Località: Sassari
Nome: Laura Loru
Ciao loriscola, l'unica cosa che posso dirti è che di certo è un ligeide.
Appena l'ho visto mi è venuto in mente il Rhyparochromus (s.str.) vulgaris, ma tranquillo, non è lui :no: !
Di certo a causa delle dimensioni e della colorazione generale di zampe ed antenne (il R. vulgaris "viaggia" sui 7 mm ed è più scuro). E poi, pensandoci bene, il R. vulgaris ha la membrana nera con una macchia bianca all'apice :no1: !
Ora sono curiosa anche io!
Esperti fatevi avanti :? !

Laura


Top
profilo
 Oggetto del messaggio: Re: Heterottero annnegato
MessaggioInviato: 12/03/2009, 12:22 
Avatar utente

Iscritto il: 06/02/2009, 9:15
Messaggi: 1468
Località: Vigevano PV
Nome: Danilo Mario Piccolino
:? Mah ! brancolo un pò al buio anch'io come Laura.

le mie certezze sono : Lygaeidae sp.

Poi dico senza troppe convinzioni: Scolopostethus sp. ? ma è solo per poter imparare....se non si palesano i propri dubbi non si progredisce.

Aspetto ulteriori contributi più qualificati.....sono più curioso di una gazza :lol:

:hi:

_________________
Danilo


Top
profilo
 Oggetto del messaggio: Re: Heterottero annnegato
MessaggioInviato: 12/03/2009, 12:55 
Avatar utente

Iscritto il: 06/02/2009, 8:59
Messaggi: 305
Località: Sassari
Nome: Laura Loru
Come dimensioni potrebbe pure essere un Scolopostethus, ma in tal caso credo che non sia lo S. cognatus visto che la colorazione delle antenne non mi sembra proprio la sua ed in cuor mio spero che non lo sia perchè in teoria avrei già dovuto imparare a riconoscerlo visto che l'ho postato in passato
halobates ha scritto:
ma è solo per poter imparare....se non si palesano i propri dubbi non si progredisce.


Parole sante :hp: !

Ciao Laura
P.S. speriamo bene!!!


Top
profilo
 Oggetto del messaggio: Re: Heterottero annnegato
MessaggioInviato: 12/03/2009, 14:31 
Amministratore
Avatar utente

Iscritto il: 06/02/2009, 9:16
Messaggi: 6919
Località: Portici (Napoli)
Nome: Claudio Labriola
Parlo da ignorante in materia, ma controllando un po' di foto in giro e non sapendo quali possano essere i caratteri determinanti mi sono basato sulla colorazione ed ho visto che il colore delle zampe e delle antenne che più somigliano a questo esemplare appartengono a Scolopostethus affinis :oops:

_________________
Immagine Claudio Labriola
Buona Vita!!!!


Top
profilo
 Oggetto del messaggio: Re: Heterottero annnegato
MessaggioInviato: 12/03/2009, 16:19 
Avatar utente

Iscritto il: 06/02/2009, 8:59
Messaggi: 305
Località: Sassari
Nome: Laura Loru
Consultando la FdF leggo a proposito delle antenne dello S. affinis : "articolo III scuro, generalmente più chiaro nella porzione basale, articolo IV scuro". Effettivamente il terzo articolo dell'antenna di destra è più chiaro nella parte basale. Ma mi chiedo se la parte apicale del III antennomero e il IV antennomero del nostro amico sono scuri o neri!
E' il mio solito dilemma :? , di sicuro amplificato dalla foto......
Osservando sempre nella FdF i disegni delle antenne di 10 specie di Scolopostethus è proprio evidente la differenza tra antennomeri scuri e neri.
Infine la FdF lo dà come brachittero, raramente macrottero, ma questo non vuol dire niente!
Caro clido, le mie sono solo osservazioni volte ad imparare..........la strada è lunga e piena di tranelli :devil: !
VOGLIO UN ESPERTO!!!!! :cry:
Ciao Laura

P.S. pensa se non fosse neanche uno Scolopostethus sp :gun:. Di certo imparerò la lezione!!!
Comunque vada mi sono divertita :hp:


Top
profilo
 Oggetto del messaggio: Re: Heterottero annnegato
MessaggioInviato: 12/03/2009, 16:32 
Avatar utente

Iscritto il: 06/02/2009, 9:15
Messaggi: 1468
Località: Vigevano PV
Nome: Danilo Mario Piccolino
Ranatra ha scritto:
P.S. pensa se non fosse neanche uno Scolopostethus sp :gun:. Di certo imparerò la lezione!!!
Comunque vada mi sono divertita :hp:


Stesso mio dubbio e stato d'animo ;)

Anche la mia identificazione non possedendo la FdF si è basata solo sulla colorazione e le dimensioni indicate da Loris....un pò troppo poco....a dire il vero ho consultato le tabelle di Tamanini apparse sulle Memorie della SEI ma :roll:

P.S. un saluto a Laura

:hi:

_________________
Danilo


Top
profilo
 Oggetto del messaggio: Re: Heterottero annnegato
MessaggioInviato: 13/03/2009, 3:37 
Avatar utente

Iscritto il: 05/02/2009, 17:34
Messaggi: 894
Località: Sondrio - Lombardia - Italia
Nome: Paride Dioli
Chi dice Scolopostethus ha ragione.
Un'idea ce l'ho sulla specie, però, per maggior sicurezza, chiedo se il mesosterno di questo esemplare è provvisto di due denti o uncini o se, piuttosto, esso è liscio. Tale particolare divide il genere in due gruppi.
Grazie.

_________________
Link: https://www.ndsu.edu/pubweb/~rider/Pentatomoidea/Researchers/Dioli_Paride.htm
Papers in PDF format: https://www.researchgate.net/profile/Paride_Dioli/?ev=hdr_xprf/


Top
profilo
MessaggioInviato: 13/03/2009, 10:13 
Avatar utente

Iscritto il: 06/02/2009, 8:59
Messaggi: 305
Località: Sassari
Nome: Laura Loru
Allora, continuo a ragionarci :roll: .
Sopportatemi, anche questo è per me un modo per imparare!
Sulla base di quanto dice Paride
Dioli ha scritto:
Un'idea ce l'ho sulla specie, però, per maggior sicurezza, chiedo se il mesosterno di questo esemplare è provvisto di due denti o uncini o se, piuttosto, esso è liscio. Tale particolare divide il genere in due gruppi.
Grazie.

se i due uncini sono presenti le alternative sono:
S. grandis che ha il II antennomero giallo-rossastro e scuro nella porzione apicale e i due successivi scuri. Guardando la foto lo escluderei :D e
S. affinis che ha il II antennomero completamente giallo-rossastro, l' articolo III scuro, generalmente più chiaro nella porzione basale e l'articolo IV scuro. Mi sembra che faccia al nostro caso :lol:!
se i due uncini sono assenti la scelta è più ampia:
escluderei S. thomsoni che ha III e IV antennomero neri e ispessiti e II antennomero nero nella porzione apicale
ed escluderei S. cognatus oltre che per il fatto che le antenne sono completamente diverse anche perchè è l'unico Scolopostethus che ho nella mia, al momento piccola, collection e perciò spero bene di aver imparato a determinarlo. A tal punto rimangono ben altre 5 possibili specie. Che fatica! Mi arrendo!
Ciao Laura


Top
profilo
 Oggetto del messaggio: Re: Heterottero annnegato
MessaggioInviato: 13/03/2009, 11:47 
Amministratore
Avatar utente

Iscritto il: 06/02/2009, 9:16
Messaggi: 6919
Località: Portici (Napoli)
Nome: Claudio Labriola
Dioli ha scritto:
Chi dice Scolopostethus ha ragione.
Un'idea ce l'ho sulla specie, però, per maggior sicurezza, chiedo se il mesosterno di questo esemplare è provvisto di due denti o uncini o se, piuttosto, esso è liscio. Tale particolare divide il genere in due gruppi.
Grazie.


Ranatra ha scritto:
... Che fatica! Mi arrendo!
Ciao Laura



Non ci resta che aspettare la risposta di Loris che ci dice com'è il mesosterno ;)

_________________
Immagine Claudio Labriola
Buona Vita!!!!


Top
profilo
MessaggioInviato: 13/03/2009, 22:07 
Avatar utente

Iscritto il: 05/02/2009, 17:25
Messaggi: 4894
Località: Zola Predosa (BO)
Nome: Loris Colacurcio
Scusate il mio silenzio, ma sono un po' distratto da altri impegni.

Per ora non ho la possibilità di integrare con nuove imagini, ma sono comunque riuscito a scollare la bestiola (ed una zampina opplà se ne è andata :x ma l'ho ritrovata, quindi poco male) ed ho quindi osservato il ventre dell'heterottero.

Se ho capito bene cosa guardare,vi anticpo che ha il mesosterno liscio...non ho visto alcuna spina, collinetta, granulo o altra appendice che possa darmi qualche incertezza.
Ho anche ripreso la lunghezza ed è quasi certamente 0,47 mm.

Questo può servire per continuare la (dotta ed interessante) discussione ??

Saluti, Loris

_________________
Loris


Top
profilo
MessaggioInviato: 19/03/2009, 21:43 
Avatar utente

Iscritto il: 05/02/2009, 17:36
Messaggi: 780
Nome: Attilio Carapezza
La lunghezza del secondo articolo delle antenne, pari alla larghezza del capo, indica che si tratta di uno Scolopostethus pictus (Schilling, 1829), a cui corrisponde esattamente il disegno dorsale. In questa specie gli articoli delle antenne sono generalmente tutti chiari, ma questo esemplare intensamente pigmentato appartiene alla f. antennalis, in cui i due articoli terminali sono iscuriti.


Top
profilo
MessaggioInviato: 19/03/2009, 21:49 
Avatar utente

Iscritto il: 05/02/2009, 17:25
Messaggi: 4894
Località: Zola Predosa (BO)
Nome: Loris Colacurcio
Ormai è inflazionato ma...grazie ancora !

Loris

_________________
Loris


Top
profilo
Visualizza ultimi messaggi:  Ordina per  
nuovo argomento
rispondi
Pagina 1 di 1 [ 13 messaggi ]

Tutti gli orari sono UTC + 1 ora [ ora legale ]


Chi c’è in linea

Visitano il forum: Nessuno e 2 ospiti


Non puoi aprire nuovi argomenti
Non puoi rispondere negli argomenti
Non puoi modificare i tuoi messaggi
Non puoi cancellare i tuoi messaggi
Non puoi inviare allegati

Cerca per:
Vai a: