| Forum Entomologi Italiani http://www.entomologiitaliani.net/public/forum/phpBB3/ |
|
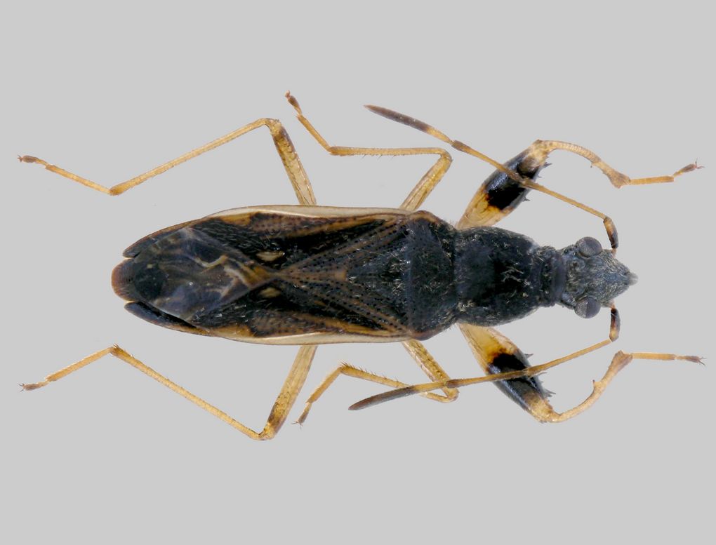
| Paraparomius leptopoides (Baerensprung, 1859) - Lygaeidae http://www.entomologiitaliani.net/public/forum/phpBB3/viewtopic.php?f=93&t=6602 |
Pagina 1 di 1 |
| Autore: | Notoxus59 [ 09/04/2010, 14:01 ] |
| Oggetto del messaggio: | Paraparomius leptopoides (Baerensprung, 1859) - Lygaeidae |
Questa รจ la prima di quest'anno per quanto riguarda le mie parti. ROMAGNA: Bubano, zona Valletta, 3.IV.2010, Leg. A. Degiovanni Lunghezza 6,5 mm |
|
| Autore: | Loriscola [ 09/04/2010, 14:18 ] |
| Oggetto del messaggio: | Re: Cimice |
Ach, battuto sul tempo ....ne ho una identica che dovevo inserire. Sasso Marconi (BO) - Palazzo Rossi, marzo 2010 Sfalciando un bel "prato misto". Attendo anche io il nome di questa bestiola...
|
|
| Autore: | marsal [ 10/04/2010, 23:49 ] |
| Oggetto del messaggio: | Re: Cimice |
Direi che si tratta di bellissimi esemplari di Paraparomius leptopoides (Baerensprung, 1859). Ciao a tutti!
|
|
| Autore: | Dioli [ 03/05/2010, 15:46 ] |
| Oggetto del messaggio: | Re: Cimice |
Senza alcun dubbio! p.s.: un tempo congenere del Paromius gracilis, viene ora distinto attribuendolo ad un altro genere. Si tratta comunque di specie molto vicine tra loro, appartenenti ai Plociomerini. |
|
| Pagina 1 di 1 | Tutti gli orari sono UTC + 1 ora [ ora legale ] |
| Powered by phpBB® Forum Software © phpBB Group http://www.phpbb.com/ |
|