Benvenuto Ospite

Forum Entomologi Italiani

www.entomologiitaliani.net/forum
 
Oggi è 25/12/2025, 10:56

Tutti gli orari sono UTC + 1 ora [ ora legale ]

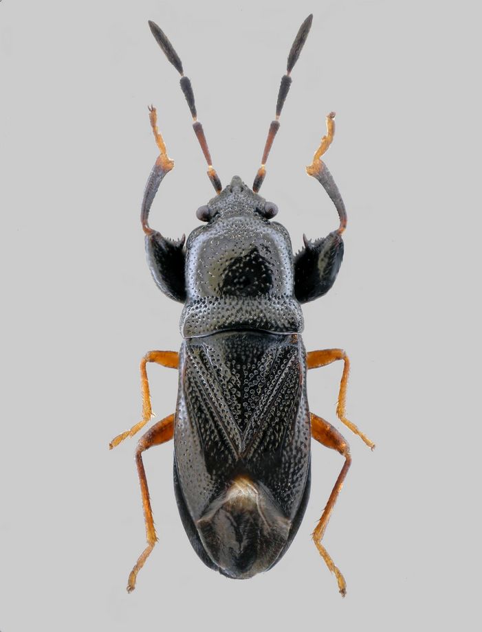
Megalonotus puncticollis (Lucas, 1849) - Lygaeidae

20.III.2010 - ITALIA - Sicilia - PA, Palermo, M.te Pellegrino, 400m., Leg. A. Degiovanni


nuovo argomento
rispondi
Pagina 1 di 1 [ 6 messaggi ]
Autore Messaggio
MessaggioInviato: 18/04/2010, 23:49 
Avatar utente

Iscritto il: 06/02/2009, 9:03
Messaggi: 6374
Località: Bubano di Mordano (Bologna)
Nome: Augusto Degiovanni
Ultima carellata di Heteropteri di Sicilia.

SICILIA: M.te Pellegrino, Palermo, 400m., 20.III.2010, Leg. A. Degiovanni

Lunghezza: 4,2 mm

Non mi sembra uguale a quello postato prima, o mi sbaglio :?

tn_4,2.jpg


_________________
CIAO :hi: Augusto Degiovanni

http://anthicidaeecarabidae.altervista.org


Top
profilo
 Oggetto del messaggio: Re: Lygaeidae Plinthisus sp. ?
MessaggioInviato: 19/04/2010, 14:20 
Avatar utente

Iscritto il: 06/02/2009, 8:59
Messaggi: 305
Località: Sassari
Nome: Laura Loru
Ciao Augusto, al momento mi limito a farti alcune domande/osservazioni che valgono anche per questo esemplare viewtopic.php?f=11&t=6831:
1) sono curiosa di sapere se c'è qualche caratteristica in particolare che ti ha fatto pensare al genere Plinthisus
2) Dove l'hai raccolto? I Plinthisus li puoi trovare solo nella lettiera!
3) Dalle foto non vedo sugli occhi la lunga setola che caratterizza questo genere.
4) Questo genere comprende specie di dimensioni non superiori ai 4,5 mm
Nel frattempo, se riesco a trovare il tempo :cry: , provo a riordinare le idee, sono un pò arrugginita :lol1:
Ciao Laura

P.S. x Augusto un consiglio, non fare due post con lo stesso titolo, ho aperto mille volte lo stesso pensando che fosse l'altro :? :)
P.S. x gli eterotterologi, se vedendolo lo riconoscete al volo :lol: non esitate a determinarlo, non sono sicura di trovare il tempo per provarci io :cry: !


Top
profilo
 Oggetto del messaggio: Re: Lygaeidae Plinthisus sp. ?
MessaggioInviato: 19/04/2010, 19:17 
Avatar utente

Iscritto il: 06/02/2009, 9:03
Messaggi: 6374
Località: Bubano di Mordano (Bologna)
Nome: Augusto Degiovanni
Ciao Laura,
ti rispondo in serie:

1) allora, quello che mi ha fatto propendere per dire Plinthisus era la forma (tieni presente che non c'azzecco nulla al di fuori dei miei campi, per cui ho provato a dire qualcosa :oops: ....), di alcune specie postate molto vicine come habitus.

2)Infatti, provengono da una vagliatura superficiale.

3) sul capo a livello di metà occhio vi è una setola (di lato all'occhio) abbastanza lunga.

4) quello misurato 5mm in realtà è 4,75 mm

Hai perfettamente ragione Laura, anche a mè è capitata la stessa cosa :( , avrò aperto decine di volte la stessa pagina, ma quando ho postato le foto, poco dopo sono dovuto uscire per cui non ho potuto rimediare all'inconveniente :oops: , ora se i gli amministratori potessero mettere un 1 e un 2 alle discussioni sarebbe cosa gradita.

Poi se ti interessano gli esemplari te li faccio avere tramite Roberto :ok:

_________________
CIAO :hi: Augusto Degiovanni

http://anthicidaeecarabidae.altervista.org


Top
profilo
 Oggetto del messaggio: Re: Lygaeidae Plinthisus sp. ? - 2
MessaggioInviato: 19/04/2010, 23:23 
Avatar utente

Iscritto il: 05/02/2009, 17:36
Messaggi: 780
Nome: Attilio Carapezza
Ha ragione Laura a non riconoscere le caratteristiche dei Plinthisus perché siamo in un altro genere: Megalonotus puncticollis (Lucas, 1849).


Top
profilo
MessaggioInviato: 20/04/2010, 20:28 
Avatar utente

Iscritto il: 06/02/2009, 9:03
Messaggi: 6374
Località: Bubano di Mordano (Bologna)
Nome: Augusto Degiovanni
Di nuovo un Grazie Attilio :ok:

_________________
CIAO :hi: Augusto Degiovanni

http://anthicidaeecarabidae.altervista.org


Top
profilo
MessaggioInviato: 21/04/2010, 10:55 
Avatar utente

Iscritto il: 06/02/2009, 8:59
Messaggi: 305
Località: Sassari
Nome: Laura Loru
Notoxus59 ha scritto:
Poi se ti interessano gli esemplari te li faccio avere tramite Roberto :ok:


Augusto :lov1: Laura

Ciao


Top
profilo
Visualizza ultimi messaggi:  Ordina per  
nuovo argomento
rispondi
Pagina 1 di 1 [ 6 messaggi ]

Tutti gli orari sono UTC + 1 ora [ ora legale ]


Chi c’è in linea

Visitano il forum: Nessuno e 1 ospite


Non puoi aprire nuovi argomenti
Non puoi rispondere negli argomenti
Non puoi modificare i tuoi messaggi
Non puoi cancellare i tuoi messaggi
Non puoi inviare allegati

Cerca per:
Vai a:  
cron