Benvenuto Ospite

Forum Entomologi Italiani

www.entomologiitaliani.net/forum
 
Oggi è 25/12/2025, 10:57

Tutti gli orari sono UTC + 1 ora [ ora legale ]

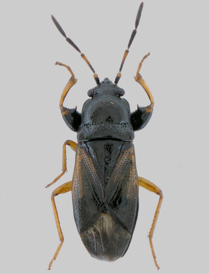
Megalonotus praetextatus (Herrich-Schaeffer, 1835) - Lygaeidae

20.III.2010 - ITALIA - Sicilia - PA, Palermo, M.te Pellegrino, 400m., Leg. A. Degiovanni


nuovo argomento
rispondi
Pagina 1 di 1 [ 4 messaggi ]
Autore Messaggio
MessaggioInviato: 18/04/2010, 23:47 
Avatar utente

Iscritto il: 06/02/2009, 9:03
Messaggi: 6374
Località: Bubano di Mordano (Bologna)
Nome: Augusto Degiovanni
Ultima carellata di Heteropteri di Sicilia.

SICILIA: M.te Pellegrino, Palermo, 400m., 20.III.2010, Leg. A. Degiovanni

Lunghezza: 5mm

tn_5.jpg


_________________
CIAO :hi: Augusto Degiovanni

http://anthicidaeecarabidae.altervista.org


Top
profilo
 Oggetto del messaggio: Re: Lygaeidae Plinthisus sp. ?
MessaggioInviato: 19/04/2010, 14:22 
Avatar utente

Iscritto il: 06/02/2009, 8:59
Messaggi: 305
Località: Sassari
Nome: Laura Loru
Vedi la risposta che ho dato quà: viewtopic.php?f=11&t=6832&p=37736#p37736

Ciao Laura


Top
profilo
 Oggetto del messaggio: Re: Lygaeidae Plinthisus sp. ? - 1
MessaggioInviato: 19/04/2010, 23:25 
Avatar utente

Iscritto il: 05/02/2009, 17:36
Messaggi: 780
Nome: Attilio Carapezza
Anche questo è un Megalonotus: M. praetextatus (Herrich-Schaeffer, 1835).


Top
profilo
MessaggioInviato: 20/04/2010, 20:27 
Avatar utente

Iscritto il: 06/02/2009, 9:03
Messaggi: 6374
Località: Bubano di Mordano (Bologna)
Nome: Augusto Degiovanni
Grazie Attilio :ok:

_________________
CIAO :hi: Augusto Degiovanni

http://anthicidaeecarabidae.altervista.org


Top
profilo
Visualizza ultimi messaggi:  Ordina per  
nuovo argomento
rispondi
Pagina 1 di 1 [ 4 messaggi ]

Tutti gli orari sono UTC + 1 ora [ ora legale ]


Chi c’è in linea

Visitano il forum: Nessuno e 2 ospiti


Non puoi aprire nuovi argomenti
Non puoi rispondere negli argomenti
Non puoi modificare i tuoi messaggi
Non puoi cancellare i tuoi messaggi
Non puoi inviare allegati

Cerca per:
Vai a:  
cron