Benvenuto Ospite

Forum Entomologi Italiani

www.entomologiitaliani.net/forum
 
Oggi è 26/10/2025, 15:20

Tutti gli orari sono UTC + 1 ora [ ora legale ]

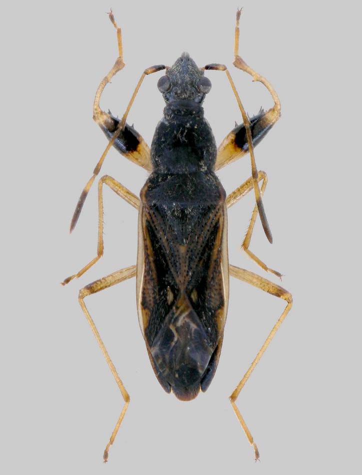
Paraparomius leptopoides (Baerensprung, 1859) - Lygaeidae

3.IV.2010 - ITALIA - Emilia-Romagna - BO, Bubano, zona Valletta - Leg. A. Degiovanni


nuovo argomento
rispondi
Pagina 1 di 1 [ 4 messaggi ]
Autore Messaggio
MessaggioInviato: 09/04/2010, 14:01 
Avatar utente

Iscritto il: 06/02/2009, 9:03
Messaggi: 6370
Località: Bubano di Mordano (Bologna)
Nome: Augusto Degiovanni
Questa è la prima di quest'anno per quanto riguarda le mie parti.

ROMAGNA: Bubano, zona Valletta, 3.IV.2010, Leg. A. Degiovanni

Lunghezza 6,5 mm

1.jpg



2.jpg


_________________
CIAO :hi: Augusto Degiovanni

http://anthicidaeecarabidae.altervista.org


Top
profilo
 Oggetto del messaggio: Re: Cimice
MessaggioInviato: 09/04/2010, 14:18 
Avatar utente

Iscritto il: 05/02/2009, 17:25
Messaggi: 4894
Località: Zola Predosa (BO)
Nome: Loris Colacurcio
Ach, battuto sul tempo :lol1: ....ne ho una identica che dovevo inserire.

Sasso Marconi (BO) - Palazzo Rossi, marzo 2010
Sfalciando un bel "prato misto".
Attendo anche io il nome di questa bestiola...
Heterott 02 7mm.JPG



:hi:

_________________
Loris


Top
profilo
 Oggetto del messaggio: Re: Cimice
MessaggioInviato: 10/04/2010, 23:49 
Avatar utente

Iscritto il: 31/12/2009, 1:47
Messaggi: 902
Località: Bellano (LC)
Nome: Martino Salvetti
Direi che si tratta di bellissimi esemplari di Paraparomius leptopoides (Baerensprung, 1859).
Ciao a tutti! :birra:


Top
profilo
 Oggetto del messaggio: Re: Cimice
MessaggioInviato: 03/05/2010, 15:46 
Avatar utente

Iscritto il: 05/02/2009, 17:34
Messaggi: 894
Località: Sondrio - Lombardia - Italia
Nome: Paride Dioli
Senza alcun dubbio! :ok:


p.s.: un tempo congenere del Paromius gracilis, viene ora distinto attribuendolo ad un altro genere. Si tratta comunque di specie molto vicine tra loro, appartenenti ai Plociomerini.

_________________
Link: https://www.ndsu.edu/pubweb/~rider/Pentatomoidea/Researchers/Dioli_Paride.htm
Papers in PDF format: https://www.researchgate.net/profile/Paride_Dioli/?ev=hdr_xprf/


Top
profilo
Visualizza ultimi messaggi:  Ordina per  
nuovo argomento
rispondi
Pagina 1 di 1 [ 4 messaggi ]

Tutti gli orari sono UTC + 1 ora [ ora legale ]


Chi c’è in linea

Visitano il forum: Nessuno e 1 ospite


Non puoi aprire nuovi argomenti
Non puoi rispondere negli argomenti
Non puoi modificare i tuoi messaggi
Non puoi cancellare i tuoi messaggi
Non puoi inviare allegati

Cerca per:
Vai a: