Benvenuto Ospite

Forum Entomologi Italiani

www.entomologiitaliani.net/forum
 
Oggi è 06/11/2025, 20:06

Tutti gli orari sono UTC + 1 ora [ ora legale ]

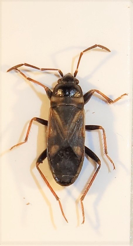
Rhyparochromus alboacuminatus f. funerea - Rhyparochromidae (su Faunaeur: Raglius alboacuminatus (Goeze, 1778) - Lygaeidae)

6.X.2017 - SPAGNA - EE, Canarie - El Hierro - Meseta de Nisdafe m 1000


nuovo argomento
rispondi
Pagina 1 di 1 [ 2 messaggi ]
Autore Messaggio
MessaggioInviato: 22/10/2017, 17:45 
Avatar utente

Iscritto il: 23/06/2010, 11:11
Messaggi: 2784
Località: Cagliari
Nome: Gianpaolo Ruzzante
mm 6 :hi:


Lygaeidae.JPG

Top
profilo
 Oggetto del messaggio: Re: Lygaeidae
MessaggioInviato: 10/11/2017, 11:28 
Avatar utente

Iscritto il: 05/02/2009, 17:36
Messaggi: 780
Nome: Attilio Carapezza
La foto del Lygaeidae (oggi, più correttamente, Rhyparochromidae, dopo lo smembramento della famiglia Lygaeidae) mi aveva molto incuriosito perché non riuscivo a ricondurla a nessuna delle specie note. Pur avendo una buona conoscenza della eterotterofauna delle Canarie, vagheggiavo un nuovo, sconosciuto endemismo della remota isola di Hierro. Ho chiesto all'amico Gianpaolo di potere esaminare l'esemplare e grazie alla sua squisita cortesia l'ho ricevuto dopo pochi giorni. Mi è bastata un'occhiata sotto il microscopio a capire che l'esemplare era coperto da uno strato di grasso giallastro che ne alterava completamente la colorazione. Sono bastate 24 ore di immersione in un diluente a fargli riassumere il suo aspetto naturale e a rendere riconoscibile la specie di appartenenza, Rhyparochromus alboacuminatus f. funerea, noto per alcune delle isole Canarie, ma non per Hierro. Ed ecco una foto delo stesso esemplare dopo il trattamento.


Rhyparochromus alboacuminatus f. funerea Hierro ACPI copia.jpg

Top
profilo
Visualizza ultimi messaggi:  Ordina per  
nuovo argomento
rispondi
Pagina 1 di 1 [ 2 messaggi ]

Tutti gli orari sono UTC + 1 ora [ ora legale ]


Chi c’è in linea

Visitano il forum: Nessuno e 1 ospite


Non puoi aprire nuovi argomenti
Non puoi rispondere negli argomenti
Non puoi modificare i tuoi messaggi
Non puoi cancellare i tuoi messaggi
Non puoi inviare allegati

Cerca per:
Vai a: