| Forum Entomologi Italiani http://www.entomologiitaliani.net/public/forum/phpBB3/ |
|
| Kleidocerys ericae (Horváth, 1908) (cf.) - Lygaeidae http://www.entomologiitaliani.net/public/forum/phpBB3/viewtopic.php?f=93&t=87551 |
Pagina 1 di 1 |
| Autore: | ruzzpa [ 17/11/2019, 19:34 ] | ||
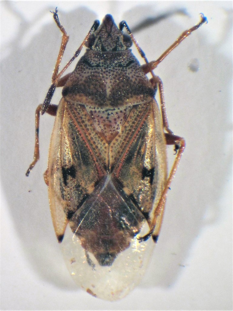
| Oggetto del messaggio: | Kleidocerys ericae (Horváth, 1908) (cf.) - Lygaeidae | ||
mm 3.5
|
|||
| Autore: | marsal [ 18/11/2019, 0:06 ] |
| Oggetto del messaggio: | Re: Eterottero |
E' sicuramente un Kleydoceris, ma è difficile dire quale. Potrebbe essere il truncatulus, che c'è alle Canarie e Madeira, altrimenti le due specie che ci sono anche sul continente europeo sono K. resedae, presente su diverse piante, e l'ericae, su Erica arborea. Ma qualcuno pensa che si tratti della stessa specie con differenziazioni morfologiche (l'ericae è più piccolo) dovute all'adattamento alla specie ospite. Su che pianta l'hai raccolto? Averne uno da vedere de visu sarebbe meglio
|
|
| Autore: | ruzzpa [ 18/11/2019, 11:14 ] |
| Oggetto del messaggio: | Re: Eterottero |
marsal ha scritto: E' sicuramente un Kleydoceris, ma è difficile dire quale. Potrebbe essere il truncatulus, che c'è alle Canarie e Madeira, altrimenti le due specie che ci sono anche sul continente europeo sono K. resedae, presente su diverse piante, e l'ericae, su Erica arborea. Ma qualcuno pensa che si tratti della stessa specie con differenziazioni morfologiche (l'ericae è più piccolo) dovute all'adattamento alla specie ospite. Su che pianta l'hai raccolto? Averne uno da vedere de visu sarebbe meglio ![]() Grazie Martino, alle Azzorre viene dato presente solamente il Kleidocerys ericae (Horváth, 1908) ma non si sa mai... La raccolta per entrambi gli exx è avvenuta fortuitamente, su muretti; l'erica in tutti i casi è presente su tutta l'isola. I due exx hanno anche allo stereo colorazione molto differenti, ma potrai vederlo personalmente (contattami per MP) Saluti Gianpaolo |
|
| Pagina 1 di 1 | Tutti gli orari sono UTC + 1 ora [ ora legale ] |
| Powered by phpBB® Forum Software © phpBB Group http://www.phpbb.com/ |
|