| Forum Entomologi Italiani http://www.entomologiitaliani.net/public/forum/phpBB3/ |
|
| Piezodorus lituratus (Fabricius, 1794) http://www.entomologiitaliani.net/public/forum/phpBB3/viewtopic.php?f=94&t=3708 |
Pagina 1 di 1 |
| Autore: | Notoxus59 [ 15/11/2009, 14:47 ] |
| Oggetto del messaggio: | Piezodorus lituratus (Fabricius, 1794) |
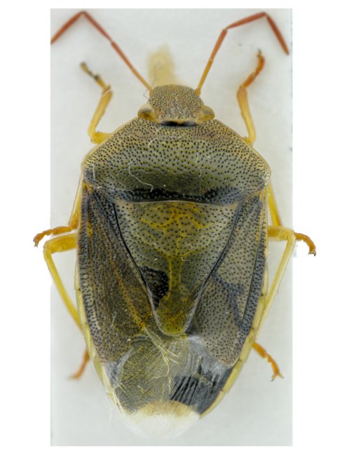
Da determinare Grazie Sicilia: (PA) Piana Albanesi, 18.III.2008 12mm |
|
| Autore: | Mauro [ 15/11/2009, 15:20 ] |
| Oggetto del messaggio: | Re: Cimice 2 |
Famiglia Pentatomidae. Come specie potrebbe essere Piezodorus lituratus (Fabricius, 1794), ma meglio aspettare conferma da qualcuno più esperto. |
|
| Autore: | Notoxus59 [ 15/11/2009, 15:30 ] |
| Oggetto del messaggio: | Re: Cimice 2 |
Anche quì sono andato a cercare e gli somiglia molto grazie
|
|
| Autore: | eremicus [ 18/11/2009, 20:54 ] |
| Oggetto del messaggio: | Re: Cimice 2 |
Si tratta proprio di Piezodorus lituratus (Fabricius, 1794), uno dei più comuni Pentatomidi italiani; questa è la forma integralmente verde (alliacea), meno frequente della forma tipica, in cui le emielitre hanno una colorazione rosa-rosso più o meno intenso. |
|
| Autore: | Notoxus59 [ 19/11/2009, 16:26 ] |
| Oggetto del messaggio: | Re: Piezodorus lituratus (Fabricius, 1794) |
Grazie per la confrema Attilio
|
|
| Pagina 1 di 1 | Tutti gli orari sono UTC + 1 ora [ ora legale ] |
| Powered by phpBB® Forum Software © phpBB Group http://www.phpbb.com/ |
|