Benvenuto Ospite

Forum Entomologi Italiani

www.entomologiitaliani.net/forum
 
Oggi è 29/10/2025, 0:22

Tutti gli orari sono UTC + 1 ora [ ora legale ]

Stenodema (Brachystira) calcarata (Fallén 1807) Miridae



nuovo argomento
rispondi
Pagina 1 di 1 [ 11 messaggi ]
Autore Messaggio
MessaggioInviato: 29/03/2009, 16:28 
Avatar utente

Iscritto il: 05/02/2009, 17:25
Messaggi: 4894
Località: Zola Predosa (BO)
Nome: Loris Colacurcio
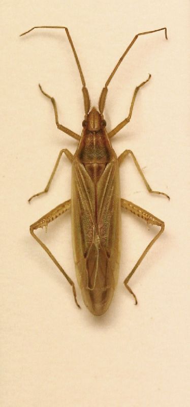
Sasso Marconi (BO) - 22.III.2009

Lunghezza approx. 1 cm o poco più...Raccolto a sfalcio su graminacee.

Loris
Heterottero 02.JPG


_________________
Loris


Top
profilo
 Oggetto del messaggio: Re: Heterottero sfalcio 02
MessaggioInviato: 29/03/2009, 17:18 
Avatar utente

Iscritto il: 06/02/2009, 9:15
Messaggi: 1468
Località: Vigevano PV
Nome: Danilo Mario Piccolino
;) Faccio sempre un pò di casino con i Miridi ma mi sembra uno Stenodema sp. aspettiamo per cui altri contributi anche di Ranatra e la conferma da parte di Paride o Attilio.

:hi:

P.S. naturalmente anche altri possono dire la loro....gli eterotterologi non formano un club esclusivo :gh:

_________________
Danilo


Top
profilo
 Oggetto del messaggio: Re: Heterottero sfalcio 02
MessaggioInviato: 30/03/2009, 21:54 
Avatar utente

Iscritto il: 05/02/2009, 17:34
Messaggi: 894
Località: Sondrio - Lombardia - Italia
Nome: Paride Dioli
E' uno dei due Stenodema con le spine sui femori posteriori 8-)

_________________
Link: https://www.ndsu.edu/pubweb/~rider/Pentatomoidea/Researchers/Dioli_Paride.htm
Papers in PDF format: https://www.researchgate.net/profile/Paride_Dioli/?ev=hdr_xprf/


Top
profilo
 Oggetto del messaggio: Re: Heterottero sfalcio 02
MessaggioInviato: 31/03/2009, 10:31 
Avatar utente

Iscritto il: 06/02/2009, 8:59
Messaggi: 305
Località: Sassari
Nome: Laura Loru
halobates ha scritto:
Faccio sempre un pò di casino con i Miridi ma mi sembra uno Stenodema sp. aspettiamo per cui altri contributi anche di Ranatra e la conferma da parte di Paride o Attilio.:gh:


E qui viene il bello caro Halobates :lol1: hai toccato il mio punto dolente :devil: come faccio a dire a tutta la comunità del Forum che tra me e questa famigliuola il feeling è nullo? O è forse meglio parlare di avversione? Mi sento un pò in colpa......:oops:
Il fatto è che quando apro il Wagner e Weber mi perdo quasi sempre già dalla prima pagina, quando devo districarmi tra unghie, aroli e pseudoaroli :cry:
Mi sà che quando si tratta di Miridi resterò a guardare, a meno che qualcuno (uno a caso Eremicus....... :D ) non riesca a farmeli amare! Non sarebbe male visto che me li ritrovo dappertutto :cry:

Ciao LAURA


Top
profilo
 Oggetto del messaggio: Re: Heterottero sfalcio 02
MessaggioInviato: 31/03/2009, 11:23 
Avatar utente

Iscritto il: 05/02/2009, 17:25
Messaggi: 4894
Località: Zola Predosa (BO)
Nome: Loris Colacurcio
Con i suggerimenti giusti, mi espongo con:

Stenodema calcarata :roll: (livrea invernale)

It's possible ?? Beh, almeno ci ho provato... :gh:

Si può vedere anche qui:
micropics.org.uk/.../stenodema%20calcaratum.jpg

Loris

_________________
Loris


Top
profilo
 Oggetto del messaggio: Re: Heterottero sfalcio 02
MessaggioInviato: 31/03/2009, 14:16 
Avatar utente

Iscritto il: 05/02/2009, 17:34
Messaggi: 894
Località: Sondrio - Lombardia - Italia
Nome: Paride Dioli
ok, va bene così :)

_________________
Link: https://www.ndsu.edu/pubweb/~rider/Pentatomoidea/Researchers/Dioli_Paride.htm
Papers in PDF format: https://www.researchgate.net/profile/Paride_Dioli/?ev=hdr_xprf/


Top
profilo
MessaggioInviato: 10/04/2009, 23:47 
Amministratore
Avatar utente

Iscritto il: 02/02/2009, 23:30
Messaggi: 7102
Località: Capaci (Pa)
Nome: Marcello Romano
Fatto ;)

_________________
:hi: Marcello Romano


Top
profilo
MessaggioInviato: 19/08/2009, 9:54 
Avatar utente

Iscritto il: 04/02/2009, 17:49
Messaggi: 5509
Località: Cagliari
Nome: Daniele Sechi
Sardegna (NU) Siniscola Capo Comino 12 luglio 2009
Sulla costa rocciosa, su graminacee e ciperacee.


IMG_1512.jpg


_________________
:hi:
Daniele
Top
profilo
 Oggetto del messaggio: Re: Stenodema sp.?
MessaggioInviato: 22/08/2009, 13:24 
Avatar utente

Iscritto il: 05/02/2009, 17:36
Messaggi: 780
Nome: Attilio Carapezza
Stenodema calcaratum (Fallén, 1807), specie comunissima in un ampio areale che dalla regione euromediterranea si estende sino al Turkestan.


Top
profilo
 Oggetto del messaggio: Re: Stenodema sp.?
MessaggioInviato: 22/08/2009, 14:59 
Amministratore
Avatar utente

Iscritto il: 02/02/2009, 23:30
Messaggi: 7102
Località: Capaci (Pa)
Nome: Marcello Romano
Ciao Attilio :)
Ho un dubbio: Stenodema calcaratum o calcarata ?
Se è giusto il primo, allora mi chiedo:
Eurydema ornata o ornatum ?

_________________
:hi: Marcello Romano


Top
profilo
 Oggetto del messaggio: Re: Stenodema sp.?
MessaggioInviato: 22/08/2009, 18:06 
Avatar utente

Iscritto il: 05/02/2009, 17:36
Messaggi: 780
Nome: Attilio Carapezza
Marcello, hai sollevato un giusto dubbio: avrei dovuto scrivere Stenodema calcarata (Fallén, 1807).


Top
profilo
Visualizza ultimi messaggi:  Ordina per  
nuovo argomento
rispondi
Pagina 1 di 1 [ 11 messaggi ]

Tutti gli orari sono UTC + 1 ora [ ora legale ]


Chi c’è in linea

Visitano il forum: Nessuno e 1 ospite


Non puoi aprire nuovi argomenti
Non puoi rispondere negli argomenti
Non puoi modificare i tuoi messaggi
Non puoi cancellare i tuoi messaggi
Non puoi inviare allegati

Cerca per:
Vai a: