Forum Entomologi Italiani
http://www.entomologiitaliani.net/public/forum/phpBB3/

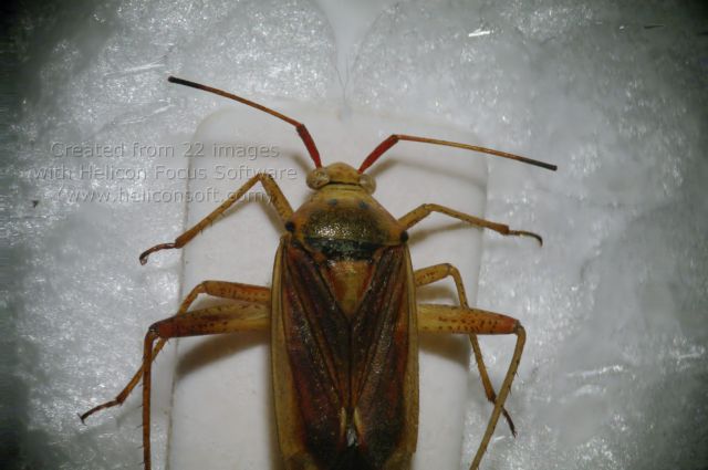
Closterotomus trivialis (A. Costa, 1853) - Miridae
http://www.entomologiitaliani.net/public/forum/phpBB3/viewtopic.php?f=95&t=89003
Pagina 1 di 1

Autore:  Adriana49 [ 02/04/2020, 19:41 ]
Oggetto del messaggio:  Closterotomus trivialis (A. Costa, 1853) - Miridae

Salve! Misura 7 mm. :roll: :roll: :roll: Ombrellando su vegetazione ripariale

Allegati:
z1.jpg

z3.jpg

z2.jpg


Autore:  Baris99 [ 02/04/2020, 19:54 ]
Oggetto del messaggio:  Re: Determinazione Hemiptera

Miridae: Closterotomus trivialis

Autore:  Adriana49 [ 03/04/2020, 10:26 ]
Oggetto del messaggio:  Re: Determinazione Hemiptera

Grazie!!! :hp: Buona giornata! :hi: :hi: :hi:

Pagina 1 di 1 Tutti gli orari sono UTC + 1 ora [ ora legale ]
Powered by phpBB® Forum Software © phpBB Group
http://www.phpbb.com/