Benvenuto Ospite

Forum Entomologi Italiani

www.entomologiitaliani.net/forum
 
Oggi è 09/10/2025, 22:45

Tutti gli orari sono UTC + 1 ora [ ora legale ]

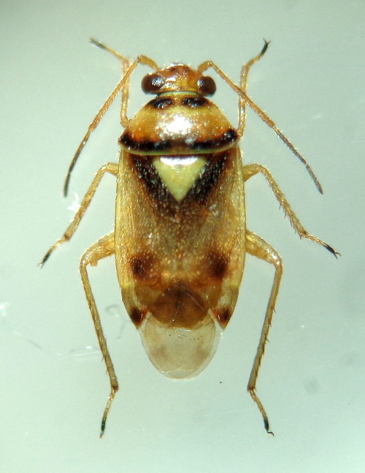
Orthops (Orthops) kalmii (Linnaeus, 1758) (cf.) - Miridae

29.VI.2019 - ITALIA - Sicilia - TP, Foce del f. Belìce


nuovo argomento
rispondi
Pagina 1 di 1 [ 5 messaggi ]
Autore Messaggio
MessaggioInviato: 30/12/2020, 21:05 
 

Iscritto il: 08/12/2013, 1:52
Messaggi: 7496
Località: Bagnacavallo (RA)
Nome: Giorgio Pezzi
solo il corpo mm 3,5. Inferiormente uniformemente giallo. Grazie e buona fine d'anno! :hol
:hi:
DSC05072.JPG



Top
profilo
 Oggetto del messaggio: Re: Miridae da ID
MessaggioInviato: 31/12/2020, 20:58 
 

Iscritto il: 08/12/2013, 1:52
Messaggi: 7496
Località: Bagnacavallo (RA)
Nome: Giorgio Pezzi
Dovrebbe essere un Lygus ma se sì, ora viene il difficile...per me. :hi:


Top
profilo
 Oggetto del messaggio: Re: Miridae da ID
MessaggioInviato: 09/01/2021, 12:01 
Avatar utente

Iscritto il: 21/09/2014, 11:55
Messaggi: 1561
Località: Istanbul Turkey
Nome: Barış
It is Orthops sp., possibly Orthops kalmii.


Top
profilo
 Oggetto del messaggio: Re: Miridae da ID
MessaggioInviato: 10/01/2021, 20:44 
 

Iscritto il: 08/12/2013, 1:52
Messaggi: 7496
Località: Bagnacavallo (RA)
Nome: Giorgio Pezzi
Thank you Baris!
:hi:


Top
profilo
MessaggioInviato: 31/01/2021, 19:45 
 

Iscritto il: 08/12/2013, 1:52
Messaggi: 7496
Località: Bagnacavallo (RA)
Nome: Giorgio Pezzi
In un contatto privato con marsal per altre cose, mi è stata confermata l'ID di Baris, quindi penso opportuno togliere il cf. :hi:


Top
profilo
Visualizza ultimi messaggi:  Ordina per  
nuovo argomento
rispondi
Pagina 1 di 1 [ 5 messaggi ]

Tutti gli orari sono UTC + 1 ora [ ora legale ]


Chi c’è in linea

Visitano il forum: Nessuno e 1 ospite


Non puoi aprire nuovi argomenti
Non puoi rispondere negli argomenti
Non puoi modificare i tuoi messaggi
Non puoi cancellare i tuoi messaggi
Non puoi inviare allegati

Cerca per:
Vai a: