Benvenuto Ospite

Forum Entomologi Italiani

www.entomologiitaliani.net/forum
 
Oggi è 11/11/2025, 18:32

Tutti gli orari sono UTC + 1 ora [ ora legale ]

Coranus kerzhneri (Putshkov, 1982) (cf.) - Reduviidae

VIII.2011 - ITALIA - Toscana - GR, Gavorrano


nuovo argomento
rispondi
Pagina 1 di 1 [ 5 messaggi ]
Autore Messaggio
MessaggioInviato: 17/12/2011, 13:45 
Avatar utente

Iscritto il: 17/03/2011, 20:16
Messaggi: 47
Località: Pistoia (PT)
Nome: Fabio Bechini
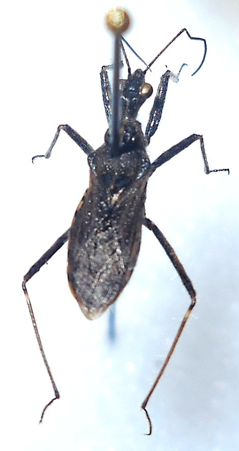
Trovato tra sterpaglie in un oliveto privato in Alta Maremma questa estate (VIII-2011), precisamente in zona Gavorrano. Trovai anche una neanide che non raccolsi sicuramente della stessa specie. Chievo venia per la foto, sicuramente renderà meno facile l'identificazione. Grazie,
Fabio B.


069mod.jpg

Top
profilo
 Oggetto del messaggio: Re: Reduviidae da identificare
MessaggioInviato: 17/12/2011, 16:56 
 

Iscritto il: 10/07/2010, 14:42
Messaggi: 4788
Nome: Giuseppe Pace
Ciao Fabio,
si tratta di un Reduviidae del genere Coranus.
Molto probabilmente si tratta di C. kerzhneri ma non posso escludere C. tuberculifer.

Giuseppe


Top
profilo
 Oggetto del messaggio: Re: Reduviidae da identificare
MessaggioInviato: 17/12/2011, 18:00 
Avatar utente

Iscritto il: 17/03/2011, 20:16
Messaggi: 47
Località: Pistoia (PT)
Nome: Fabio Bechini
Grazie mille per l'identificazione.
Posso domandare come si distinguono le due specie?

Fabio B.


Top
profilo
 Oggetto del messaggio: Re: Reduviidae da identificare
MessaggioInviato: 18/12/2011, 0:28 
Avatar utente

Iscritto il: 28/05/2011, 21:10
Messaggi: 1981
Nome: Umberto Devincenzo
La chiave dovrebbe essere questa per il genere Coranus in Italia:

1. Lobo prossimale ante-oculare del capo più corto del lobo distale, margini del capo, nella parte prossimale di forma convessa ……....… Coranus griseus (Rossi 1790)
-. Lobo prossimale ante-oculare più lungo o uguale a quello distale, margini del capo, nella parte prossimale, diritti o concavi ………………………………………………………….. 2
2. Lobo prossimale del capo lungo come quello distale, scutello e pronoto di colore completamente nero…………………………………………………… Coranus niger (Rambur 1840)
-. Lobo prossimale del capo più lungo di quello distale …………………………………... 3
3. Le emielitre raggiungono il 5° tergite … Coranus subapterus (De Geer 1773) (forma sub-brachittera)
-. Le emielitre superano il 6° tergite e talora sono più lunghe dell’addome stesso … 4
4. Scutello, visto di profilo, con apofisi molto accentuata e più stretta rispetto al corpo dello scutello stesso ……………………….... Coranus tuberculifer Reuter 1881
-. Scutello, visto di profilo, con una apofisi poco marcata ………………………………… 5
5. Scutello, visto di profilo, triangolare ma abbassato, terminante con una punta larga e arrotondata, in genere di colore più chiaro …… Coranus subapterus (De Geer 1773) (forma macrottera)
-. Scutello, visto di profilo, triangolare a forma di cono inclinato all’indietro, a margini pressoché diritti …………………………..... Coranus kerzhneri P.V. Putshkov 1982

_________________
"La compassione e l'empatia per il più piccolo degli animali, è una delle più nobili virtù che un uomo possa ricevere in dono."
Charles Darwin


Top
profilo
 Oggetto del messaggio: Re: Reduviidae da identificare
MessaggioInviato: 18/12/2011, 18:48 
Avatar utente

Iscritto il: 17/03/2011, 20:16
Messaggi: 47
Località: Pistoia (PT)
Nome: Fabio Bechini
Quindi dovrebbe essere a tutti gli effetti un Coranus kerzhneri (Putshkov 1982)?

023mod.jpg



Un grazie anche ad Umberto per la pazienza nello scrivermi la chiave dicotomica (mi sarà assai utile!).

Fabio B.


Top
profilo
Visualizza ultimi messaggi:  Ordina per  
nuovo argomento
rispondi
Pagina 1 di 1 [ 5 messaggi ]

Tutti gli orari sono UTC + 1 ora [ ora legale ]


Chi c’è in linea

Visitano il forum: Nessuno e 2 ospiti


Non puoi aprire nuovi argomenti
Non puoi rispondere negli argomenti
Non puoi modificare i tuoi messaggi
Non puoi cancellare i tuoi messaggi
Non puoi inviare allegati

Cerca per:
Vai a: