Benvenuto Ospite

Forum Entomologi Italiani

www.entomologiitaliani.net/forum
 
Oggi è 23/10/2025, 20:50

Tutti gli orari sono UTC + 1 ora [ ora legale ]

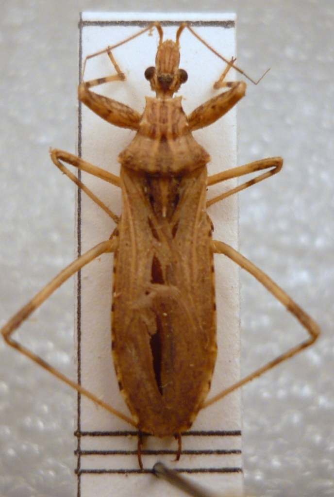
Oncocephalus pilicornis (Reuter, 1882) - Reduviidae

VI.1993 - ITALIA - Marche - PU, Pesaro


nuovo argomento
rispondi
Pagina 1 di 1 [ 3 messaggi ]
Autore Messaggio
MessaggioInviato: 04/01/2010, 13:57 
Avatar utente

Iscritto il: 11/11/2009, 20:54
Messaggi: 4850
Località: Pesaro
Nome: Marco Paglialunga
........sarà mica un Nabidae anche questo????
Pesaro VI-93
16 mm


P1000905..JPG


_________________
O voi ch'avete li 'ntelletti sani, mirate la dottrina che s'asconde sotto 'l velame de li versi strani
(InfeRRno - canto IX - vv. 61-63)
Top
profilo
 Oggetto del messaggio: Re: Nabidae o Reduvidae?
MessaggioInviato: 04/01/2010, 15:37 
Avatar utente

Iscritto il: 06/02/2009, 9:07
Messaggi: 1706
Località: W-Mediterraneo
Nome: Davide Badano
Reduviidae.
Genere Oncocephalus.
Mi pare sia O.pilicornis Reuter.

Attendiamo gli eterotterologi per la conferma!


Top
profilo
MessaggioInviato: 05/01/2010, 21:18 
Avatar utente

Iscritto il: 05/02/2009, 17:36
Messaggi: 780
Nome: Attilio Carapezza
Si può togliere il punto di domanda: è un maschio di Oncocephalus pilicornis (Reuter, 1882).


Top
profilo
Visualizza ultimi messaggi:  Ordina per  
nuovo argomento
rispondi
Pagina 1 di 1 [ 3 messaggi ]

Tutti gli orari sono UTC + 1 ora [ ora legale ]


Chi c’è in linea

Visitano il forum: Nessuno e 2 ospiti


Non puoi aprire nuovi argomenti
Non puoi rispondere negli argomenti
Non puoi modificare i tuoi messaggi
Non puoi cancellare i tuoi messaggi
Non puoi inviare allegati

Cerca per:
Vai a: