Benvenuto Ospite

Forum Entomologi Italiani

www.entomologiitaliani.net/forum
 
Oggi è 11/11/2025, 16:12

Tutti gli orari sono UTC + 1 ora [ ora legale ]

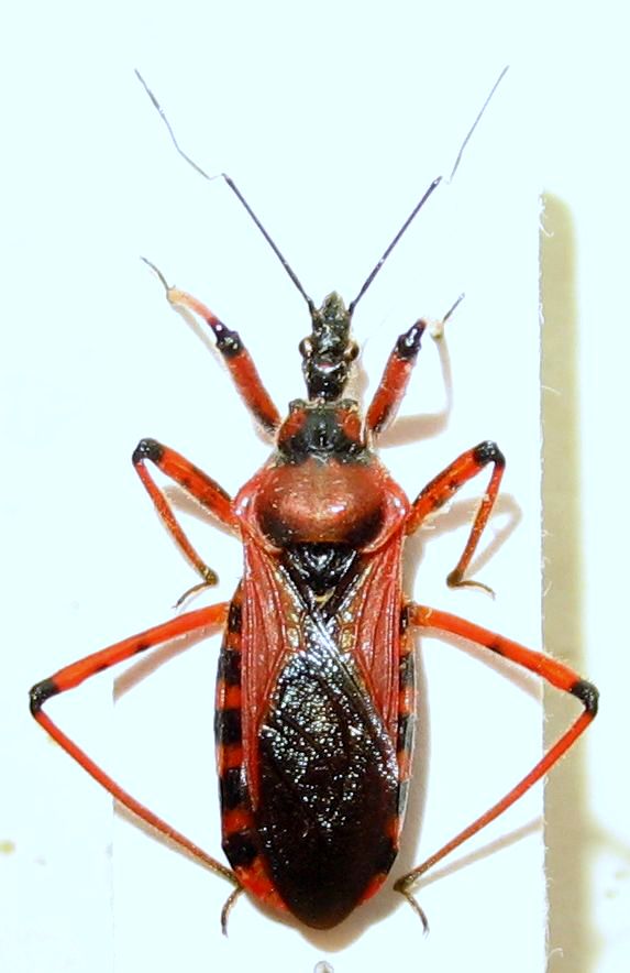
Rhynocoris (Rhynocoris) iracundus (Poda, 1761) - Reduviidae

14.VI.2015 - FRANCIA - EE, Saint Jean de Fos


nuovo argomento
rispondi
Pagina 1 di 1 [ 4 messaggi ]
Autore Messaggio
MessaggioInviato: 30/07/2015, 9:12 
 

Iscritto il: 30/09/2009, 19:19
Messaggi: 1067
Località: Czech rep.
Nome: Ivo Boščík
S-France,Saint Jean de Fos
18mm


IMG_5048.JPG

Top
profilo
 Oggetto del messaggio: Re: Rhynocoris sp.
MessaggioInviato: 31/07/2015, 6:17 
 

Iscritto il: 30/09/2009, 19:19
Messaggi: 1067
Località: Czech rep.
Nome: Ivo Boščík
:no1: :no1:


Top
profilo
 Oggetto del messaggio: Re: Rhynocoris sp.
MessaggioInviato: 01/08/2015, 11:10 
Avatar utente

Iscritto il: 21/09/2014, 11:55
Messaggi: 1561
Località: Istanbul Turkey
Nome: Barış
Reduviidae:Rhynocoris iracundus


Top
profilo
 Oggetto del messaggio: Re: Rhynocoris sp.
MessaggioInviato: 02/08/2015, 7:05 
 

Iscritto il: 30/09/2009, 19:19
Messaggi: 1067
Località: Czech rep.
Nome: Ivo Boščík
:birra: :ok:


Top
profilo
Visualizza ultimi messaggi:  Ordina per  
nuovo argomento
rispondi
Pagina 1 di 1 [ 4 messaggi ]

Tutti gli orari sono UTC + 1 ora [ ora legale ]


Chi c’è in linea

Visitano il forum: Nessuno e 1 ospite


Non puoi aprire nuovi argomenti
Non puoi rispondere negli argomenti
Non puoi modificare i tuoi messaggi
Non puoi cancellare i tuoi messaggi
Non puoi inviare allegati

Cerca per:
Vai a: