Benvenuto Ospite

Forum Entomologi Italiani

www.entomologiitaliani.net/forum
 
Oggi è 24/10/2025, 5:54

Tutti gli orari sono UTC + 1 ora [ ora legale ]

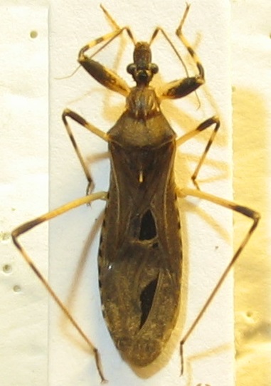
Oncocephalus acutangulus Reuter, 1882 - Reduviidae

10.V.2015 - MAROCCO - EE, 20km W of Oulmes


nuovo argomento
rispondi
Pagina 1 di 1 [ 3 messaggi ]
Autore Messaggio
MessaggioInviato: 04/12/2016, 15:27 
 

Iscritto il: 30/09/2009, 19:19
Messaggi: 1063
Località: Czech rep.
Nome: Ivo Boščík
Morocco,20km W of Oulmes,10.5.2015
18mm


Onco.JPG

Top
profilo
 Oggetto del messaggio: Re: Oncocephalus-Morocco
MessaggioInviato: 06/12/2016, 22:05 
Avatar utente

Iscritto il: 21/09/2014, 11:55
Messaggi: 1561
Località: Istanbul Turkey
Nome: Barış
Oncocephalus acutangulus


Top
profilo
 Oggetto del messaggio: Re: Oncocephalus-Morocco
MessaggioInviato: 07/12/2016, 10:57 
 

Iscritto il: 30/09/2009, 19:19
Messaggi: 1063
Località: Czech rep.
Nome: Ivo Boščík
Grazias Baris,
It is Oncocephalus acutangulus. :ok:


Top
profilo
Visualizza ultimi messaggi:  Ordina per  
nuovo argomento
rispondi
Pagina 1 di 1 [ 3 messaggi ]

Tutti gli orari sono UTC + 1 ora [ ora legale ]


Chi c’è in linea

Visitano il forum: Nessuno e 2 ospiti


Non puoi aprire nuovi argomenti
Non puoi rispondere negli argomenti
Non puoi modificare i tuoi messaggi
Non puoi cancellare i tuoi messaggi
Non puoi inviare allegati

Cerca per:
Vai a: