Benvenuto Ospite

Forum Entomologi Italiani

www.entomologiitaliani.net/forum
 
Oggi è 23/10/2025, 14:42

Tutti gli orari sono UTC + 1 ora [ ora legale ]

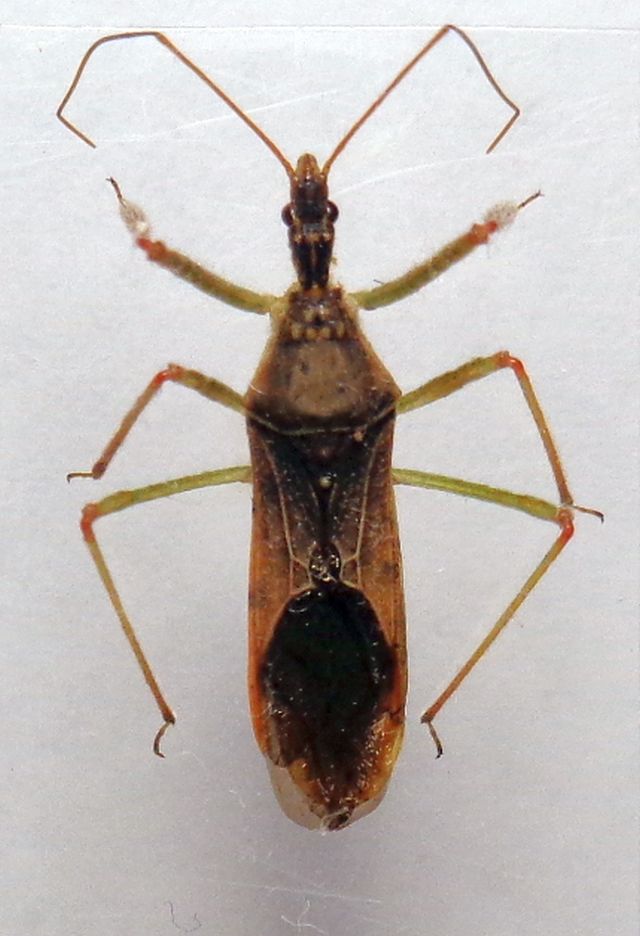
Zelus renardii Kolenati, 1856 - Reduviidae Harpactorini

13.IV.2022 - ITALIA - Emilia-Romagna - RA, Bagnacavallo centro


nuovo argomento
rispondi
Pagina 1 di 1 [ 1 messaggio ]
Autore Messaggio
MessaggioInviato: 29/04/2022, 22:28 
 

Iscritto il: 08/12/2013, 1:52
Messaggi: 7511
Località: Bagnacavallo (RA)
Nome: Giorgio Pezzi
L'esemplare è quello di questo topic https://www.naturamediterraneo.com/foru ... _ID=339431 gentilmente donatomi da Sergio e che dovrebbe essere la prima documentazione in Romagna della specie, a meno che qualcuno mi smentisca. Leg. Sergio Melandri di Mezzano (RA).
:hi:
Azel.JPG



Azel lat.JPG

Top
profilo
Visualizza ultimi messaggi:  Ordina per  
nuovo argomento
rispondi
Pagina 1 di 1 [ 1 messaggio ]

Tutti gli orari sono UTC + 1 ora [ ora legale ]


Chi c’è in linea

Visitano il forum: Nessuno e 1 ospite


Non puoi aprire nuovi argomenti
Non puoi rispondere negli argomenti
Non puoi modificare i tuoi messaggi
Non puoi cancellare i tuoi messaggi
Non puoi inviare allegati

Cerca per:
Vai a: