| Forum Entomologi Italiani http://www.entomologiitaliani.net/public/forum/phpBB3/ |
|
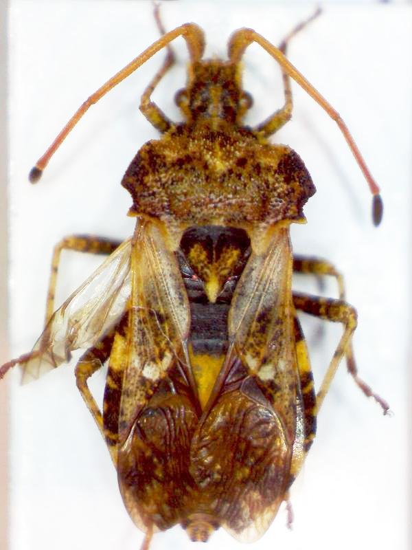
| Centrocoris spiniger (Fabricius, 1781) (cf.) - Coreidae Coreinae Coreini http://www.entomologiitaliani.net/public/forum/phpBB3/viewtopic.php?f=99&t=38263 |
Pagina 1 di 1 |
| Autore: | Lucanus tetraodon [ 11/09/2012, 22:18 ] |
| Oggetto del messaggio: | Centrocoris spiniger (Fabricius, 1781) (cf.) - Coreidae Coreinae Coreini |
Grazie in anticipo per l' identificazione. Dimensioni: 12 mm, trappola a vino su Eriobotrya japonica, 19-28/V/2012, G. Altadonna legit. |
|
| Autore: | Umbro [ 12/09/2012, 0:12 ] |
| Oggetto del messaggio: | Re: Hemiptera da ID 2 |
Per me Centrocoris sp. - Coreidae, io non riesco ad andare oltre, ci vorrebbe una foto laterale del capo. Segnalo anche un intervento di Leonardo molto completo in questa discussione.
|
|
| Autore: | Lucanus tetraodon [ 12/09/2012, 20:35 ] |
| Oggetto del messaggio: | Re: Centrocoris sp. - Coreidae |
Grazie Umberto!
|
|
| Autore: | Dioli [ 24/09/2012, 0:43 ] |
| Oggetto del messaggio: | Re: Centrocoris sp. - Coreidae |
I dubbi di Umberto sono condivisibili. Comunque io propendo per C.spiniger |
|
| Autore: | Lucanus tetraodon [ 24/09/2012, 19:08 ] |
| Oggetto del messaggio: | Re: Centrocoris spiniger (Fabricius, 1781) (cf.) - Coreidae Coreinae Coreini |
Grazie Paride!
|
|
| Pagina 1 di 1 | Tutti gli orari sono UTC + 1 ora [ ora legale ] |
| Powered by phpBB® Forum Software © phpBB Group http://www.phpbb.com/ |
|