Benvenuto Ospite

Forum Entomologi Italiani

www.entomologiitaliani.net/forum
 
Oggi è 11/11/2025, 16:11

Tutti gli orari sono UTC + 1 ora [ ora legale ]

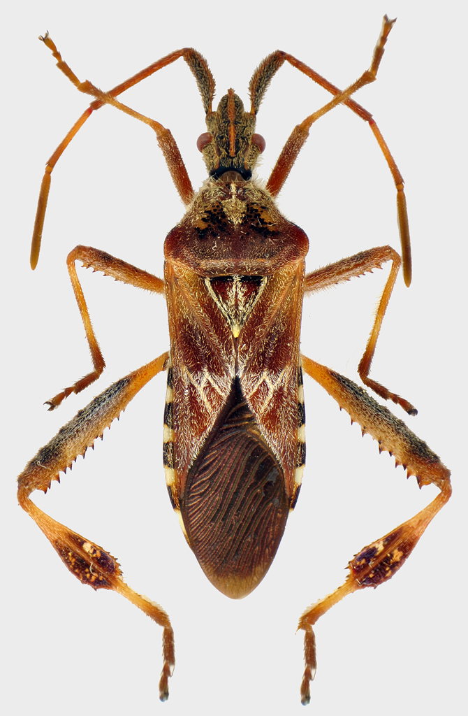
Leptoglossus occidentalis Heidemann, 1910 - Coreidae

20.X.2012 - ITALIA - Puglia - LE, Lecce - loc. Grottella


nuovo argomento
rispondi
Pagina 1 di 1 [ 6 messaggi ]
Autore Messaggio
MessaggioInviato: 22/10/2012, 19:04 
Avatar utente

Iscritto il: 25/11/2009, 9:31
Messaggi: 8157
Località: Lecce
Nome: Maurizio Bollino
Credo che sia un Reduviidae, ma oltre non vado. Mi sembra di non averlo mai visto qui da noi, ma potrei tranquillamente sbagliarmi...

Dimensioni: 18,5 mm

Reduviidae-20-X-2012.jpg


_________________
Maurizio Bollino


Top
profilo
 Oggetto del messaggio: Re: Reduviidae?
MessaggioInviato: 22/10/2012, 19:07 
Avatar utente

Iscritto il: 10/05/2009, 15:30
Messaggi: 7182
Località: Ancona
Nome: Giacomo Giovagnoli
E' un Coreidae invasivo originario dell'America che attacca le conifere:
Leptoglossus occidentalis Heidemann, 1910.

Ciao :)

_________________
Immagine Giacomo


Top
profilo
MessaggioInviato: 22/10/2012, 19:15 
Avatar utente

Iscritto il: 26/03/2010, 14:55
Messaggi: 5977
Località: Romania
Nome: Cosmin-Ovidiu Manci
oltre a ID che hai ricevutto gia, una bella foto !!!

:hi:

_________________
Cosmin-Ovidiu Manci
**********************
cosmln's place - my blog
just insects
Dragonflies of Romania


Top
profilo
MessaggioInviato: 22/10/2012, 19:17 
Avatar utente

Iscritto il: 04/02/2009, 17:49
Messaggi: 5510
Località: Cagliari
Nome: Daniele Sechi
Che bei colori Maurizio, hai risolto il bilanciamento del bianco? Come?

_________________
:hi:
Daniele


Top
profilo
 Oggetto del messaggio: Re: Reduviidae?
MessaggioInviato: 22/10/2012, 19:18 
Avatar utente

Iscritto il: 25/11/2009, 9:31
Messaggi: 8157
Località: Lecce
Nome: Maurizio Bollino
StagBeetle ha scritto:
E' un Coreidae invasivo originario dell'America che attacca le conifere:
Leptoglossus occidentalis Heidemann, 1910.

Ciao :)


:oops: :oops: Ecco, neanche la famiglia avevo beccato!! Grazie Giacomo.

cosmln ha scritto:
bella foto !!!


Con le bestie grandi è facile....., ma con le bestiole che fotografi tu .... :cry: :cry: :cry:

_________________
Maurizio Bollino


Top
profilo
MessaggioInviato: 22/10/2012, 19:24 
Avatar utente

Iscritto il: 25/11/2009, 9:31
Messaggi: 8157
Località: Lecce
Nome: Maurizio Bollino
Daniele Sechi ha scritto:
Che bei colori Maurizio, hai risolto il bilanciamento del bianco? Come?


Innanzitutto macchina già settata con bilanciamento premisurato sui led, poi un pò di ritocco con i livelli in Photoshop.
Una volta un amico fotografo mi disse che in foto digitale era sempre meglio sovraesporre che sottoesporre, e così ho fatto per molto tempo. Poi ho voluto provare a sottoesporre per vedere che succedeva, e i colori mi vengono molto più saturi. Ormai sottoespongo abitualmente di almeno uno stop, oppure abbrevio il tempo di esposizione. In questo caso, per esempio, invece di scattare a 1/500, ho scattato a 1/640, sempre con diaframma 5,6 e ISO 200.

_________________
Maurizio Bollino


Top
profilo
Visualizza ultimi messaggi:  Ordina per  
nuovo argomento
rispondi
Pagina 1 di 1 [ 6 messaggi ]

Tutti gli orari sono UTC + 1 ora [ ora legale ]


Chi c’è in linea

Visitano il forum: Nessuno e 2 ospiti


Non puoi aprire nuovi argomenti
Non puoi rispondere negli argomenti
Non puoi modificare i tuoi messaggi
Non puoi cancellare i tuoi messaggi
Non puoi inviare allegati

Cerca per:
Vai a: