Forum Entomologi Italiani
http://www.entomologiitaliani.net/public/forum/phpBB3/

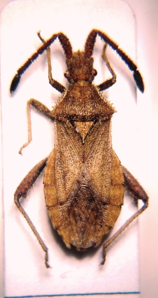
Coriomeris affinis (Herrich-Schäffer, 1839) - Coreidae
http://www.entomologiitaliani.net/public/forum/phpBB3/viewtopic.php?f=99&t=67654
Pagina 1 di 1

Autore:  rubber [ 22/04/2016, 16:33 ]
Oggetto del messaggio:  Coriomeris affinis (Herrich-Schäffer, 1839) - Coreidae

anche in questo caso mi trovo di fronte a dei dubbi su come interpretare i caratteri esterni per classificare questo esemplare di Coriomeris. le setole sulle antenne ed i denti sul bordo laterale del pronoto mi porterebbe verso il denticulatus, mentre il numero di spine sul femore posteriore è più da Hirticornis (in questo caso mi sono basato sulle chiavi che ho trovato su FNM e su un testo delle memorie della S.E.I. di Tamanini).
anche in questo caso si tratta di un esemplare femmina.
Spero mi possiate aiutare vedendo le immagini (non certo ideali).
grazie mille :hi:
lunghezza 9 mm
905 coriomeris denticulatus (Scopoli, 1763) 1.jpg

dettaglio capo e antenne
905 coriomeris denticulatus (Scopoli, 1763) 2.jpg

dettaglio denti su femore posteriore
905 coriomeris denticulatus (Scopoli, 1763) 3.jpg


Autore:  Baris99 [ 22/04/2016, 16:50 ]
Oggetto del messaggio:  Re: Coriomeris ma quale?

Coriomeris affinis

Autore:  ivo [ 23/04/2016, 5:55 ]
Oggetto del messaggio:  Re: Coriomeris ma quale?

You have the key in the PDF?

Autore:  Baris99 [ 23/04/2016, 14:32 ]
Oggetto del messaggio:  Re: Coriomeris ma quale?

Better, as a link:
http://macroid.ru/determination.php?cat=591

Autore:  rubber [ 23/04/2016, 22:33 ]
Oggetto del messaggio:  Re: Coriomeris ma quale?

thanks a lot for ID and for the link. :birra:
Now I try to translate it and so I can understand better how to identify this genre
:hi:

Autore:  ivo [ 23/04/2016, 22:34 ]
Oggetto del messaggio:  Re: Coriomeris ma quale?

Thanks you Baris.
What's the picture right :? ?

Autore:  Baris99 [ 23/04/2016, 22:35 ]
Oggetto del messaggio:  Re: Coriomeris ma quale?

"Google translate" translates Russian to English very well :)

Autore:  Baris99 [ 23/04/2016, 22:36 ]
Oggetto del messaggio:  Re: Coriomeris ma quale?

ivo ha scritto:
Thanks you Baris.
What's the picture right :? ?

Lateroposterior margin of the pronotum :)

Pagina 1 di 1 Tutti gli orari sono UTC + 1 ora [ ora legale ]
Powered by phpBB® Forum Software © phpBB Group
http://www.phpbb.com/