Benvenuto Ospite

Forum Entomologi Italiani

www.entomologiitaliani.net/forum
 
Oggi è 26/10/2025, 10:49

Tutti gli orari sono UTC + 1 ora [ ora legale ]

Agrilus macroderus Abeille de Perrin, 1897 - Buprestidae

15.V.2022 - ROMANIA - EE, Romania: Constanta county: Agigea


nuovo argomento
rispondi
Pagina 1 di 1 [ 12 messaggi ]
Autore Messaggio
MessaggioInviato: 12/01/2023, 9:31 
Avatar utente

Iscritto il: 31/08/2010, 7:16
Messaggi: 3040
Località: Romania
Nome: Pintilioaie Alexandru Mihai
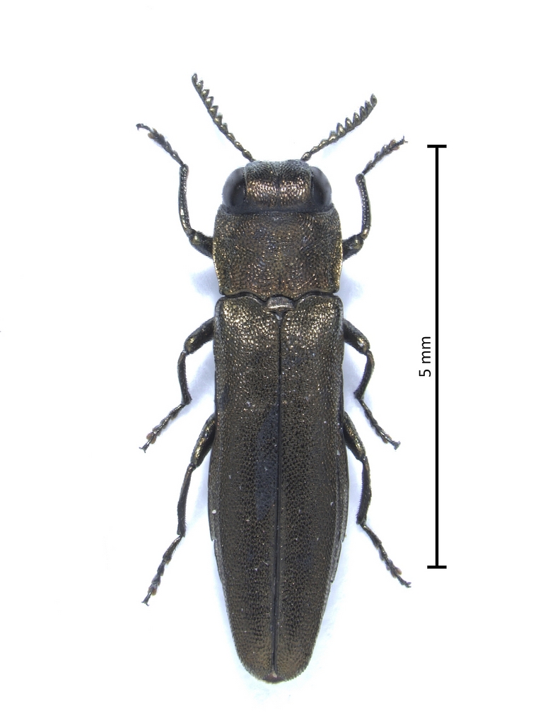
It is possible to ID this Agrilus? I can provide more pictures if needed. Unfortunately no idea about host plant :roll: :hi:

Untitled502.jpg



Untitled217.jpg



Experiment-407-Extended Depth of Focus-03.jpg



Experiment-408-Extended Depth of Focus-04.jpg



Experiment-410-Extended Depth of Focus-07.jpg



Experiment-411-Extended Depth of Focus-08.jpg



Experiment-412-Extended Depth of Focus-09.jpg


_________________
alexandrupintilioaie(AT)gmail.com


Top
profilo
 Oggetto del messaggio: Re: Agrilus for ID
MessaggioInviato: 13/01/2023, 10:01 
Avatar utente

Iscritto il: 19/04/2012, 7:52
Messaggi: 1085
Nome: Gianfranco Curletti
Alexandru,
it will be because the photos always put me in crisis (plus yours are beautiful), but I can not determine the specimen. Sorry. I would have to see it under binocular to get some idea.
Anyway it is very interesting.
gian


Top
profilo
 Oggetto del messaggio: Re: Agrilus for ID
MessaggioInviato: 14/01/2023, 1:08 
Avatar utente

Iscritto il: 13/10/2010, 18:21
Messaggi: 1990
Nome: Andrea Liberto
Hi there, in my opinion it's very likely a male of Agrilus cuprescens

Bests


Top
profilo
 Oggetto del messaggio: Re: Agrilus for ID
MessaggioInviato: 15/01/2023, 20:54 
Avatar utente

Iscritto il: 31/08/2010, 7:16
Messaggi: 3040
Località: Romania
Nome: Pintilioaie Alexandru Mihai
Thank you guys a lot for your help :lov1: :birra: ... I hope next year I will be able to collect more specimens and to ID them properly. Meanwhile I will add here this picture with a lateral view of the beetle, maybe it will help :roll: :hi:

Untitled171.jpg


_________________
alexandrupintilioaie(AT)gmail.com


Top
profilo
 Oggetto del messaggio: Re: Agrilus for ID
MessaggioInviato: 16/01/2023, 10:09 
Avatar utente

Iscritto il: 22/03/2010, 10:17
Messaggi: 1163
Località: Cluj-Napoca, Romania
Nome: Adrian Ruicanescu
Clickie ha scritto:
Hi there, in my opinion it's very likely a male of Agrilus cuprescens

Bests


The adedeagus of Agrilus cuprescens differs significantly. I also thought it is A. macroderus, but it should have the vertex prominant dorsal, over the pronotum, like all hyperici group.


Agrilus cuprescens Letea_m4_aed.jpg


_________________
Ciao :hi:
Adrian
Top
profilo
 Oggetto del messaggio: Re: Agrilus for ID
MessaggioInviato: 17/01/2023, 1:01 
Avatar utente

Iscritto il: 13/10/2010, 18:21
Messaggi: 1990
Nome: Andrea Liberto
Hi there, I just wrote "...most likely...".

A couple of things: the median lobe, "aka" penis, slides through the parameres, as you know.

Therefore, the "aedeagus" may look very different, following the sliding degree.

Moreover, this specimen's pronotal shape and outline doesn't fit so well with that of A. cuprescens, that's just a preliminary choice. Just a starting step.

In my opinion, there's an unsolved trouble involving A. cuprescens and A. calcicola, The latter synonimized with cuprescens.

Well, a short series of Agrilus of this group from Peloponnese in my collection are very much resembling the specimen here depicted, and I've named it (lacking better solutions) as "Agrilus calcicola cfr."

That's all folks, I stop here for the meanwhile. A.


Top
profilo
 Oggetto del messaggio: Re: Agrilus for ID
MessaggioInviato: 17/01/2023, 11:36 
Avatar utente

Iscritto il: 22/03/2010, 10:17
Messaggi: 1163
Località: Cluj-Napoca, Romania
Nome: Adrian Ruicanescu
This is a good observation. Unfortunately I have not any specimen of A. calcicola to compare with.

_________________
Ciao :hi:
Adrian


Top
profilo
 Oggetto del messaggio: Re: Agrilus for ID
MessaggioInviato: 17/01/2023, 21:23 
Avatar utente

Iscritto il: 13/10/2010, 18:21
Messaggi: 1990
Nome: Andrea Liberto
Hi Adrian,

after poking around a little bit I've found that Schaefer, in his Faune de France (that was published in 1950, and not in 1949 as currently quoted), briefly named an "ab. obtusifera" referred to Agrilus aurichalceus Redt. from "Caucasus, Hungary, Greece, France" like this: Cotés du pronotum subrectilignes

Best regards, Clickie


Top
profilo
 Oggetto del messaggio: Re: Agrilus for ID
MessaggioInviato: 26/01/2023, 14:31 
Avatar utente

Iscritto il: 22/03/2010, 10:17
Messaggi: 1163
Località: Cluj-Napoca, Romania
Nome: Adrian Ruicanescu
Here I have an image from Agrilus cuprescens, collected from just some tens of kilometers from the location Alexandru collected his specimen. I have serious doubts, of coexisting 2 subspecies in such a small geographic region. I don't have something to say about "aberrations". Needs a series of specimens. But in other regions where I collected A. cuprescens, I did not see "aberrations" with straight pronotum margins. Lot of old "aberrations" proved to be subspecies or even good species later. More specimens collected from the same area and the same host plant would make a better idea. I do not argue to what you mentioned above. I just want to clarify.


SCR-20230126-k52.jpg


_________________
Ciao :hi:
Adrian
Top
profilo
 Oggetto del messaggio: Re: Agrilus for ID
MessaggioInviato: 26/01/2023, 14:36 
Avatar utente

Iscritto il: 31/08/2010, 7:16
Messaggi: 3040
Località: Romania
Nome: Pintilioaie Alexandru Mihai
Guys, I can send the specimen if someone is interested to study it directly, just let me know ;) :hi:

_________________
alexandrupintilioaie(AT)gmail.com


Top
profilo
 Oggetto del messaggio: Re: Agrilus for ID
MessaggioInviato: 26/01/2023, 18:03 
Avatar utente

Iscritto il: 19/04/2012, 7:52
Messaggi: 1085
Nome: Gianfranco Curletti
alexaandru ha scritto:
Guys, I can send the specimen if someone is interested to study it directly, just let me know ;) :hi:


I am interested. Please, write to me with private message for the contact.
gian


Top
profilo
 Oggetto del messaggio: Re: Agrilus for ID
MessaggioInviato: 16/02/2023, 22:59 
Avatar utente

Iscritto il: 31/08/2010, 7:16
Messaggi: 3040
Località: Romania
Nome: Pintilioaie Alexandru Mihai
The specimen was ID-ed as Agrilus macroderus by Gianfranco Curletti :hp: :birra: :lov2: :hi:

_________________
alexandrupintilioaie(AT)gmail.com


Top
profilo
Visualizza ultimi messaggi:  Ordina per  
nuovo argomento
rispondi
Pagina 1 di 1 [ 12 messaggi ]

Tutti gli orari sono UTC + 1 ora [ ora legale ]


Chi c’è in linea

Visitano il forum: Nessuno e 4 ospiti


Non puoi aprire nuovi argomenti
Non puoi rispondere negli argomenti
Non puoi modificare i tuoi messaggi
Non puoi cancellare i tuoi messaggi
Non puoi inviare allegati

Cerca per:
Vai a: