Benvenuto Ospite

Forum Entomologi Italiani

www.entomologiitaliani.net/forum
 
Oggi è 30/11/2025, 16:53

Tutti gli orari sono UTC + 1 ora [ ora legale ]

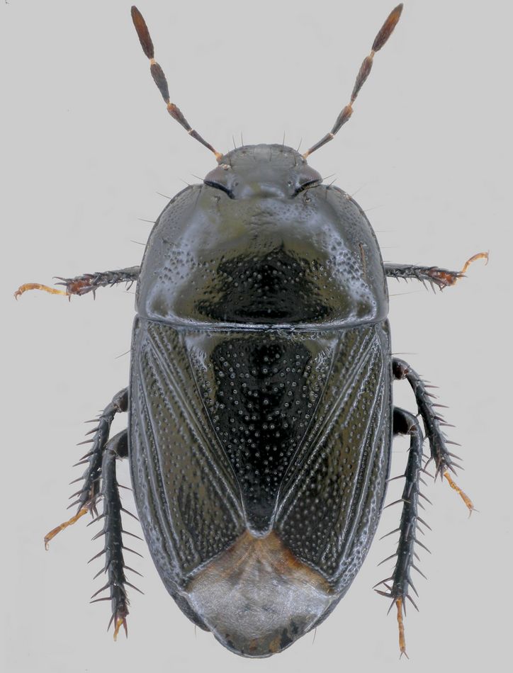
Geotomus elongatus (Herrich-Schaeffer, 1840) - Cydnidae

11.IV.2010 - ITALIA - Emilia-Romagna - BO, Casalfiumanese - 300m


nuovo argomento
rispondi
Pagina 1 di 1 [ 5 messaggi ]
Autore Messaggio
MessaggioInviato: 12/04/2010, 20:20 
Avatar utente

Iscritto il: 06/02/2009, 9:03
Messaggi: 6373
Località: Bubano di Mordano (Bologna)
Nome: Augusto Degiovanni
Alcune degli Heterotteri trovati nei Calanchi.

ROMAGNA: Casalfiumanese, (BO), 300m., 11.IV.2010, Leg. A. Degiovanni

Lunghezza: 4,7 mm

4.jpg



4 (2).jpg


_________________
CIAO :hi: Augusto Degiovanni

http://anthicidaeecarabidae.altervista.org


Top
profilo
 Oggetto del messaggio: Re: Heteroptera 2
MessaggioInviato: 12/04/2010, 21:25 
Avatar utente

Iscritto il: 10/05/2009, 15:30
Messaggi: 7182
Località: Ancona
Nome: Giacomo Giovagnoli
E' un Cydnidae...
Può essere Ochetostethus?? :oops: :no1:

Ciao :)

_________________
Immagine Giacomo


Top
profilo
 Oggetto del messaggio: Re: Heteroptera 2
MessaggioInviato: 12/04/2010, 22:07 
Avatar utente

Iscritto il: 05/02/2009, 17:25
Messaggi: 4894
Località: Zola Predosa (BO)
Nome: Loris Colacurcio
Questo dovrebbe essere un Cydnidae; forse un Geotomus sp....

Vedo ora di essere arrivato secondo...e con diverso genere proposto: poco male, il bello è provarci :mrgreen:

:hi:

_________________
Loris


Top
profilo
 Oggetto del messaggio: Re: Heteroptera 2
MessaggioInviato: 13/04/2010, 17:52 
Avatar utente

Iscritto il: 05/02/2009, 17:36
Messaggi: 780
Nome: Attilio Carapezza
Loris ha individuato il genere corretto: Geotomus elongatus (Herrich-Schaeffer 1840).


Top
profilo
MessaggioInviato: 13/04/2010, 20:10 
Avatar utente

Iscritto il: 06/02/2009, 9:03
Messaggi: 6373
Località: Bubano di Mordano (Bologna)
Nome: Augusto Degiovanni
Grazie a tutti per la determinazione :ok: :ok: :ok:

_________________
CIAO :hi: Augusto Degiovanni

http://anthicidaeecarabidae.altervista.org


Top
profilo
Visualizza ultimi messaggi:  Ordina per  
nuovo argomento
rispondi
Pagina 1 di 1 [ 5 messaggi ]

Tutti gli orari sono UTC + 1 ora [ ora legale ]


Chi c’è in linea

Visitano il forum: Nessuno e 0 ospiti


Non puoi aprire nuovi argomenti
Non puoi rispondere negli argomenti
Non puoi modificare i tuoi messaggi
Non puoi cancellare i tuoi messaggi
Non puoi inviare allegati

Cerca per:
Vai a: