Benvenuto Ospite

Forum Entomologi Italiani

www.entomologiitaliani.net/forum
 
Oggi è 22/11/2025, 23:15

Tutti gli orari sono UTC + 1 ora [ ora legale ]

Mimocoris rugicollis (Costa, 1852) - Miridae - Sasso Marconi (BO)



nuovo argomento
rispondi
Pagina 1 di 1 [ 7 messaggi ]
Autore Messaggio
MessaggioInviato: 22/06/2010, 16:58 
Avatar utente

Iscritto il: 05/02/2009, 17:25
Messaggi: 4894
Località: Zola Predosa (BO)
Nome: Loris Colacurcio
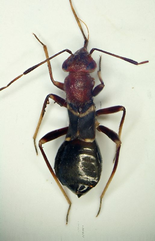
Raccolto mentre sfalciavo un piccolo Pero....purtroppo ho potuto prepararla dopo 4 giorni e come capita sempre con queste delicatissime bestiole, si è rovinata parecchio.

Sasso Marconi (BO) - Palazzo rossi, giugno 2010
Lunghezza: molto circa 5 mm. scarsi

Eterottero formica.JPG


_________________
Loris


Top
profilo
MessaggioInviato: 28/06/2010, 8:42 
Avatar utente

Iscritto il: 05/02/2009, 17:34
Messaggi: 894
Località: Sondrio - Lombardia - Italia
Nome: Paride Dioli
E' un Miridae della sbfm. Hallodapinae:
Mimocoris rugicollis (Costa, 1852).
E' noto soprattutto su Quercus, spesso in associazione con formiche; è perciò interessante la presenza sul Pero che mi sembra nuova in Letteratura. La specie si trova nell'Italia mediterranea, nei Balcani e a Cipro. Un'altra specie, Mimocoris coarctatus (Mulstant & Rey, 1852) ha distribuzione più occidentale in Francia e Spagna. Si distingue dalla specie precedente, soprattutto la femmina, per avere il secondo articolo antennale non ingrossato.
Le femmine sono attere, i maschi alati. Gli Hallodapinae (generi Omphalonotus, Systellonotus, Hallodapus, Mimocoris etc.) sono sempre molto interessanti e rari: anche in un recente passato sono state descritte specie nuove dell'Appennino e altre sono in corso di riesame.

_________________
Link: https://www.ndsu.edu/pubweb/~rider/Pentatomoidea/Researchers/Dioli_Paride.htm
Papers in PDF format: https://www.researchgate.net/profile/Paride_Dioli/?ev=hdr_xprf/


Top
profilo
MessaggioInviato: 28/06/2010, 9:18 
Avatar utente

Iscritto il: 05/02/2009, 17:25
Messaggi: 4894
Località: Zola Predosa (BO)
Nome: Loris Colacurcio
Grazie mille per la determinazione.....con il senno di poi potevo conservare più di un esemplare. Il problema di fondo è che, se non li preparo (quasi) subito dopo, letteralmente ti si sfaldano sotto i "ferri" :(

Se può interessare ne ho trovati (presumo della stessa specie), anche sulla roverella come da te indicato, e pure sul pruno....ma sempre in esemplari isolati.

:hi:

_________________
Loris


Top
profilo
MessaggioInviato: 28/06/2010, 15:43 
Avatar utente

Iscritto il: 05/02/2009, 17:34
Messaggi: 894
Località: Sondrio - Lombardia - Italia
Nome: Paride Dioli
allora prova a cercarne altri perché ne vale la pena...


Top
profilo
MessaggioInviato: 28/06/2010, 16:01 
Avatar utente

Iscritto il: 05/02/2009, 17:25
Messaggi: 4894
Località: Zola Predosa (BO)
Nome: Loris Colacurcio
Scusa se sono pedante....tutte le specie di questi strani emitteri simili a formiche ti interessano ?
Perché vi sono altre specie, nettamente più frequenti, di colore nero con bordature biancastre (se ricordo bene) che hanno sempre questa curiosa forma.

Saluti

P.s. tu come ti comporti per l'uccisione e conservazione ante-preparazione delle stesse ? una conservazione in liquido può essere consigliabile ?

_________________
Loris


Top
profilo
MessaggioInviato: 28/06/2010, 16:16 
Avatar utente

Iscritto il: 06/02/2009, 8:59
Messaggi: 305
Località: Sassari
Nome: Laura Loru
Io ho raccolto questa specie con trappola a caduta sia in ceraseto che in noceto e con fascia trappola e per scuotimento in corileto.
Ciao Laura


Top
profilo
MessaggioInviato: 11/01/2014, 14:10 
Avatar utente

Iscritto il: 05/02/2009, 17:34
Messaggi: 894
Località: Sondrio - Lombardia - Italia
Nome: Paride Dioli
Loriscola ha scritto:
Grazie mille per la determinazione.....con il senno di poi potevo conservare più di un esemplare. Il problema di fondo è che, se non li preparo (quasi) subito dopo, letteralmente ti si sfaldano sotto i "ferri" :(

Se può interessare ne ho trovati (presumo della stessa specie), anche sulla roverella come da te indicato, e pure sul pruno....ma sempre in esemplari isolati.

:hi:


Quasi tutti i piccoli miridi hanno i problemi da te evidenziati. Vanno messi in contenitori "dedicati" con carta assorbente (mai assieme a coleotteri o altri insetti), con poco etere e preparati in giornata. Si devono poi prendere nel maggior numero possibile (ad es. Psallus, Orthotylus, Tuponia etc.) perché sulla quantità non si rischia di rovinare, per le estrazioni, gli exx unici. Io, ad esempio, preferisco non classificare talune specie problematiche se non dispongo almeno di 5-6 exx. Se si distrugge un esemplare di consistenza fragile per fare l'estrazione non si fa un buon servizio alla conoscenza perché in futuro qualcun altro potrebbe raggiungere il risultato con sistemi nuovi e meno invasivi.
Sconsiglio infine qualsiasi conservazione in liquido perché avvizziscono quando poi si tolgono e asciugano. Studiarli direttamente in liquido è laborioso perché diventano trasparenti e si fatica persino ad arrivare al genere. Tamanini, che era una persona molto disponibile, si rifiutava categoricamente di esaminare eterotteri conservati in alcool et similia.
Attenzione a poi non confondere questi Hallodapini (mirmecomorfi) con altri eterotteri che assomigliano a formiche, come le neanidi e ninfe di Aptus mirmicoides (Nabidae) che è comunissimo sul terreno.

_________________
Link: https://www.ndsu.edu/pubweb/~rider/Pentatomoidea/Researchers/Dioli_Paride.htm
Papers in PDF format: https://www.researchgate.net/profile/Paride_Dioli/?ev=hdr_xprf/


Top
profilo
Visualizza ultimi messaggi:  Ordina per  
nuovo argomento
rispondi
Pagina 1 di 1 [ 7 messaggi ]

Tutti gli orari sono UTC + 1 ora [ ora legale ]


Chi c’è in linea

Visitano il forum: Nessuno e 0 ospiti


Non puoi aprire nuovi argomenti
Non puoi rispondere negli argomenti
Non puoi modificare i tuoi messaggi
Non puoi cancellare i tuoi messaggi
Non puoi inviare allegati

Cerca per:
Vai a: