Benvenuto Ospite

Forum Entomologi Italiani

www.entomologiitaliani.net/forum
 
Oggi è 11/11/2025, 22:19

Tutti gli orari sono UTC + 1 ora [ ora legale ]

Filtro località

Filtro località

In questo pannello è possibile effettuare delle ricerche mirate in base alle località inserite nel forum.

Statistiche

Statistiche
In totale ci sono 89611 taxa:
- 85703 taxa con dati completi
- 2729 taxa con dati parziali, riconducibili ad un paese
- 1179 taxa con dati incompleti


escludi dalla ricerca i subforum
Distribuzione in Europa
Distribuzione in Italia
Filtro applicato: ITALIA - Lazio

Pagina 1 di 2 [ 28 messaggi ]

# A B C D E F G H I J K L M N O P Q R S T U V W X Y Z
 Argomenti   Autore   Risposte   Visite    Ultimo messaggio 
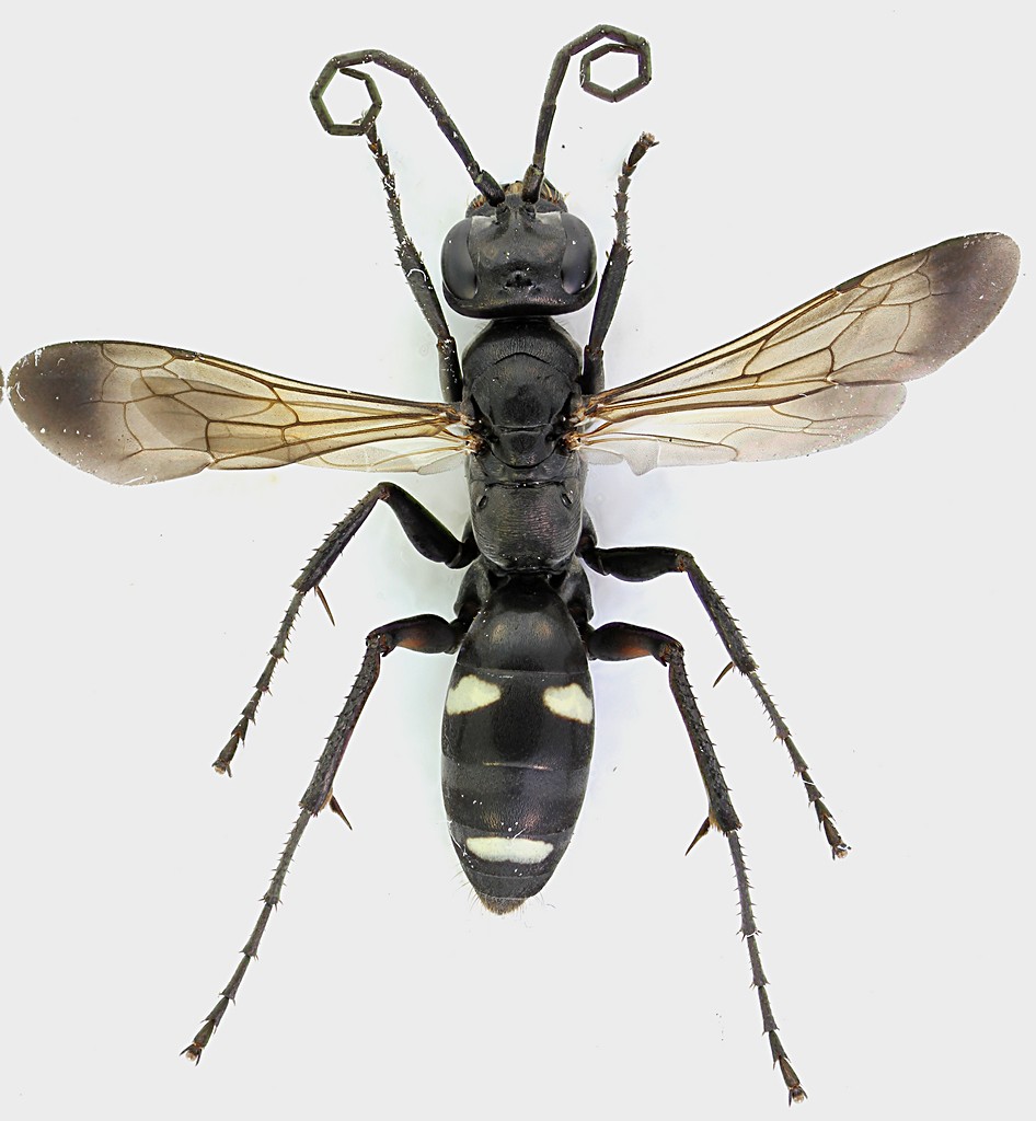
Anoplius nigerrimus (Scopoli, 1763) (cf.) - Pompilidae Pompilinae
7.IX.2023 - ITALIA - Lazio - RM, Anzio - Riserva di Tor Caldara
Allegato(i)
Anoplius nigerrimus (Scopoli, 1763) (cf.) - Pompilidae Pompilinae

in Pompilidae


Dati di raccolta: 7.IX.2023 - ITALIA - Lazio - RM, Anzio - Riserva di Tor Caldara

soken

13

1143

09/01/2024, 18:13

soken Vedi ultimo messaggio

Auplopus albifrons (Dalman, 1823) (cf.) - Pompilidae
27.VI.2020 - ITALIA - Lazio - RM, monte Tuscolo
Allegato(i)
Auplopus albifrons (Dalman, 1823) (cf.) - Pompilidae

[ Vai alla pagina: 1, 2 ]

in Pompilidae


Dati di raccolta: 27.VI.2020 - ITALIA - Lazio - RM, monte Tuscolo

giuseppe55

17

1685

27/10/2022, 22:04

giuseppe55 Vedi ultimo messaggio

Auplopus carbonarius (Scopoli 1763) da confermare (Pompilidae, Pepsinae)
13.IV.2008 - ITALIA - Lazio - LT, PN Circeo, Lago di Fogliano
Allegato(i)
Auplopus carbonarius (Scopoli 1763) da confermare (Pompilidae, Pepsinae)

in Pompilidae


Dati di raccolta: 13.IV.2008 - ITALIA - Lazio - LT, PN Circeo, Lago di Fogliano

Eopteryx

0

837

01/10/2009, 22:15

Eopteryx Vedi ultimo messaggio

Auplopus sp. - Pompilidae e Ichneumonidae suo parassitoide
10.X.2018 - ITALIA - Lazio - RM, Tolfa
Allegato(i)
Auplopus sp. - Pompilidae e Ichneumonidae suo parassitoide

in Pompilidae indeterminati


Dati di raccolta: 10.X.2018 - ITALIA - Lazio - RM, Tolfa

elleelle

5

1287

29/03/2019, 16:32

elleelle Vedi ultimo messaggio

Cryptocheilus (Adonta) variabilis (Rossi, 1790) - Pompilidae
23.VII.1993 - ITALIA - Lazio - RM, Monti Sabatini- Casaccia (Santa Maria di Galeria)
Allegato(i)
Cryptocheilus (Adonta) variabilis (Rossi, 1790) - Pompilidae

in Pompilidae


Dati di raccolta: 23.VII.1993 - ITALIA - Lazio - RM, Monti Sabatini- Casaccia (Santa Maria di Galeria)

aesalus37

3

916

26/09/2013, 20:51

aesalus37 Vedi ultimo messaggio

Cryptocheilus (Adonta) variabilis (Rossi, 1790) - Pompilidae
2.XI.1989 - ITALIA - Lazio - RM, Monti Sabatini- Casaccia (Santa Maria di Galeria)
Allegato(i)
Cryptocheilus (Adonta) variabilis (Rossi, 1790) - Pompilidae

in Pompilidae


Dati di raccolta: 2.XI.1989 - ITALIA - Lazio - RM, Monti Sabatini- Casaccia (Santa Maria di Galeria)

aesalus37

4

1086

21/09/2013, 16:46

aesalus37 Vedi ultimo messaggio

Cryptocheilus (Adonta) variabilis (Rossi, 1790) - Pompilidae
2.XI.1989 - ITALIA - Lazio - RM, Monti Sabatini- Casaccia (Santa Maria di Galeria)
Allegato(i)
Cryptocheilus (Adonta) variabilis (Rossi, 1790) - Pompilidae

in Pompilidae


Dati di raccolta: 2.XI.1989 - ITALIA - Lazio - RM, Monti Sabatini- Casaccia (Santa Maria di Galeria)

aesalus37

3

946

25/09/2013, 20:46

aesalus37 Vedi ultimo messaggio

Cryptocheilus (Adonta) versicolor (Scopoli, 1763) ♀ - Pompilidae Pepsinae
VIII.2015 - ITALIA - Lazio - RM, Tenuta di Castelporziano, Roma
Allegato(i)
Cryptocheilus (Adonta) versicolor (Scopoli, 1763) ♀ - Pompilidae Pepsinae

in Pompilidae indeterminati


Dati di raccolta: VIII.2015 - ITALIA - Lazio - RM, Tenuta di Castelporziano, Roma

aesalus37

3

1083

30/04/2019, 19:24

Andrea Volpe Vedi ultimo messaggio

Cryptocheilus (Cryptocheilus) octomaculatus (Rossius, 1790) - Pompilidae
5.VII.2020 - ITALIA - Lazio - RM, Torrimpietra
Allegato(i)
Cryptocheilus (Cryptocheilus) octomaculatus (Rossius, 1790) - Pompilidae

in Pompilidae


Dati di raccolta: 5.VII.2020 - ITALIA - Lazio - RM, Torrimpietra

giuseppe55

2

683

08/07/2020, 19:02

giuseppe55 Vedi ultimo messaggio

Cryptocheilus (Cryptocheilus) octomaculatus (Rossius, 1790) ♀ - Pompilidae Pepsinae
24.VI.2014 - ITALIA - Lazio - VT, Valle dell'Arcionello
Allegato(i)
Cryptocheilus (Cryptocheilus) octomaculatus (Rossius, 1790) ♀ - Pompilidae Pepsinae

in Pompilidae


Dati di raccolta: 24.VI.2014 - ITALIA - Lazio - VT, Valle dell'Arcionello

Andricus

0

754

30/06/2014, 22:08

Andricus Vedi ultimo messaggio

Cryptocheilus (Cryptocheilus) octomculatus (Rossi, 1791) ♀ - Pompilidae Pepsinae
28.VII.1998 - ITALIA - Lazio - RM, Roma- Castelporziano
Allegato(i)
Cryptocheilus (Cryptocheilus) octomculatus (Rossi, 1791) ♀ - Pompilidae Pepsinae

[ Vai alla pagina: 1, 2 ]

in Pompilidae


Dati di raccolta: 28.VII.1998 - ITALIA - Lazio - RM, Roma- Castelporziano

aesalus37

22

5233

02/01/2014, 11:21

Chalybion Vedi ultimo messaggio

 
Allegato(i)
Cryptocheilus sp. - Pompilidae

in Pompilidae indeterminati


Dati di raccolta: 22.VI.2024 - ITALIA - Lazio - RM, OLEVANO ROMANO

Ermanno61

2

339

23/06/2024, 9:25

Ermanno61 Vedi ultimo messaggio

Cryptocheilus sp.? - Pompilidae - Insetti della città di Roma
24.VII.2011 - ITALIA - Lazio - RM, Roma, Montesacro
Allegato(i)
Cryptocheilus sp.? - Pompilidae - Insetti della città di Roma

in Pompilidae indeterminati


Dati di raccolta: 24.VII.2011 - ITALIA - Lazio - RM, Roma, Montesacro

Julodis

0

735

17/08/2011, 15:05

Julodis Vedi ultimo messaggio

Cryptocheilus versicolor (Scopoli, 1763) - Pompilidae
IX.2013 - ITALIA - Lazio - RM, Roma- Castelporziano
Allegato(i)
Cryptocheilus versicolor (Scopoli, 1763) - Pompilidae

in Pompilidae


Dati di raccolta: IX.2013 - ITALIA - Lazio - RM, Roma- Castelporziano

aesalus37

2

898

13/12/2013, 7:59

aesalus37 Vedi ultimo messaggio

Dipogon (Deuteragenia) subintermedius (Magretti, 1886) (cf.) - Pompiliidae
14.VIII.2016 - ITALIA - Lazio - RM, monte Tuscolo
Allegato(i)
Dipogon (Deuteragenia) subintermedius (Magretti, 1886) (cf.) - Pompiliidae

in Pompilidae


Dati di raccolta: 14.VIII.2016 - ITALIA - Lazio - RM, monte Tuscolo

giuseppe55

2

450

30/06/2023, 19:18

giuseppe55 Vedi ultimo messaggio



Inserisci un link per questa ricerca

Inserisci un link per questa ricerca URL
BBCode
HTML
Vai a: