Benvenuto Ospite

Forum Entomologi Italiani

www.entomologiitaliani.net/forum
 
Oggi è 11/11/2025, 22:15

Tutti gli orari sono UTC + 1 ora [ ora legale ]

Filtro località

Filtro località

In questo pannello è possibile effettuare delle ricerche mirate in base alle località inserite nel forum.

Statistiche

Statistiche
In totale ci sono 89611 taxa:
- 85703 taxa con dati completi
- 2729 taxa con dati parziali, riconducibili ad un paese
- 1179 taxa con dati incompleti


escludi dalla ricerca i subforum
Distribuzione in Europa
Distribuzione in Italia
Filtro applicato: ITALIA - Toscana

Pagina 1 di 1 [ 1 messaggio ]

# A B C D E F G H I J K L M N O P Q R S T U V W X Y Z
 Argomenti   Autore   Risposte   Visite    Ultimo messaggio 
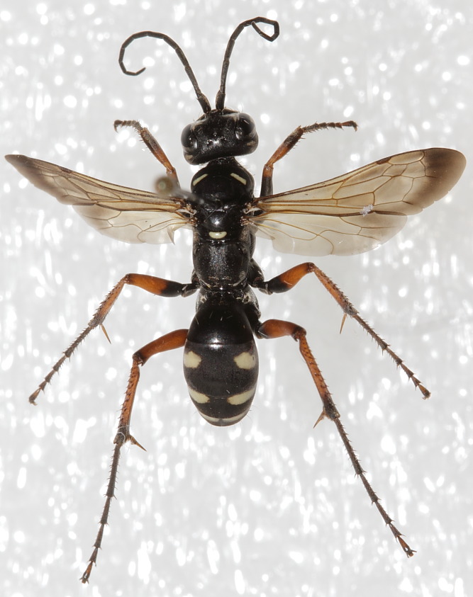
Cryptocheilus cf. variabilis - Pepsinae - Isola d'Elba
9.VII.2010 - ITALIA - Toscana - LI, Porto Azzurro
Allegato(i)
Cryptocheilus cf. variabilis - Pepsinae - Isola d'Elba

in Pompilidae


Dati di raccolta: 9.VII.2010 - ITALIA - Toscana - LI, Porto Azzurro

FORBIX

14

2563

15/07/2010, 7:40

Daniele Sechi Vedi ultimo messaggio


Inserisci un link per questa ricerca

Inserisci un link per questa ricerca URL
BBCode
HTML
Vai a: