Benvenuto Ospite

Forum Entomologi Italiani

www.entomologiitaliani.net/forum
 
Oggi è 11/11/2025, 22:17

Tutti gli orari sono UTC + 1 ora [ ora legale ]

Filtro località

Filtro località

In questo pannello è possibile effettuare delle ricerche mirate in base alle località inserite nel forum.

Statistiche

Statistiche
In totale ci sono 89611 taxa:
- 85703 taxa con dati completi
- 2729 taxa con dati parziali, riconducibili ad un paese
- 1179 taxa con dati incompleti


escludi dalla ricerca i subforum
Distribuzione in Europa
Distribuzione in Italia
Filtro applicato: MALTA

Pagina 1 di 1 [ 4 messaggi ]

# A B C D E F G H I J K L M N O P Q R S T U V W X Y Z
 Argomenti   Autore   Risposte   Visite    Ultimo messaggio 
Ancistrocerus sp. - Vespidae
13.III.2015 - MALTA - EE, isola di Malta, In-Naxxar, R. Rattu leg.
Allegato(i)
Ancistrocerus sp. - Vespidae

in Vespidae indeterminati


Dati di raccolta: 13.III.2015 - MALTA - EE, isola di Malta, In-Naxxar, R. Rattu leg.

Fumea crassiorella

9

1796

11/12/2015, 19:21

Andricus Vedi ultimo messaggio

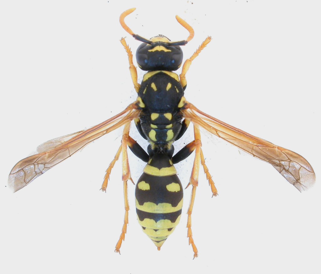
Polistes (Polistes) dominula (Christ, 1791) - Vespidae
9.III.2015 - MALTA - EE, isola di Malta, Ta' Lippija, R. Rattu leg.
Allegato(i) Dettagli della specie
Polistes (Polistes) dominula (Christ, 1791) - Vespidae

in Vespidae


Dati di raccolta: 9.III.2015 - MALTA - EE, isola di Malta, Ta' Lippija, R. Rattu leg.

Fumea crassiorella

2

973

16/12/2015, 20:15

Fumea crassiorella Vedi ultimo messaggio

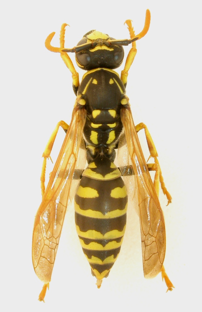
Polistes (Polistes) gallicus (Linnaeus, 1767) - Vespidae
5.III.2015 - MALTA - EE, isola di Malta, Pembroke R. Rattu leg.
Allegato(i) Dettagli della specie
Polistes (Polistes) gallicus (Linnaeus, 1767) - Vespidae

in Vespidae


Dati di raccolta: 5.III.2015 - MALTA - EE, isola di Malta, Pembroke R. Rattu leg.

Fumea crassiorella

7

1547

27/12/2015, 2:29

Fumea crassiorella Vedi ultimo messaggio

Vespula germanica (Fabricius, 1793) - Vespidae
9.III.2015 - MALTA - EE, isola di Malta, Għajn Tuffieħa, R. Rattu leg.
Allegato(i) Dettagli della specie
Vespula germanica (Fabricius, 1793) - Vespidae

in Vespidae


Dati di raccolta: 9.III.2015 - MALTA - EE, isola di Malta, Għajn Tuffieħa, R. Rattu leg.

Fumea crassiorella

2

1125

15/12/2015, 17:59

Fumea crassiorella Vedi ultimo messaggio


Inserisci un link per questa ricerca

Inserisci un link per questa ricerca URL
BBCode
HTML
Vai a: