Benvenuto Ospite

Forum Entomologi Italiani

www.entomologiitaliani.net/forum
 
Oggi è 05/10/2025, 18:29

Tutti gli orari sono UTC + 1 ora [ ora legale ]

Filtro località

Filtro località

In questo pannello è possibile effettuare delle ricerche mirate in base alle località inserite nel forum.

Statistiche

Statistiche
In totale ci sono 89460 taxa:
- 85563 taxa con dati completi
- 2722 taxa con dati parziali, riconducibili ad un paese
- 1175 taxa con dati incompleti


escludi dalla ricerca i subforum
Distribuzione in Europa
Distribuzione in Italia
Filtro applicato: CILE

Pagina 1 di 1 [ 1 messaggio ]

# A B C D E F G H I J K L M N O P Q R S T U V W X Y Z
 Argomenti   Autore   Risposte   Visite    Ultimo messaggio 
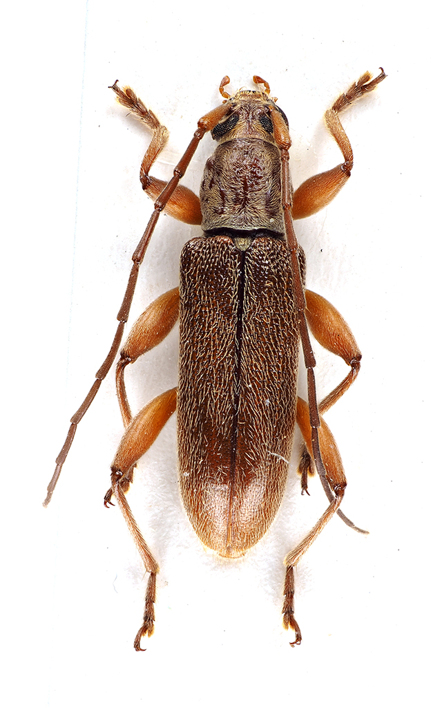
Ceresium unicolor (Fabricius, 1787) - Cerambycidae
6.II.2017 - CILE - EE, Rapa Nui
Allegato(i)
Ceresium unicolor (Fabricius, 1787) - Cerambycidae

in Cerambycidae


Dati di raccolta: 6.II.2017 - CILE - EE, Rapa Nui

StagBeetle

4

630

20/01/2022, 14:00

StagBeetle Vedi ultimo messaggio


Inserisci un link per questa ricerca

Inserisci un link per questa ricerca URL
BBCode
HTML
Vai a: