Benvenuto Ospite

Forum Entomologi Italiani

www.entomologiitaliani.net/forum
 
Oggi è 05/10/2025, 18:21

Tutti gli orari sono UTC + 1 ora [ ora legale ]

Filtro località

Filtro località

In questo pannello è possibile effettuare delle ricerche mirate in base alle località inserite nel forum.

Statistiche

Statistiche
In totale ci sono 89460 taxa:
- 85563 taxa con dati completi
- 2722 taxa con dati parziali, riconducibili ad un paese
- 1175 taxa con dati incompleti


escludi dalla ricerca i subforum
Distribuzione in Europa
Distribuzione in Italia
Filtro applicato: PAPUA NUOVA GUINEA

Pagina 1 di 1 [ 11 messaggi ]

# A B C D E F G H I J K L M N O P Q R S T U V W X Y Z
 Argomenti   Autore   Risposte   Visite    Ultimo messaggio 
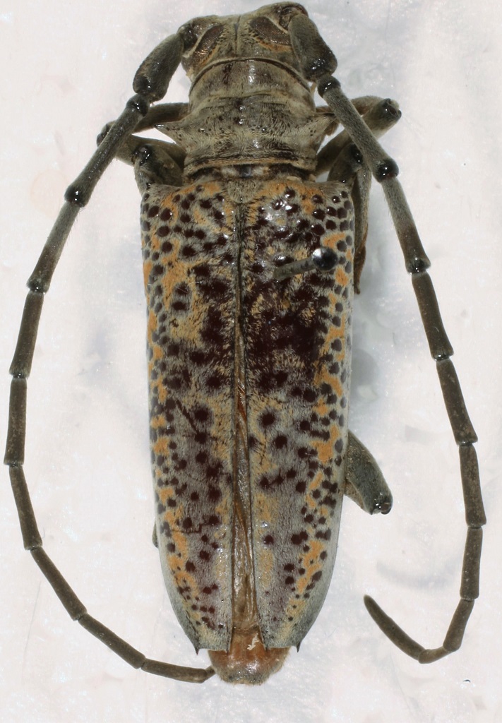
Batocera browni Bates, 1877
PAPUA NUOVA GUINEA - EE, Herbertshohe (Kokopo), New Britain, Bismarck islands
Allegato(i)
Batocera browni Bates, 1877

in Cerambycidae


Dati di raccolta: PAPUA NUOVA GUINEA - EE, Herbertshohe (Kokopo), New Britain, Bismarck islands

Carlo A.

0

1077

21/02/2016, 18:15

Carlo A. Vedi ultimo messaggio

Batocera incospicua var. germanica van Der Poll, 1890 - Cerambycidae
III.1984 - PAPUA NUOVA GUINEA - EE, Buin, 500’, North Solomons Province, Bougainville Island
Allegato(i)
Batocera incospicua var. germanica van Der Poll, 1890 - Cerambycidae

in Cerambycidae


Dati di raccolta: III.1984 - PAPUA NUOVA GUINEA - EE, Buin, 500’, North Solomons Province, Bougainville Island

Batocerino

3

1388

13/04/2020, 22:06

Batocerino Vedi ultimo messaggio

Batocera matzdorffi Kriesche, 1915 (cf.) - Cerambycidae
XI.2019 - PAPUA NUOVA GUINEA - EE, Usino village, Madang province
Allegato(i)
Batocera matzdorffi Kriesche, 1915 (cf.) - Cerambycidae

in Cerambycidae


Dati di raccolta: XI.2019 - PAPUA NUOVA GUINEA - EE, Usino village, Madang province

Batocerino

2

808

10/12/2020, 2:38

Batocerino Vedi ultimo messaggio

Allegato(i)
Batocera wallacei Thomson, 1858 - Cerambycidae

in Cerambycidae


Dati di raccolta: PAPUA NUOVA GUINEA - EE

StagBeetle

4

1403

21/09/2011, 15:25

Umbro Vedi ultimo messaggio

Rosenbergia bismarckiana Kriesche, 1920
25.XI.1997 - PAPUA NUOVA GUINEA - EE, Rabaul, New Britain, Bismarck islands
Allegato(i)
Rosenbergia bismarckiana Kriesche, 1920

in Cerambycidae


Dati di raccolta: 25.XI.1997 - PAPUA NUOVA GUINEA - EE, Rabaul, New Britain, Bismarck islands

Carlo A.

0

807

24/02/2016, 0:20

Carlo A. Vedi ultimo messaggio

Rosenbergia dianae valentinae Rigout, 2004 cf. - Cerambycidae
2008 - PAPUA NUOVA GUINEA - EE, Wau Ecology Istitute, Wau, Morobe Province
Allegato(i)
Rosenbergia dianae valentinae Rigout, 2004 cf. - Cerambycidae

in Cerambycidae


Dati di raccolta: 2008 - PAPUA NUOVA GUINEA - EE, Wau Ecology Istitute, Wau, Morobe Province

Carlo A.

5

1502

27/02/2016, 19:59

AleP Vedi ultimo messaggio

Rosenbergia drumonti Wallin & Nylander, 2007 - Cerambycidae
14.IV.2017 - PAPUA NUOVA GUINEA - EE, Simbu province
Allegato(i)
Rosenbergia drumonti Wallin & Nylander, 2007 - Cerambycidae

in Cerambycidae


Dati di raccolta: 14.IV.2017 - PAPUA NUOVA GUINEA - EE, Simbu province

Batocerino

2

966

27/05/2019, 22:16

Batocerino Vedi ultimo messaggio

Allegato(i)
Rosenbergia exigua Gahan,1888 - Cerambycidae

in Cerambycidae


Dati di raccolta: PAPUA NUOVA GUINEA - EE

Carlo A.

3

1063

29/12/2017, 22:44

Julodis Vedi ultimo messaggio

Rosenbergia mandibularis Ritsema, 1881- Cerambycidae
IV.2012 - PAPUA NUOVA GUINEA - EE, Arfak Mountains
Allegato(i)
Rosenbergia mandibularis Ritsema, 1881- Cerambycidae

in Cerambycidae


Dati di raccolta: IV.2012 - PAPUA NUOVA GUINEA - EE, Arfak Mountains

Batocerino

12

2329

13/02/2019, 23:04

Batocerino Vedi ultimo messaggio

Rosenbergia rufolineata Breuning, 1948
IV.1991 - PAPUA NUOVA GUINEA - EE, Okapa, Eastern Highlands Province
Allegato(i)
Rosenbergia rufolineata Breuning, 1948

in Cerambycidae


Dati di raccolta: IV.1991 - PAPUA NUOVA GUINEA - EE, Okapa, Eastern Highlands Province

Carlo A.

0

768

25/02/2016, 21:29

Carlo A. Vedi ultimo messaggio

Allegato(i)
Rosenbergia rufolineata von Breuning, 1948 - Cerambycidae

in Cerambycidae


Dati di raccolta: PAPUA NUOVA GUINEA - EE

StagBeetle

3

1217

16/11/2011, 0:23

Carlo A. Vedi ultimo messaggio


Inserisci un link per questa ricerca

Inserisci un link per questa ricerca URL
BBCode
HTML
Vai a: