Benvenuto Ospite

Forum Entomologi Italiani

www.entomologiitaliani.net/forum
 
Oggi è 29/10/2025, 14:09

Tutti gli orari sono UTC + 1 ora [ ora legale ]

Filtro località

Filtro località

In questo pannello è possibile effettuare delle ricerche mirate in base alle località inserite nel forum.

Statistiche

Statistiche
In totale ci sono 89558 taxa:
- 85657 taxa con dati completi
- 2726 taxa con dati parziali, riconducibili ad un paese
- 1175 taxa con dati incompleti


escludi dalla ricerca i subforum
Distribuzione in Europa
Distribuzione in Italia
Filtro applicato: GERMANIA

Pagina 1 di 1 [ 14 messaggi ]

# A B C D E F G H I J K L M N O P Q R S T U V W X Y Z
 Argomenti   Autore   Risposte   Visite    Ultimo messaggio 
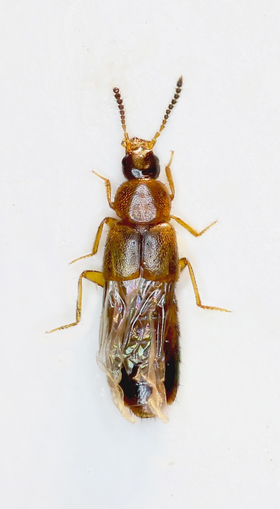
Bolitochara sp. - Staphylinidae
18.V.2007 - GERMANIA - EE, Scheidenhardt
Allegato(i)
Bolitochara sp. - Staphylinidae

in Staphylinidae indeterminati


Dati di raccolta: 18.V.2007 - GERMANIA - EE, Scheidenhardt

scarabaeidae

3

911

28/12/2020, 3:15

AetherisIgnis Vedi ultimo messaggio

ID ? - Stenus sp. from Germany
10.IV.2020 - GERMANIA - EE, Wachtberg
Allegato(i)
ID ? - Stenus sp. from Germany

in Staphylinidae indeterminati


Dati di raccolta: 10.IV.2020 - GERMANIA - EE, Wachtberg

scarabaeidae

0

670

28/05/2020, 11:55

scarabaeidae Vedi ultimo messaggio

Paederus sp. - Staphylinidae - Germany
10.VI.2011 - GERMANIA - EE, Spreewald, Brandenburg (south of Berlin)
Allegato(i)
Paederus sp. - Staphylinidae - Germany

in Staphylinidae indeterminati


Dati di raccolta: 10.VI.2011 - GERMANIA - EE, Spreewald, Brandenburg (south of Berlin)

matthew gandy

2

422

17/06/2011, 23:02

matthew gandy Vedi ultimo messaggio

Philonthus (Philonthus) tenuicornis Mulsant & Rey 1853 - Staphylinidae (???)
21.VI.2011 - GERMANIA - EE, Mecklenburg-West Pomerania, Anklam
Allegato(i)
Philonthus (Philonthus) tenuicornis Mulsant & Rey 1853 - Staphylinidae (???)

in Staphylinidae indeterminati


Dati di raccolta: 21.VI.2011 - GERMANIA - EE, Mecklenburg-West Pomerania, Anklam

Lenny

0

484

09/11/2011, 0:12

Lenny Vedi ultimo messaggio

Philonthus sp
23.III.2014 - GERMANIA - EE, Northeim
Allegato(i)
Philonthus sp

in Staphylinidae indeterminati


Dati di raccolta: 23.III.2014 - GERMANIA - EE, Northeim

gstalker

0

274

22/01/2016, 22:47

gstalker Vedi ultimo messaggio

Philonthus sp.
16.VII.2014 - GERMANIA - EE, Northeim
Allegato(i)
Philonthus sp.

in Staphylinidae indeterminati


Dati di raccolta: 16.VII.2014 - GERMANIA - EE, Northeim

gstalker

1

403

21/09/2020, 23:40

AetherisIgnis Vedi ultimo messaggio

Philonthus sp. - Staphylinidae
16.X.2015 - GERMANIA - EE, Northeim
Allegato(i)
Philonthus sp. - Staphylinidae

in Staphylinidae indeterminati


Dati di raccolta: 16.X.2015 - GERMANIA - EE, Northeim

gstalker

2

383

26/10/2015, 15:06

mascalzonepadano Vedi ultimo messaggio

Philonthus sp. - Staphylinidae
28.IV.2013 - GERMANIA - EE, Northeim
Allegato(i)
Philonthus sp. - Staphylinidae

in Staphylinidae indeterminati


Dati di raccolta: 28.IV.2013 - GERMANIA - EE, Northeim

gstalker

0

633

09/01/2016, 22:23

gstalker Vedi ultimo messaggio

Philonthus sp. - Staphylinidae
8.VI.2013 - GERMANIA - EE, Northeim
Allegato(i)
Philonthus sp. - Staphylinidae

in Staphylinidae indeterminati


Dati di raccolta: 8.VI.2013 - GERMANIA - EE, Northeim

gstalker

1

515

10/01/2016, 20:38

AetherisIgnis Vedi ultimo messaggio

Plataraea sp. - Staphylinidae
8.V.2015 - GERMANIA - EE, Northeim
Allegato(i)
Plataraea sp. - Staphylinidae

in Staphylinidae indeterminati


Dati di raccolta: 8.V.2015 - GERMANIA - EE, Northeim

gstalker

2

440

22/05/2015, 13:31

AetherisIgnis Vedi ultimo messaggio

Quedius (Raphirus) sp. - Staphylinidae
27.V.2013 - GERMANIA - EE, Monaco
Allegato(i)
Quedius (Raphirus) sp. - Staphylinidae

in Staphylinidae indeterminati


Dati di raccolta: 27.V.2013 - GERMANIA - EE, Monaco

Olaffio

2

639

08/01/2014, 23:09

Olaffio Vedi ultimo messaggio

Quedius (Raphirus) sp. - Staphylinidae
18.VII.2012 - GERMANIA - EE, Northeim
Allegato(i)
Quedius (Raphirus) sp. - Staphylinidae

in Staphylinidae indeterminati


Dati di raccolta: 18.VII.2012 - GERMANIA - EE, Northeim

gstalker

1

528

22/09/2020, 0:06

AetherisIgnis Vedi ultimo messaggio

Staphylinidae Id
17.VII.2013 - GERMANIA - EE, Northeim
Allegato(i)
Staphylinidae Id

in Staphylinidae indeterminati


Dati di raccolta: 17.VII.2013 - GERMANIA - EE, Northeim

gstalker

1

409

16/09/2016, 22:11

gstalker Vedi ultimo messaggio

Tasgius sp. - Staphylinidae
3.III.2013 - GERMANIA - EE, Northeim
Allegato(i)
Tasgius sp. - Staphylinidae

in Staphylinidae indeterminati


Dati di raccolta: 3.III.2013 - GERMANIA - EE, Northeim

gstalker

6

641

29/02/2016, 20:21

Honza Vedi ultimo messaggio


Inserisci un link per questa ricerca

Inserisci un link per questa ricerca URL
BBCode
HTML
Vai a: