Benvenuto Ospite

Forum Entomologi Italiani

www.entomologiitaliani.net/forum
 
Oggi è 29/10/2025, 10:51

Tutti gli orari sono UTC + 1 ora [ ora legale ]

Filtro località

Filtro località

In questo pannello è possibile effettuare delle ricerche mirate in base alle località inserite nel forum.

Statistiche

Statistiche
In totale ci sono 89557 taxa:
- 85656 taxa con dati completi
- 2726 taxa con dati parziali, riconducibili ad un paese
- 1175 taxa con dati incompleti


escludi dalla ricerca i subforum
Distribuzione in Europa
Distribuzione in Italia
Filtro applicato: ITALIA - Abruzzo

Pagina 1 di 2 [ 21 messaggi ]

# A B C D E F G H I J K L M N O P Q R S T U V W X Y Z
 Argomenti   Autore   Risposte   Visite    Ultimo messaggio 
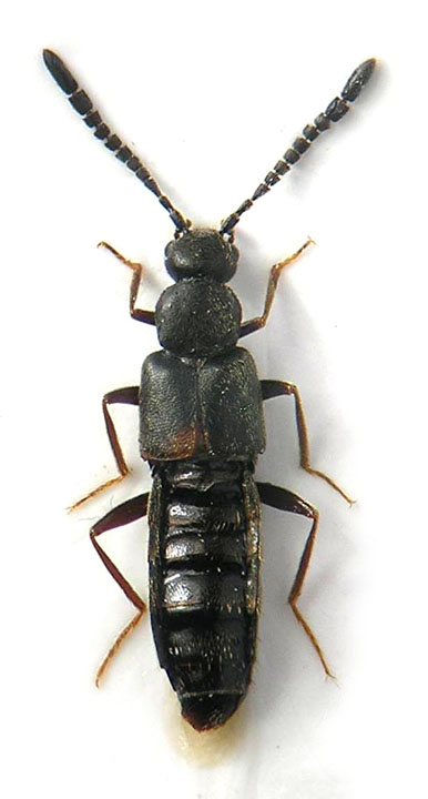
Amarochara sp. - Staphylinidae Aleocharinae
17.III.2015 - ITALIA - Abruzzo - PE, Micarone, Catignano, 160m
Allegato(i)
Amarochara sp. - Staphylinidae Aleocharinae

in Staphylinidae indeterminati


Dati di raccolta: 17.III.2015 - ITALIA - Abruzzo - PE, Micarone, Catignano, 160m

Alessio89

11

1767

22/04/2015, 17:52

Alessio89 Vedi ultimo messaggio

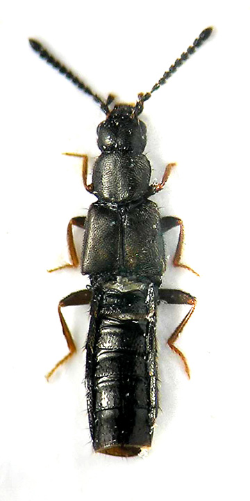
Anotylus sp. - Staphylinidae
10.I.2015 - ITALIA - Abruzzo - PE, Pianella, 220m
Allegato(i)
Anotylus sp. - Staphylinidae

in Staphylinidae indeterminati


Dati di raccolta: 10.I.2015 - ITALIA - Abruzzo - PE, Pianella, 220m

Alessio89

3

795

28/12/2020, 1:50

AetherisIgnis Vedi ultimo messaggio

Anotylus sp. - Staphylinidae Oxytelinae
6.XII.2015 - ITALIA - Abruzzo - PE, Pianella, 150m, Loc. Morrocino, "Fosso Coste dell'Olmo"
Allegato(i)
Anotylus sp. - Staphylinidae Oxytelinae

in Staphylinidae indeterminati


Dati di raccolta: 6.XII.2015 - ITALIA - Abruzzo - PE, Pianella, 150m, Loc. Morrocino, "Fosso Coste dell'Olmo"

Alessio89

1

651

20/03/2016, 23:14

deryastenus Vedi ultimo messaggio

Atheta (Micronota) sp. (cf.) - Staphylinidae Aleocharinae
13.I.2016 - ITALIA - Abruzzo - PE, Pianella, 220, "Fosso Icavone"
Allegato(i)
Atheta (Micronota) sp. (cf.) - Staphylinidae Aleocharinae

in Staphylinidae indeterminati


Dati di raccolta: 13.I.2016 - ITALIA - Abruzzo - PE, Pianella, 220, "Fosso Icavone"

Alessio89

0

476

10/02/2016, 16:58

Alessio89 Vedi ultimo messaggio

Atheta sp. - Staphylinidae Aleocharinae
10.I.2015 - ITALIA - Abruzzo - PE, Pianella, 220m
Allegato(i)
Atheta sp. - Staphylinidae Aleocharinae

in Staphylinidae indeterminati


Dati di raccolta: 10.I.2015 - ITALIA - Abruzzo - PE, Pianella, 220m

Alessio89

1

605

19/01/2015, 14:53

Honza Vedi ultimo messaggio

Atheta sp. (cf.) - Staphylinidae Aleocharinae
29.I.2016 - ITALIA - Abruzzo - PE, Pianella, 220, "Fosso Icavone"
Allegato(i)
Atheta sp. (cf.) - Staphylinidae Aleocharinae

in Staphylinidae indeterminati


Dati di raccolta: 29.I.2016 - ITALIA - Abruzzo - PE, Pianella, 220, "Fosso Icavone"

Alessio89

0

504

11/02/2016, 16:54

Alessio89 Vedi ultimo messaggio

Bolitochara sp. - Staphylinidae
24.III.2014 - ITALIA - Abruzzo - PE, Piana del Luco, S. Tommaso, Caramanico
Allegato(i)
Bolitochara sp. - Staphylinidae

in Staphylinidae indeterminati


Dati di raccolta: 24.III.2014 - ITALIA - Abruzzo - PE, Piana del Luco, S. Tommaso, Caramanico

Alessio89

2

558

04/12/2014, 15:41

Alessio89 Vedi ultimo messaggio

Callicerus sp. - Staphylinidae
6.II.2015 - ITALIA - Abruzzo - PE, Pianella, 220m
Allegato(i)
Callicerus sp. - Staphylinidae

[ Vai alla pagina: 1, 2 ]

in Staphylinidae indeterminati


Dati di raccolta: 6.II.2015 - ITALIA - Abruzzo - PE, Pianella, 220m

Alessio89

18

3070

08/04/2015, 18:22

Alessio89 Vedi ultimo messaggio

Callicerus sp. - Staphylinidae Aleocharinae
9.I.2015 - ITALIA - Abruzzo - PE, Pianella, 220m
Allegato(i)
Callicerus sp. - Staphylinidae Aleocharinae

in Staphylinidae indeterminati


Dati di raccolta: 9.I.2015 - ITALIA - Abruzzo - PE, Pianella, 220m

Alessio89

1

769

19/01/2015, 14:26

Honza Vedi ultimo messaggio

Drusilla sp. - Staphylinidae Aleocharinae
17.III.2015 - ITALIA - Abruzzo - PE, Micarone, Catignano, 160m
Allegato(i)
Drusilla sp. - Staphylinidae Aleocharinae

in Staphylinidae indeterminati


Dati di raccolta: 17.III.2015 - ITALIA - Abruzzo - PE, Micarone, Catignano, 160m

Alessio89

4

1274

11/07/2016, 17:58

Honza Vedi ultimo messaggio

Mycetoporus sp. - Staphylinidae Tachyporinae
3.I.2015 - ITALIA - Abruzzo - PE, Pianella, 220m
Allegato(i)
Mycetoporus sp. - Staphylinidae Tachyporinae

in Staphylinidae indeterminati


Dati di raccolta: 3.I.2015 - ITALIA - Abruzzo - PE, Pianella, 220m

Alessio89

6

777

21/01/2015, 17:05

Alessio89 Vedi ultimo messaggio

Omalium sp. - Staphylinidae
4.V.2015 - ITALIA - Abruzzo - PE, Micarone, Catignano, 160m, torrente Nora
Allegato(i)
Omalium sp. - Staphylinidae

in Staphylinidae indeterminati


Dati di raccolta: 4.V.2015 - ITALIA - Abruzzo - PE, Micarone, Catignano, 160m, torrente Nora

Alessio89

2

453

15/06/2015, 10:11

Alessio89 Vedi ultimo messaggio

Quedius (Raphirus) sp. - Staphylinidae
27.XI.2014 - ITALIA - Abruzzo - PE, Pianella 230m
Allegato(i)
Quedius (Raphirus) sp. - Staphylinidae

in Staphylinidae indeterminati


Dati di raccolta: 27.XI.2014 - ITALIA - Abruzzo - PE, Pianella 230m

Alessio89

5

1257

04/04/2021, 13:39

Honza Vedi ultimo messaggio

Quedius (Raphirus) sp. - Staphylinidae
4.X.2014 - ITALIA - Abruzzo - PE, Pianella 230m
Allegato(i)
Quedius (Raphirus) sp. - Staphylinidae

in Staphylinidae indeterminati


Dati di raccolta: 4.X.2014 - ITALIA - Abruzzo - PE, Pianella 230m

Alessio89

3

613

05/12/2014, 12:38

Alessio89 Vedi ultimo messaggio

Quedius (Raphirus) sp. - Staphylinidae
10.I.2015 - ITALIA - Abruzzo - PE, Pianella, 220m
Allegato(i)
Quedius (Raphirus) sp. - Staphylinidae

in Staphylinidae indeterminati


Dati di raccolta: 10.I.2015 - ITALIA - Abruzzo - PE, Pianella, 220m

Alessio89

6

1103

18/11/2018, 12:05

Alessio89 Vedi ultimo messaggio



Inserisci un link per questa ricerca

Inserisci un link per questa ricerca URL
BBCode
HTML
Vai a: