Benvenuto Ospite

Forum Entomologi Italiani

www.entomologiitaliani.net/forum
 
Oggi è 01/10/2025, 3:36

Tutti gli orari sono UTC + 1 ora [ ora legale ]

Filtro località

Filtro località

In questo pannello è possibile effettuare delle ricerche mirate in base alle località inserite nel forum.

Statistiche

Statistiche
In totale ci sono 89440 taxa:
- 85544 taxa con dati completi
- 2722 taxa con dati parziali, riconducibili ad un paese
- 1174 taxa con dati incompleti


escludi dalla ricerca i subforum
Distribuzione in Europa
Distribuzione in Italia
Filtro applicato: ITALIA - Calabria

Pagina 1 di 2 [ 26 messaggi ]

# A B C D E F G H I J K L M N O P Q R S T U V W X Y Z
 Argomenti   Autore   Risposte   Visite    Ultimo messaggio 
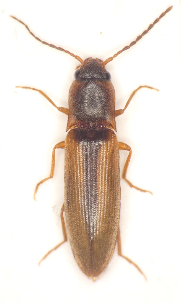
Agriotes litigiosus (Rossi, 1792) - Elateridae
20.VI.1998 - ITALIA - Calabria - RC, Lazzaro
Allegato(i)
Agriotes litigiosus (Rossi, 1792) - Elateridae

in Elateridae


Dati di raccolta: 20.VI.1998 - ITALIA - Calabria - RC, Lazzaro

marco paglialunga

1

876

16/02/2011, 21:24

Anostirus Vedi ultimo messaggio

Agrypnus murinus (Linnaeus, 1758) - Elateridae
4.VI.2013 - ITALIA - Calabria - CS, dint. San giovanni in Fiore, 1.300 m
Allegato(i)
Agrypnus murinus (Linnaeus, 1758) - Elateridae

in Elateridae


Dati di raccolta: 4.VI.2013 - ITALIA - Calabria - CS, dint. San giovanni in Fiore, 1.300 m

Valerio

2

1020

19/04/2020, 22:16

Valerio Vedi ultimo messaggio

Ampedus eugenii Platia & Pulvirenti, 2021
4.VI.2013 - ITALIA - Calabria - CS, dint. San giovanni in Fiore, 1.300 m
Allegato(i)
Ampedus eugenii Platia & Pulvirenti, 2021

in Elateridae


Dati di raccolta: 4.VI.2013 - ITALIA - Calabria - CS, dint. San giovanni in Fiore, 1.300 m

Valerio

8

1553

13/08/2021, 22:29

Valerio Vedi ultimo messaggio

Ampedus rufipennis (Stephens 1830) - Elateridae
20.VI.2015 - ITALIA - Calabria - RC, Aspromonte, Montalto W, 1.700 m
Allegato(i)
Ampedus rufipennis (Stephens 1830) - Elateridae

in Elateridae


Dati di raccolta: 20.VI.2015 - ITALIA - Calabria - RC, Aspromonte, Montalto W, 1.700 m

Valerio

2

831

01/05/2020, 17:12

Valerio Vedi ultimo messaggio

Ampedus sp. - Elateridae
9.VI.2013 - ITALIA - Calabria - CS, dint. San giovanni in Fiore, 1.300 m
Allegato(i)
Ampedus sp. - Elateridae

in Elateridae


Dati di raccolta: 9.VI.2013 - ITALIA - Calabria - CS, dint. San giovanni in Fiore, 1.300 m

Valerio

1

653

02/05/2020, 14:04

Edo Vedi ultimo messaggio

Anostirus cerrutii Binaghi, 1940 - Elateridae
26.V.2012 - ITALIA - Calabria - RC, Via Callea Campi di Reggio 5Km NE da Arasì
Allegato(i)
Anostirus cerrutii Binaghi, 1940 - Elateridae

in Elateridae


Dati di raccolta: 26.V.2012 - ITALIA - Calabria - RC, Via Callea Campi di Reggio 5Km NE da Arasì

Limonium calabrum

10

1494

09/06/2012, 13:35

Anostirus Vedi ultimo messaggio

Athous (Athous) puncticollis Kiesenwetter, 1858 (cf.) - Elateridae
14.V.2010 - ITALIA - Calabria - CS, Cupone, presso il Centro Visite del Parco della Sila 1150 m/slm
Allegato(i)
Athous (Athous) puncticollis Kiesenwetter, 1858 (cf.) - Elateridae

in Elateridae


Dati di raccolta: 14.V.2010 - ITALIA - Calabria - CS, Cupone, presso il Centro Visite del Parco della Sila 1150 m/slm

Andrea Pergine

1

491

30/12/2016, 23:14

Anostirus Vedi ultimo messaggio

Athous (Athous) puncticollis Kiesenwetter, 1858 (cf.) - Elateridae
27.V.2017 - ITALIA - Calabria - CS, Serra d'Aiello
Allegato(i)
Athous (Athous) puncticollis Kiesenwetter, 1858 (cf.) - Elateridae

in Elateridae


Dati di raccolta: 27.V.2017 - ITALIA - Calabria - CS, Serra d'Aiello

aiello antonio

3

967

25/09/2017, 8:44

Anostirus Vedi ultimo messaggio

Athous (Haplathous) cachecticus Candèze, 1860 - Elateridae
20.VI.2015 - ITALIA - Calabria - RC, Aspromonte, Montalto W, 1.700 m
Allegato(i)
Athous (Haplathous) cachecticus Candèze, 1860 - Elateridae

in Elateridae


Dati di raccolta: 20.VI.2015 - ITALIA - Calabria - RC, Aspromonte, Montalto W, 1.700 m

Valerio

3

743

26/04/2020, 12:48

Valerio Vedi ultimo messaggio

Cebrio (Cebrio) neapolitanus Costa, 1847 - Elateridae Cebrioninae
27.X.2011 - ITALIA - Calabria - RC, 1,5 km E Canitello, loc. Porticello, 50-90 m
Allegato(i)
Cebrio (Cebrio) neapolitanus Costa, 1847 - Elateridae Cebrioninae

in Elateridae


Dati di raccolta: 27.X.2011 - ITALIA - Calabria - RC, 1,5 km E Canitello, loc. Porticello, 50-90 m

Valerio

2

528

10/11/2013, 18:51

Valerio Vedi ultimo messaggio

Cidnopus pseudopilosus Platia & Gudenzi, 1985 - Elateridae
26.V.2016 - ITALIA - Calabria - CS, dint. lago Cecita, 1.100 m
Allegato(i)
Cidnopus pseudopilosus Platia & Gudenzi, 1985 - Elateridae

in Elateridae


Dati di raccolta: 26.V.2016 - ITALIA - Calabria - CS, dint. lago Cecita, 1.100 m

Valerio

2

668

25/04/2020, 20:00

Valerio Vedi ultimo messaggio

Dalopius marginatus (Linnaeus, 1758) - Elateridae
3.VI.2018 - ITALIA - Calabria - RC, Caulonia Marina
Allegato(i)
Dalopius marginatus (Linnaeus, 1758) - Elateridae

in Elateridae


Dati di raccolta: 3.VI.2018 - ITALIA - Calabria - RC, Caulonia Marina

Limonium calabrum

2

931

17/06/2018, 0:09

Limonium calabrum Vedi ultimo messaggio

Harminius spiniger (Candèze, 1860) (cf.) - Elateridae
VIII.2018 - ITALIA - Calabria - RC, Campo Calabro, Matiniti (330 m)
Allegato(i)
Harminius spiniger (Candèze, 1860) (cf.) - Elateridae

in Elateridae


Dati di raccolta: VIII.2018 - ITALIA - Calabria - RC, Campo Calabro, Matiniti (330 m)

Lucanus tetraodon

3

645

03/09/2018, 22:56

Lucanus tetraodon Vedi ultimo messaggio

Lacon punctatus (Herbst, 1779) - Elateridae
1.IV.2017 - ITALIA - Calabria - CS, Serra d'Aiello
Allegato(i)
Lacon punctatus (Herbst, 1779) - Elateridae

in Elateridae


Dati di raccolta: 1.IV.2017 - ITALIA - Calabria - CS, Serra d'Aiello

aiello antonio

2

654

02/04/2017, 13:21

aiello antonio Vedi ultimo messaggio

Larva di Athous sp. (cf.) - Elateridae
18.II.2017 - ITALIA - Calabria - CS, Savuto
Allegato(i)
Larva di Athous sp. (cf.) - Elateridae

in Elateridae


Dati di raccolta: 18.II.2017 - ITALIA - Calabria - CS, Savuto

aiello antonio

2

574

08/03/2017, 15:38

Anostirus Vedi ultimo messaggio



Inserisci un link per questa ricerca

Inserisci un link per questa ricerca URL
BBCode
HTML
Vai a: