Benvenuto Ospite

Forum Entomologi Italiani

www.entomologiitaliani.net/forum
 
Oggi è 01/10/2025, 5:50

Tutti gli orari sono UTC + 1 ora [ ora legale ]

Filtro località

Filtro località

In questo pannello è possibile effettuare delle ricerche mirate in base alle località inserite nel forum.

Statistiche

Statistiche
In totale ci sono 89440 taxa:
- 85544 taxa con dati completi
- 2722 taxa con dati parziali, riconducibili ad un paese
- 1174 taxa con dati incompleti


escludi dalla ricerca i subforum
Distribuzione in Europa
Distribuzione in Italia
Filtro applicato: ITALIA - Puglia

Pagina 1 di 2 [ 16 messaggi ]

# A B C D E F G H I J K L M N O P Q R S T U V W X Y Z
 Argomenti   Autore   Risposte   Visite    Ultimo messaggio 
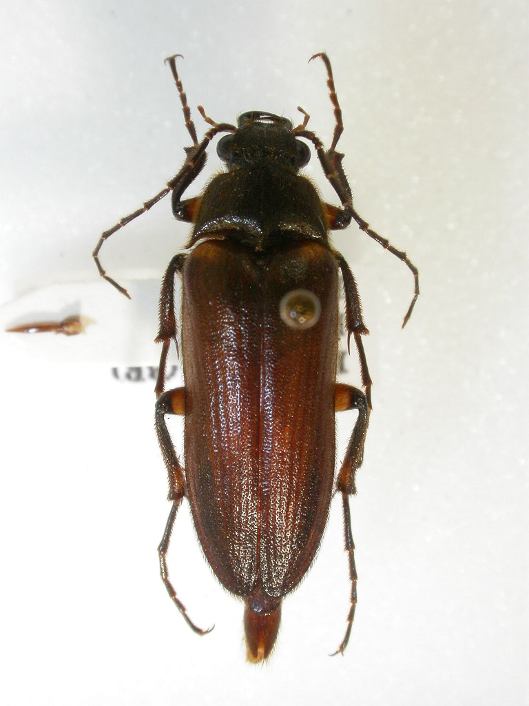
Cebrio (Cebrio) fuscatus Costa, 1847 - Elateridae
8.X.2013 - ITALIA - Puglia - LE, Lecce - loc. Grottella
Allegato(i)
Cebrio (Cebrio) fuscatus Costa, 1847 - Elateridae

in Elateridae


Dati di raccolta: 8.X.2013 - ITALIA - Puglia - LE, Lecce - loc. Grottella

Maurizio Bollino

3

673

08/10/2013, 20:31

giuseppe55 Vedi ultimo messaggio

Cebrio (Cebrio) fuscatus Costa, 1847 - Elateridae Cebrioninae
27.VII.2002 - ITALIA - Puglia - LE, dint. Trepuzzi, c.ca 0 m
Allegato(i)
Cebrio (Cebrio) fuscatus Costa, 1847 - Elateridae Cebrioninae

in Elateridae


Dati di raccolta: 27.VII.2002 - ITALIA - Puglia - LE, dint. Trepuzzi, c.ca 0 m

Valerio

3

631

11/11/2013, 19:28

Valerio Vedi ultimo messaggio

Cebrio (Cebrio) fuscatus Costa, 1847 - Elateridae Cebrioninae
2.X.2014 - ITALIA - Puglia - BT, andria
Allegato(i)
Cebrio (Cebrio) fuscatus Costa, 1847 - Elateridae Cebrioninae

in Elateridae


Dati di raccolta: 2.X.2014 - ITALIA - Puglia - BT, andria

beginner

5

1603

03/10/2014, 17:07

Fumea crassiorella Vedi ultimo messaggio

Cebrio fuscatus Costa, 1847 - Elateridae Cebrioninae
27.VIII.2013 - ITALIA - Puglia - BT, andria
Allegato(i)
Cebrio fuscatus Costa, 1847 - Elateridae Cebrioninae

in Elateridae


Dati di raccolta: 27.VIII.2013 - ITALIA - Puglia - BT, andria

beginner

10

1652

28/08/2013, 0:44

beginner Vedi ultimo messaggio

Cebrio fuscatus Costa, 1847 (cf.) - Elateridae
25.VII.2011 - ITALIA - Puglia - BR, Ostuni
Allegato(i)
Cebrio fuscatus Costa, 1847 (cf.) - Elateridae

in Elateridae


Dati di raccolta: 25.VII.2011 - ITALIA - Puglia - BR, Ostuni

Fabio Turchetti

5

1395

22/08/2011, 20:07

Fabio Turchetti Vedi ultimo messaggio

Cebrio fuscatus Costa, 1847 (cf.) - Elateridae Cebrioninae
X.2010 - ITALIA - Puglia - BR, Francavilla Fontana
Allegato(i)
Cebrio fuscatus Costa, 1847 (cf.) - Elateridae Cebrioninae

in Elateridae


Dati di raccolta: X.2010 - ITALIA - Puglia - BR, Francavilla Fontana

Fumea crassiorella

7

1296

29/04/2011, 21:17

giuseppe55 Vedi ultimo messaggio

Drasterius bimaculatus (Rossi, 1790) - Elateridae
4.VII.2021 - ITALIA - Puglia - FG, Ischitella - Foce Varano
Allegato(i)
Drasterius bimaculatus (Rossi, 1790) - Elateridae

in Elateridae


Dati di raccolta: 4.VII.2021 - ITALIA - Puglia - FG, Ischitella - Foce Varano

wgliinsetti

2

357

23/07/2021, 20:43

wgliinsetti Vedi ultimo messaggio

Harminius sp. - Elateridae
19.VIII.2014 - ITALIA - Puglia - BT, andria
Allegato(i)
Harminius sp. - Elateridae

in Elateridae


Dati di raccolta: 19.VIII.2014 - ITALIA - Puglia - BT, andria

beginner

7

1787

30/08/2014, 13:23

anaissus Vedi ultimo messaggio

Harminius spiniger (Candeze 1860) ♂ - Elateridae
9.VI.2009 - ITALIA - Puglia - FG, Vieste
Allegato(i)
Harminius spiniger (Candeze 1860) ♂ - Elateridae

in Elateridae


Dati di raccolta: 9.VI.2009 - ITALIA - Puglia - FG, Vieste

Maw89

2

418

27/01/2010, 20:52

Maw89 Vedi ultimo messaggio

Harminius spiniger (Candèze, 1860) - Elateridae
2014 - ITALIA - Puglia - LE, Gallipoli
Allegato(i)
Harminius spiniger (Candèze, 1860) - Elateridae

in Elateridae


Dati di raccolta: 2014 - ITALIA - Puglia - LE, Gallipoli

Frob

2

469

22/05/2015, 15:20

Frob Vedi ultimo messaggio

Melanotus (Melanotus) dichrous (Erichson, 1841) - Elateridae
7.VII.2021 - ITALIA - Puglia - FG, Ischitella - Foce Varano
Allegato(i)
Melanotus (Melanotus) dichrous (Erichson, 1841) - Elateridae

in Elateridae


Dati di raccolta: 7.VII.2021 - ITALIA - Puglia - FG, Ischitella - Foce Varano

wgliinsetti

11

801

06/08/2021, 22:43

Clickie Vedi ultimo messaggio

Melanotus (Melanotus) dichrous (Erichson, 1841) (cf.) - Elateridae
7.IX.2014 - ITALIA - Puglia - BT, andria
Allegato(i)
Melanotus (Melanotus) dichrous (Erichson, 1841) (cf.) - Elateridae

in Elateridae


Dati di raccolta: 7.IX.2014 - ITALIA - Puglia - BT, andria

beginner

2

686

13/09/2014, 17:46

Anostirus Vedi ultimo messaggio

Melanotus tenebrosus (Erichson, 1841) - Elateridae
17.V.2020 - ITALIA - Puglia - TA, Bosco delle Pianelle - Martina Franca (TA)
Allegato(i)
Melanotus tenebrosus (Erichson, 1841) - Elateridae

in Elateridae


Dati di raccolta: 17.V.2020 - ITALIA - Puglia - TA, Bosco delle Pianelle - Martina Franca (TA)

Monaco

2

1152

20/05/2020, 17:06

Monaco Vedi ultimo messaggio

Mulsanteus guillebeaui (Mulsant & Godart, 1853) - Elateridae
5.VII.2019 - ITALIA - Puglia - LE, Tuglie
Allegato(i)
Mulsanteus guillebeaui (Mulsant & Godart, 1853) - Elateridae

in Elateridae


Dati di raccolta: 5.VII.2019 - ITALIA - Puglia - LE, Tuglie

martino

2

454

06/07/2019, 22:30

martino Vedi ultimo messaggio

Mulsanteus guillebelli (Mulsant & Godart, 1853) -Elateridae
17.VI.2009 - ITALIA - Puglia - LE, Ris. S. Le Cesine
Allegato(i)
Mulsanteus guillebelli (Mulsant & Godart, 1853) -Elateridae

in Elateridae


Dati di raccolta: 17.VI.2009 - ITALIA - Puglia - LE, Ris. S. Le Cesine

Valerio

2

591

15/10/2013, 22:38

Valerio Vedi ultimo messaggio



Inserisci un link per questa ricerca

Inserisci un link per questa ricerca URL
BBCode
HTML
Vai a: